Działka pod inwestycję z infrastrukturą w Suwałkach Suwałki, Szpitalna - 2804,0m2
622 800
zł
222,11 zł/m2
POWIERZCHNIA
2 804 m2
RODZAJ DZIAŁKI
budowlana
DROGA DOJAZDOWA
-
Szczegóły oferty 44590/3186/OGS Data dodania: wczoraj
- Kategoria Działki i grunty na sprzedaż
- Lokalizacja podlaskie, Suwałki, Szpitalna
-
Powierzchnia
całkowita 2 804 m2
Sprawdź MPZP
- Powierzchnia działki2 804 m2
-
Cena
622 800 zł
- Cena za m2 222,11 zł/m2
- Rodzaj działki budowlana
- Ogrodzenie działkiinne
Lokalizacja
Opis oferty
Prezydent Miasta Suwałk
ogłasza trzeci przetarg ustny nieograniczony
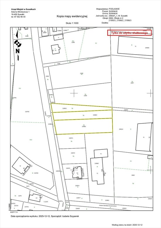
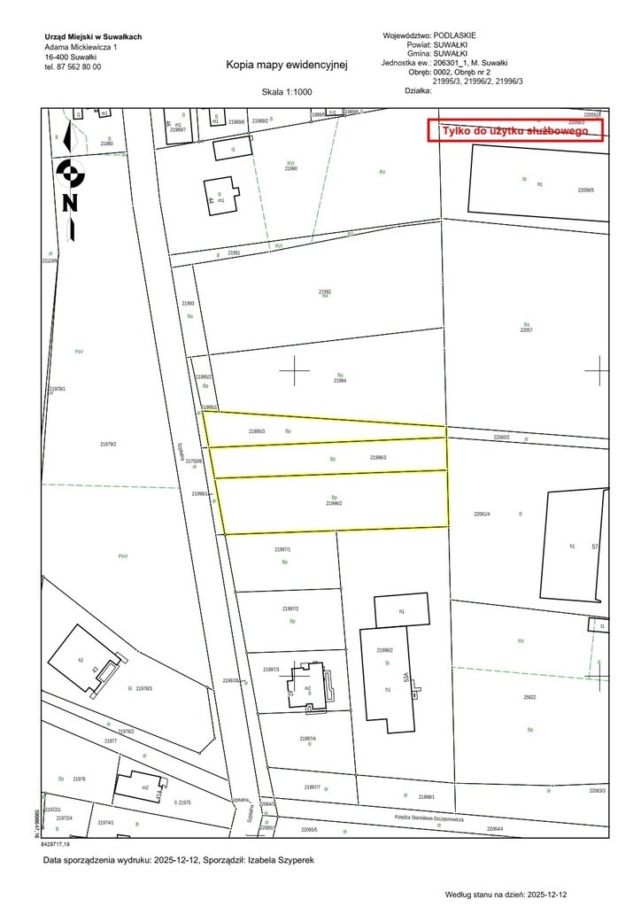
na sprzedaż działek stanowiących własność Miasta Suwałk oznaczonych nr. geod.: 21995/3 o powierzchni 0,0615 ha, wchodząca w skład nieruchomości dla której prowadzona jest księga wieczysta nr SU1S/000pokaż telefon, 21996/3 o powierzchni 0,0804 ha i 21996/2 o powierzchni 0,1385 ha, wchodzące w skład nieruchomości oznaczonej księgą wieczystą nr SU1S/000pokaż telefon, niezabudowanych, położonych przy ul. Szpitalnej w Suwałkach. Na działce 21995/3 zlokalizowana jest sieć elektroenergetyczna wysokiego napięcia, nieczynna sieć elektroenergetyczna wysokiego napięcia i nieczynna sieć wodociągowa. Na działce 21996/3 zlokalizowana jest sieć kablowa elektroenergetyczna średniego napięcia, sieć ciepłownicza, sieć telekomunikacyjna, odcinki magistrali wodociągowej i sieci kanalizacji sanitarnej tłocznej oraz nieczynna sieć wodociągowa. Na działce nr 21996/2 zlokalizowana jest sieć telekomunikacyjna. Nabywca zobowiązany będzie do nieodpłatnego znoszenia tych sieci oraz nieodpłatnego udostępniania wejścia na grunt w przypadku ich awarii bądź konserwacji. Ponadto nabywca będzie zobowiązany do ustanowienia nieodpłatnej służebności przesyłu na czas nieoznaczony na rzecz właściciela odcinków magistrali wodociągowej oraz sieci kanalizacji sanitarnej tłocznej - Przedsiębiorstwa Wodociągów i Kanalizacji w Suwałkach Spółka z o.o. zgodnie z art. 3051Kodeksu cywilnego, polegającej na znoszeniu istnienia posadowionych na nieruchomości urządzeń przesyłowych w postaci magistrali wodociągowej, sieci kanalizacji sanitarnej tłocznej oraz na prawie do korzystania z nieruchomości obciążonej w zakresie niezbędnym do dokonywania konserwacji, remontów przebudowy magistrali wodociągowej, sieci kanalizacji sanitarnej tłocznej wraz z prawem wejścia i wjazdu na teren odpowiednim sprzętem przez pracowników PWiK w Suwałkach Sp. z o.o. oraz na całej długości i szerokości 3 m od osi magistrali wodociągowej oraz 3 m od osi sieci kanalizacji sanitarnej tłocznej na działce o nr geod. 21996/3 zabrania się posadowienia budowli w tym lekkich konstrukcji, pylonów