Działka budowlana na sprzedaż Elbląg, Lwowska - 8865,2m2
POWIERZCHNIA
8 865 m2
RODZAJ DZIAŁKI
budowlana
DROGA DOJAZDOWA
-
Szczegóły oferty 43511/3186/OGS Data dodania: 7 dni temu
- Kategoria Działki i grunty na sprzedaż
- Lokalizacja warmińsko-mazurskie, Elbląg, Lwowska
-
Powierzchnia
całkowita 8 865,20 m2
Sprawdź MPZP
- Powierzchnia działki8865,20 m2
-
Cena
2 554 000 zł
- Cena za m2 288,09 zł/m2
- Rodzaj działki budowlana
- Ogrodzenie działkiinne
Lokalizacja
Opis oferty
PREZYDENT MIASTA ELBLĄG
ogłasza
trzeci ustny przetarg nieograniczony na sprzedaż nieruchomości
stanowiących własność Gminy Miasto Elbląg
(strona internetowa - http://www.umelblag.pl BIP - https://bip.elblag.eu)
(tel. kontaktowy 55-2pokaż telefon, 55-2pokaż telefon, dgnigskontaktuj się)
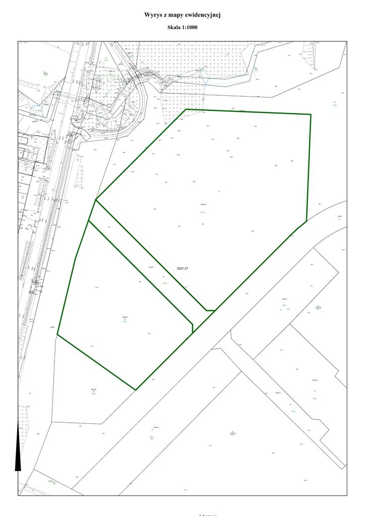
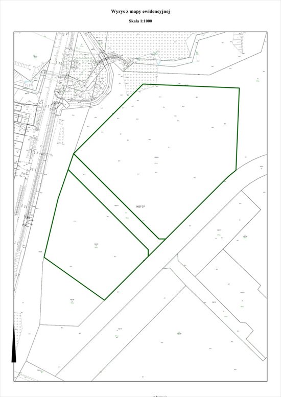
1. Lokalizacja: Elbląg, ul. Lwowska.
2. Opis nieruchomości: nieruchomości położone w Elblągu, we wschodniej części osiedla Bielany, wzdłuż pasa drogowego ulicy Fromborskiej, w sąsiedztwie zabudowy mieszkaniowej jedno i wielorodzinnej, terenów niezagospodarowanych oraz rzeki Babica. Nieruchomości przeznaczone pod zabudowę usługową.
3. Oznaczenie nieruchomości wg danych z ewidencji gruntów i budynków: wg poniższej tabeli:
Lp 1
Lokalizacja
Lwowska
Oznaczenie nieruchomości wg ewidencji gruntów
KW
113639/6
obręb
27
nr działki
102/31
102/17
udz. 0,4 cz.
pow. w ha
0,8032
0,2083
Cena wywoławcza
2.554.000 zł
plus należny podatek VAT, zgodnie z obowiązującymi przepisami
Wadium
450.000 zł
Minimalne postąpienie
25.540 zł
Lp 2
Lokalizacja
Lwowska
Oznaczenie nieruchomości wg ewidencji gruntów
KW
113639/6
obręb
27
nr działki
102/18
102/17
udz. 0,6 cz.
pow. w ha
1,8547
0,2083
Cena wywoławcza
5.703.000 zł
plus należny podatek VAT, zgodnie z obowiązującymi przepisami
Wadium
1.000.000 zł
Minimalne postąpienie
57.030 zł
4. Przeznaczenie nieruchomości w miejscowym planie zagospodarowania przestrzennego: zgodnie uchwałą nr IV/65/2003 Rady Miejskiej w Elblągu z dnia 27 lutego 2003 r. w sprawie uchwalenia miejscowego planu zagospodarowania przestrzennego osiedla Bielany – część wschodnia przy ul. Fromborskiej w Elblągu (Dz.Urz.Woj.Warm.-Mazur. Nr 46, poz. 622), przedmiotowe nieruchomości położone są:
- działka nr 102/31 w strefie funkcjonalnej 1.UC - funkcja usługowa,
- działka nr 102/18 w strefie funkcjonalnej 2.UC - funkcja usługowa,
- działka nr 102/17 na terenie 31.K-D 1/2 - ulica dojazdowa.
