Działka budowlana na sprzedaż Wola Karczewska, Rutki - 15837,0m2
POWIERZCHNIA
15 837 m2
RODZAJ DZIAŁKI
budowlana
DROGA DOJAZDOWA
-
Szczegóły oferty EMP-GS-9409
- Kategoria Działki i grunty na sprzedaż
- Lokalizacja mazowieckie, Wola Karczewska, Rutki
-
Powierzchnia
całkowita 15 837 m2
Sprawdź MPZP
-
Cena
2 217 180 zł
- Cena za m2 140 zł/m2
- Rodzaj działki budowlana
- Kształt działki nieregularny
- Ogrodzenie działkibrak
Lokalizacja
Opis oferty
Do działek dojedziesz wklejając w Google Maps 52.122779, 21.363053
https://maps.app.goo.gl/9nZZTc45puyNpFCt6
Wola Karczewska, ul. Rutki
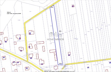
Numery ewidencyjne 118/2 oraz 118/9
Media:
Prąd i woda - w ulicy
Wymiary
118/2 - 3607 m 2 - 111m x 29m x 97m x 43m
118/9 - 12230 m 2 - 97m x 74m x 234m x 45m x 105m x 17m x 111m x 65m
Cena 140 PLN/m 2
Klasy ziemi: ŁV, RV, PsV
Działki nie są objęte miejscowym planem zagospodarowania przestrzennego. W celu zabudowy należy uzyskać decyzję o warunkach zabudowy na podstawie okolicznych budynków. W najbliższym sąsiedztwie nowa zabudowa mieszkaniowa oraz usługowa.
Zapraszam do kontaktu
Maciej Adamczyk
883pokaż telefon
Biuro pobiera prowizję za pośrednictwo w nabyciu nieruchomości.
Opis oferty zawarty na stronie internetowej sporządzany jest na podstawie oględzin nieruchomości oraz informacji uzyskanych od właściciela, może podlegać aktualizacji i nie stanowi oferty określonej w art. 66 i następnych K.C.
Oferta wysłana z systemu Galactica Virgo
Numer oferty: EMP-GS-9409
Statystyki ogłoszenia:
Podobne nieruchomości