reklamowych, wiat śmietnikowych oraz nasadzeń krzewów i drzew. W przypadku kolidowania ww. magistrali wodociągowej i sieci kanalizacji sanitarnej tłocznej z nową inwestycją, nabywca dokona ich przełożenia na wniosek i koszt własny za zgodą właściciela sieci. Dodatkowo nabywca będzie zobowiązany do ustanowienia służebności przesyłu na czas nieoznaczony na rzecz właściciela sieci ciepłowniczej - Przedsiębiorstwa Energetyki Cieplnej w Suwałkach Spółka z o.o. polegającej na: 1) znoszeniu sieci cieplnej, a w tym na prawie swobodnego dostępu – dojścia i dojazdu tj. korzystania przez PEC w Suwałkach Sp. z o.o. z nieruchomości wyżej opisanej, oznaczonej nr geodezyjnym 21996/3 objętej księgą wieczystą nr SU1S/000pokaż telefon, w celu naprawy, remontu, konserwacji i modernizacji oraz rozbudowy istniejących na nieruchomości urządzeń służących do przesyłu energii cieplnej; 2) obowiązku właściciela nieruchomości 21996/3 powstrzymania się od działań, które uniemożliwiłyby dostęp do urządzeń przesyłowych, w szczególności powstrzymywania się od dokonywania w odległości 1,5 m od sieci ciepłowniczej jakichkolwiek nasadzeń drzew i krzewów głęboko korzeniących się oraz lokalizowania obiektów w sposób trwały związanych z gruntem, jak również innych działań lub zaniechań, które mogłyby spowodować uszkodzenie urządzeń przesyłowych. W przypadku kolidowania sieci z nową inwestycją, nabywca dokona jej przełożenia na wniosek i koszt własny za zgodą właściciela sieci. Działki nr 21995/3, 21996/3 i 21996/2 zgodnie z miejscowym planem zagospodarowania przestrzennego zawierają się w granicach terenu oznaczonego na rysunku planu symbolem 5U – teren zabudowy usługowej. Szczegółowe warunki zabudowy zawarte są w miejscowym planie zagospodarowania przestrzennego terenu położonego na południe od GPZ „Reja" w Suwałkach zatwierdzonym Uchwałą Nr XLII/537/2018 Rady Miejskiej w Suwałkach z dnia 05.03.2018 roku. Nieruchomości przeznaczone są do łącznej sprzedaży w drodze przetargu ustnego nieograniczonego.
Cena wywoławcza: 622 800 zł (słownie: sześćset dwadzieścia dwa tysiące osiemset złotych).
Wadium: 62 280 zł (słownie: sześćdziesiąt dwa tysiące dwieście osiemdziesiąt złotych).
Przetarg przeprowadzony zostanie na podstawie przepisów ustawy z dnia 21 sierpnia 1997 r. o gospodarce nieruchomościami oraz rozporządzenia Rady Ministrów z dnia 14 września 2004 roku w sprawie sposobu i trybu przeprowadzania przetargów oraz rokowań na zbycie nieruchomości.
Pierwszy przetarg w dniu 23 października 2025 roku zakończył się wynikiem negatywnym.
Drugi przetarg w dniu 26 lutego 2026 roku zakończył się wynikiem negatywnym.
w siedzibie Urzędu Miejskiego w Suwałkach przy ul. Mickiewicza 1 w sali nr 146.