Ze szczegółowymi ustaleniami powyższego planu można zapoznać się pod adresem: https://bip.elblag.eu/artykul/313/pokaż telefon-mpzp-osiedla-bielany-czesc-wschodnia.
5. Uzbrojenie: nieruchomości położone są na terenie uzbrojonym w media komunalne.
Przez działki nr 102/17, 102/18 i 102/31 przebiega napowietrzna sieć elektroenergetyczna średniego napięcia. Ponadto na działkach nr 102/18 i 102/31 posadowione są słupy energetyczne. Przez działkę nr 102/18 przebiegają sieci telekomunikacyjne. Szczegółowe warunki techniczne włączenia do poszczególnych sieci infrastruktury technicznego uzbrojenia terenu, Nabywcy zobowiązani będą uzyskać u gestorów poszczególnych sieci, staraniem własnym i na własny koszt. Doprowadzenie nowych sieci uzbrojenia do nieruchomości i usunięcie ewentualnych kolizji z istniejącym uzbrojeniem, a także zasilenie obiektów w media, odbędzie się staraniem i na koszt Nabywców, na warunkach wskazanych przez dysponentów mediów.
Zgodnie z art. 33 ust. 2 ustawy z dnia 7 lipca 1994 r. – Prawo Budowlane, Nabywcy zobowiązani będą uzyskać stosowne uzgodnienia i oświadczania, w tym oświadczenie projektanta o istnieniu lub braku możliwości przyłączenia do miejskiej sieci ciepłowniczej, o ile nie będzie korzystał z odnawialnych źródeł ciepła. Oznacza to, że każdy Inwestor zamierzający wznieść nowy budynek, z uwzględnieniem wyjątków ustawowych, musi przed złożeniem wniosku o pozwolenie na budowę, uzyskać od przedsiębiorstwa ciepłowniczego, warunki przyłączenia do sieci ciepłowniczej. Brak takiego oświadczenia przedłożonego do wniosku o wydanie pozwolenia na budowę, potwierdzonego wydanymi warunkami przyłączenia, stanowić będzie brak formalny, uzasadniający pozostawienie bez rozpoznania wniosku o udzielenie pozwolenia na budowę.
Informacje dotyczące istniejących sieci uzbrojenia dostępne są w Departamencie Gospodarki Nieruchomościami i Geodezji Urzędu Miejskiego w Elblągu (Miejski Ośrodek Dokumentacji Geodezyjnej i Kartograficznej, Al. Tysiąclecia 11A, pok. 12, tel. 55 2pokaż telefon do 55 2pokaż telefon).
6. Skomunikowanie z drogami publicznymi: Dostęp nieruchomości do drogi publicznej, tj. ul. Fromborskiej, oznaczonej w ewidencji gruntów i budynków w obr. 27 jako działka nr 93 oraz działka nr 102/6, stanowiących zgodnie z powołanym planem ulicę główną 25.K-G2/2, obywać się winien poprzez projektowaną ulicę 27.K-L1/2 (działka nr 102/3), a następnie poprzez projektowaną ulicę dojazdową 31.K-D.1/2 (działka nr 102/17).
W celu skomunikowania nieruchomości z drogą publiczną, Nabywcy nieruchomości, będą zobowiązani do opracowania dokumentacji projektowej dróg 27.K-L1/2 i 31.K-D1/2 oraz wybudowania odcinka projektowanej drogi docelowej, oznaczonej jako 27.K-L1/2 wraz z jej połączeniem z drogą 25.KG2/2 (ul. Fromborska). Przyszły nabywca działek będzie zobowiązany do wybudowania odcinka dróg 27.K-L1/2 i 31.K-D1/2 w zakresie niezbędnym do ich bezpiecznego i funkcjonalnego skomunikowania oraz wykona je własnym staraniem i na swój koszt, na zasadach i warunkach uzgodnionych z Departamentem Zarządu Dróg oraz zgodnie z zapisami MPZP Osiedla Bielany – część wschodnia.
Zgodnie z opinią Departamentu Zarządu Dróg przebieg drogi powinien zapewnić prawidłową widoczność na skrzyżowaniu z ul. Fromborską i wlot projektowanej drogi powinien być zaprojektowany jak najbardziej prostopadle względem ul. Fromborskiej, przy uwzględnieniu zlokalizowania go na wprost ul. T. Boya – Żeleńskiego. W związku z powyższym prawdopodobnie konieczne będzie wykonanie staraniem Nabywców, przebudowy napowietrznej sieci energetycznej, która koliduje z planowanym przebiegiem drogi.
Droga oznaczona w miejscowym planie zagospodarowania przestrzennego, symbolem 27.K-L1/2 powinna posiadać dwupasmową jezdnię (w ocenie zarządcy drogi o szerokości 6,0 m), obustronne chodniki, podziemne ciągi infrastruktury technicznej, zieleń przyuliczną i oświetlenie.
Lokalizacja zjazdów na nieruchomości, winna odbywać się w miejscach, zgodnych z decyzją na lokalizację zjazdu z ul. Fromborskiej, uzyskaną przez Nabywców nieruchomości od zarządcy drogi (Departament Zarząd Dróg UM). Nabywcy nieruchomości zobowiązani będą do wykonania zjazdu własnym staraniem i na swój koszt.
Przyszli Nabywcy działek nr 102/31, 102/17 i 102/18 będą również zobowiązani do podpisania z Gminą Miasto Elbląg umowy, na podstawie art. 16 Ustawy o drogach publicznych, w której zostaną zobowiązani do budowy drogi wraz z niezbędną infrastrukturą oraz niezbędnym usunięciem kolizji.
7. Cena wywoławcza nieruchomości: ceny wywoławcze poszczególnych nieruchomości zawiera powyższa tabela. Wylicytowaną cenę sprzedaży nieruchomości plus podatek od towarów i usług (VAT), zgodnie z obowiązującymi przepisami, należy wpłacić na konto Urzędu Miejskiego w Elblągu (które wskazane zostanie w protokole z przetargu), przed zawarciem umowy sprzedaży.
8. Warunki udziału w przetargu: w przetargu mogą uczestniczyć osoby, które wpłacą wadium, złożą oświadczenie, że znany jest im stan prawny i stan zagospodarowania nieruchomości, stanowiących przedmiot przetargu oraz oświadczenie o zapoznaniu się z warunkami i przedmiotem przetargu oraz o przyjęciu ich bez zastrzeżeń.
9. Termin i miejsce przeprowadzenia przetargu: przetarg odbędzie się w dniu 2 lutego 2026 r., o godz. 10:00, w sali nr 300 Urzędu Miejskiego w Elblągu.
10. Termin, miejsce wpłaty oraz wysokość wadium: wadium, w wysokości podanej w powyższej tabeli, należy wpłacić na rachunek bankowy Bank Millennium S.A. z siedzibą w Warszawie nr 02 1160 22pokaż telefon, w terminie do dnia 26 stycznia 2026 r. Za termin wniesienia wadium uznaje się datę zaksięgowania środków na rachunku Gminy Miasto Elbląg. Wadia wpłacone przez uczestników przetargu, którzy ustaleni zostaną jako Nabywcy, zaliczone zostanie na poczet ceny nabycia nieruchomości. Pozostałym uczestnikom przetargu wadium zostanie zwrócone niezwłocznie po zamknięciu przetargu, jednak nie później niż przed upływem 3 dni.
11. Wysokość postąpienia: o wysokości postąpienia decydują uczestnicy przetargu, z tym że postąpienie nie może wynosić mniej niż 1 % ceny wywoławczej, z zaokrągleniem do pełnych dziesiątek złotych. Kwoty postąpienia dla poszczególnych nieruchomości zawiera powyższa tabela.
12. Skutki uchylenia się od zawarcia umowy sprzedaży: jeżeli uczestnicy przetargu ustaleni jako Nabywcy, uchylą się od podpisania umowy sprzedaży w formie aktu notarialnego, wpłacone wadium ulegnie przepadkowi na rzecz Gminy Miasto Elbląg.
13. Warunki nabycia nieruchomości:
a) Nieruchomość objęta przetargiem była przedmiotem pierwszego ustnego przetargu nieograniczonego, przeprowadzonego w dniu 18 sierpnia 2025 r. oraz drugiego ustnego przetargu nieograniczonego, przeprowadzonego w dniu 3 listopada 2025 r., które zakończyły się wynikiem negatywnym.
b) Nieruchomości objęte przetargiem stanowią własność Gminy Miasto Elbląg i nie są obciążone żadnymi prawami i długami wobec osób trzecich, za wyjątkiem praw wynikających z przebiegu sieci infrastruktury technicznej uzbrojenia terenu i przyłączy do tych sieci.
c) Gmina Miasto Elbląg nie ponosi odpowiedzialności za wady ukryte nieruchomości.
d) Nabywcy nieruchomości zobowiązani będą do rozpoczęcia zabudowy, w terminie do dnia 31 grudnia 2029 r. i zakończenia zabudowy nieruchomości, zgodnie z jej przeznaczeniem, w terminie do dnia 31 grudnia 2031 r. Za rozpoczęcie zabudowy uważa się wybudowanie fundamentów, a za zakończenie zabudowy uzyskanie pozwolenia na użytkowanie.
e) Nabywca działki nr 102/31 zobowiązany będzie do złożenia oświadczenia:
- że w przypadku niedotrzymania terminu rozpoczęcia zabudowy, określonego w pkt 13 ppkt d), zobowiąże się do zapłaty na rzecz Gminy Miasto Elbląg, kar umownych w wysokości po 300.000 zł (słownie złotych: trzysta tysięcy), za każdy rozpoczęty rok zwłoki, płatnych począwszy od 2030 roku;
- że w przypadku niedotrzymania terminu zakończenia zabudowy nieruchomości, określonego w pkt 13 ppkt d), zobowiąże się do zapłaty na rzecz Gminy Miasto Elbląg kar umownych w wysokości po 300.000 zł (słownie złotych: trzysta tysięcy), za każdy rozpoczęty rok zwłoki, płatnych począwszy od 2032 roku;
- iż w celu zabezpieczenia zapłaty należności Gminie Miasto Elbląg, z tytułu ww. kar umownych, dobrowolnie podda się rygorowi egzekucji do kwoty 3.000.000 zł (słownie złotych: trzy miliony), stosownie do przepisu art. 777 § 1 pkt 5 Kpc. Gminie Miasto Elbląg będzie przysługiwało prawo do wystąpienia z wnioskiem o nadanie aktowi notarialnemu nabycia nieruchomości, będącej przedmiotem przetargu, klauzuli wykonalności, w terminie do 31 grudnia 2041 r.
Gmina Miasto Elbląg będzie uprawniona do prowadzenia egzekucji przeciwko dłużnikowi, o ile dłużnik nie zapłaci wyżej opisanej kary umownej w terminie jej płatności, określonym powyżej. Fakt nie dokonania przez dłużnika zapłaty należności w powyższych terminach, potwierdzony zostanie przez Gminę Miasto Elbląg oświadczeniem przez nią złożonym i dołączonym do wniosku o nadanie temu aktowi (tytułowi egzekucyjnemu) klauzuli wykonalności.
f) Nabywca działki nr 102/18 zobowiązany będzie do złożenia oświadczenia:
- że w przypadku niedotrzymania terminu rozpoczęcia zabudowy, określonego w pkt 13 ppkt d), zobowiąże się do zapłaty na rzecz Gminy Miasto Elbląg, kar umownych w wysokości po 600.000 zł (słownie złotych: sześćset tysięcy), za każdy rozpoczęty rok zwłoki, płatnych począwszy od 2030 roku;
- że w przypadku niedotrzymania terminu zakończenia zabudowy nieruchomości, określonego w pkt 13 ppkt d), zobowiąże się do zapłaty na rzecz Gminy Miasto Elbląg kar umownych w wysokości po 600.000 zł (słownie złotych: sześćset tysięcy), za każdy rozpoczęty rok zwłoki, płatnych począwszy od 2032 roku;
- iż w celu zabezpieczenia zapłaty należności Gminie Miasto Elbląg, z tytułu ww. kar umownych, dobrowolnie podda się rygorowi egzekucji do kwoty 6.500.000 zł (słownie złotych: sześć milionów pięćset tysięcy), stosownie do przepisu art. 777 § 1 pkt 5 Kpc. Gminie Miasto Elbląg będzie przysługiwało prawo do wystąpienia z wnioskiem o nadanie aktowi notarialnemu nabycia nieruchomości, będącej przedmiotem przetargu, klauzuli wykonalności, w terminie do 31 grudnia 2041 r.
Gmina Miasto Elbląg będzie uprawniona do prowadzenia egzekucji przeciwko dłużnikowi, o ile dłużnik nie zapłaci wyżej opisanej kary umownej w terminie jej płatności, określonym powyżej. Fakt nie dokonania przez dłużnika zapłaty należności w powyższych terminach, potwierdzony zostanie przez Gminę Miasto Elbląg oświadczeniem przez nią złożonym i dołączonym do wniosku o nadanie temu aktowi (tytułowi egzekucyjnemu) klauzuli wykonalności.
g) Dopuszcza się możliwość zmiany terminów zagospodarowania nieruchomości, o których mowa w pkt 13 ppkt d), jedynie z przyczyn nie leżących po stronie Nabywców, bądź niezależnych od Nabywców. Ciężar udowodnienia wskazanej przyczyny spoczywa na Nabywcach. Zła sytuacja ekonomiczna, gospodarcza czy finansowa Nabywców, nie stanowi przesłanki do zmiany terminów, określonych w pkt 13 ppkt d).
h) W przypadku zbycia nieruchomości w obrocie wtórnym, przed zrealizowaniem inwestycji, Nabywcy nieruchomości pozostaną podmiotami zobowiązanymi do ponoszenia wobec Gminy Miasto Elbląg, odpowiedzialności za realizację zabudowy nieruchomości, w sposób i w terminach określonych w pkt 13 ppkt d), w szczególności odpowiedzialności określonej w pkt 13 ppkt e) i ppkt f).
i) W przypadku zaistnienia konieczności usunięcia drzew i krzewów z terenu nieruchomości, Nabywcy zobowiązani będą uczynić to własnym staraniem i na własny koszt. Wycinka może nastąpić po uzyskaniu przez Nabywców stosownego zezwolenia i może wiązać się z opłatami z tego tytułu.
j) Sprzedaż i wydanie nieruchomości w posiadanie Nabywców, następuje według danych zawartych w ewidencji gruntów i budynków oraz w aktualnym stanie zagospodarowania, ewentualny koszt wznowienia punktów granicznych (granic) ponoszą Nabywcy.
14. Informacje dodatkowe:
a) Przetarg przeprowadzony zostanie w trybie przewidzianym przepisami ustawy z dnia 21 sierpnia 1997 r. o gospodarce nieruchomościami (t.j. Dz.U. z 2024 r. poz. 1145 ze zm.) oraz rozporządzenia Rady Ministrów z dnia 14 września 2004 r. w sprawie sposobu i trybu przeprowadzania przetargów oraz rokowań na zbycie nieruchomości (tj. Dz.U. 2021 r. poz. 2213).
b) Przetarg będzie ważny bez względu na liczbę uczestników, jeżeli chociaż jeden uczestnik zaoferuje cenę wyższą od ceny wywoławczej o co najmniej jedno postąpienie.
c) Organizator przetargu zawiadomi osoby ustalone jako Nabywców nieruchomości o terminie i miejscu zawarcia umowy sprzedaży, najpóźniej w terminie 21 dni od dnia rozstrzygnięcia przetargu.
d) Nabycie nieruchomości przez cudzoziemca, w rozumieniu przepisów ustawy o nabywaniu nieruchomości przez cudzoziemców, może wymagać uzyskania zezwolenia ministra właściwego do spraw wewnętrznych i administracji. W przypadku nieuzyskania wymaganego zezwolenia, wpłacone wadium nie będzie podlegało zwrotowi.
e) Uczestnicy przetargu winni:
- legitymować się dowodem osobistym, a ponadto w przypadku prowadzenia działalności gospodarczej należy posiadać i przedłożyć komisji przetargowej:
· osoby fizyczne - zaświadczenie o wpisie w CEIDG (wydrukowane ze strony internetowej Centralnej Ewidencji i Informacji o Działalności Gospodarczej https://www.biznes.gov.pl/pl/wyszukiwarka-firm/),
· osoby prawne – wypis z właściwego rejestru, a w przypadku KRS - informację odpowiadającą odpisowi aktualnemu z Rejestru Przedsiębiorców (wydrukowaną ze strony internetowej Ministerstwa Sprawiedliwości https://prs.ms.gov.pl/krs) oraz zgodę organów statutowych na nabycie nieruchomości stanowiącej przedmiot przetargu,
- złożyć pisemne oświadczenie o zapoznaniu się z warunkami i przedmiotem przetargu oraz o przyjęciu ich bez zastrzeżeń,
- złożyć pisemne oświadczenie, że znany jest im stan prawny i stan zagospodarowania nieruchomości.
f) W przypadku osób fizycznych, które przystępując do przetargu w ramach spółki cywilnej, działają również na rzecz nieuczestniczących w przetargu wspólników, winna zostać przedstawiona zgoda wspólników na nabycie nieruchomości lub umowa spółki uprawniająca wspólnika/wspólników uczestniczących w przetargu do nabywania nieruchomości bez zgody pozostałych wspólników.
g) W przypadku działania poprzez pełnomocnika, pełnomocnik winien ponadto przedłożyć komisji przetargowej oryginał pełnomocnictwa sporządzonego w formie aktu notarialnego lub pełnomocnictwa z notarialnie poświadczonym podpisem.
h) W przypadku nabywania nieruchomości przez małżonków do wspólności ustawowej, na przetargu winni stawić się oboje małżonkowie lub jeden z małżonków, wraz z oryginałem szczegółowego pełnomocnictwa sporządzonego w formie aktu notarialnego lub pełnomocnictwa z notarialnie poświadczonym podpisem, albo ich pełnomocnik wraz z oryginałami szczegółowych pełnomocnictw obydwojga z małżonków, sporządzonymi w formie aktów notarialnych lub pełnomocnictw z notarialnie poświadczonymi podpisami.
i) Wszelkie koszty, w tym w szczególności opłaty notarialne i sądowe, związane z zawarciem umowy sprzedaży ponoszą Nabywcy.
15. Zastrzeżenia: Prezydent Miasta Elbląg może odwołać ogłoszony przetarg jedynie z ważnych powodów, niezwłocznie podając informację o odwołaniu przetargu do publicznej wiadomości z podaniem przyczyny odwołania przetargu.
Kontakt:
Urząd Miasta Elbląg
tel: 55 2pokaż telefon
dgnigskontaktuj się
Numer oferty: 43511/3186/OGS
Statystyki ogłoszenia:
Podobne nieruchomości