Warunkiem wzięcia udziału w przetargu jest:
- wpłacenie wadium w podanej wyżej wysokości na rachunek Urzędu Miejskiego w Suwałkach nr 76 1240 52pokaż telefon Bank Pekao S.A. Oddział w Suwałkach . . Komisja przetargowa przed otwarciem przetargu stwierdzi wniesienie wadium przez uczestników przetargu;
- złożenie, przed otwarciem przetargu, pisemnego oświadczenia o zapoznaniu się z treścią ogłoszenia o przetargu oraz przedmiotem przetargu;
- w przypadku uczestnictwa w przetargu osoby prawnej – przedłożenie aktualnego wypisu z rejestru, właściwych pełnomocnictw sporządzonych notarialnie, dowodów tożsamości osób reprezentujących podmiot;
- w przypadku uczestnictwa w przetargu osoby fizycznej – osobiste stawiennictwo w dniu przetargu z dowodem tożsamości lub reprezentowanie przez pełnomocnika na podstawie pełnomocnictwa sporządzonego notarialnie;
- w przypadku uczestnictwa w przetargu jednego ze współmałżonków – przedłożenie pisemnej zgody drugiego małżonka na nabycie nieruchomości z podpisem notarialnie poświadczonym. Osoby pozostające w związku małżeńskim, a zamierzające nabyć nieruchomość z majątku odrębnego zobowiązane są złożyć stosowne oświadczenie. Osoby nie pozostające w związku małżeńskim zobowiązane są złożyć komisji przetargowej przed przystąpieniem do przetargu pisemne oświadczenie, iż nie pozostają w związku małżeńskim.
W przypadku uchylenia się nabywcy od zawarcia umowy sprzedaży wadium nie podlega zwrotowi.
Koszty sporządzenia umowy notarialnej ponosi nabywca.
Szczegółowych informacji dotyczących przetargu udziela Wydział Gospodarki Nieruchomościami Urzędu Miejskiego w Suwałkach przy ul. Mickiewicza 1, pokój nr 141; telefon (87)pokaż telefon.
Klauzula informacyjna RODO
Zgodnie z art. 13 ust. 1 i 2 rozporządzenia Parlamentu Europejskiego i Rady (UE) 2016/679 z dnia 27 kwietnia 2016 r. w sprawie ochrony osób fizycznych w związku z przetwarzaniem danych osobowych i w sprawie swobodnego przepływu takich danych oraz uchylenia dyrektywy 95/46/WE (ogólne rozporządzenie o ochronie danych) (Dz. Urz. UE L 119 z 04.05.2016, str. 1), dalej „RODO”, informuję, że:
a) Administratorem Pani/Pana danych osobowych jest: Urząd Miejski w Suwałkach, z siedzibą przy ul. Mickiewicza 1, 16-400 Suwałki, 087 – 562 80 00 reprezentowany przez Prezydenta Miasta Suwałk.
b) Inspektorem ochrony danych osobowych w Urzędzie Miejskim w Suwałkach jest Pan Rafał Luto, iod@uskontaktuj się.
c) Pani/Pana dane osobowe przetwarzane będą w celu przeprowadzenia procedury przetargowej związanej ze sprzedażą nieruchomości zgodnie z przepisami ustawy z dnia 21 sierpnia 1997 r. o gospodarce nieruchomościami.
d) Dane nie będą udostępniane podmiotom innym niż uprawnione na podstawie przepisów prawa oraz podmiotom, którym dane zostały powierzone do przetwarzania.
e) Pani/Pana dane osobowe mogą być przekazywane wyłącznie organom władzy publicznej oraz podmiotom wykonującym zadania publiczne lub działającym na zlecenie organów władzy publicznej, w zakresie i w celach, które wynikają z przepisów powszechnie obowiązującego prawa oraz innym podmiotom, które na podstawie stosownych umów podpisanych z administratorem przetwarzają dane osobowe.
f) Dane osobowe będą przechowywane przez okres niezbędny do realizacji zadania, do którego dane zostały zebrane, a następnie przez czas oraz w zakresie wymaganym przez przepisy prawa (ustawa z dnia 14 lipca 1983 r. o narodowym zasobie archiwalnym i archiwach, Dz. U. z 2020 r. poz. 164 t.j.; Rozporządzenie Prezesa Rady Ministrów z dnia 18 stycznia 2011 r. w sprawie instrukcji kancelaryjnej, jednolitych rzeczowych wykazów akt oraz instrukcji w sprawie organizacji i zakresu działania archiwów zakładowych, Dz. U. z 2011 r., Nr 14, poz. 67).
g) Osoba, której dane dotyczą ma prawo dostępu do treści swoich danych, ich sprostowania, ograniczenia przetwarzania. Nie przysługuje prawo do usunięcia, do przenoszenia oraz sprzeciwu wobec przetwarzania danych.
h) Osoba, której dane osobowe są przetwarzane ma prawo wnieść skargę do Prezesa Urzędu Ochrony Danych Osobowych w związku z przetwarzaniem danych.
i) Podanie danych wynika z przepisów ustawy i jest obowiązkowe. Ich niepodanie uniemożliwi udział w postępowaniu przetargowym. Podanie danych w celach kontaktowych jest dobrowolne, służy usprawnieniu komunikacji.
j) Dane nie będą podlegały zautomatyzowanemu podejmowaniu decyzji, w tym profilowaniu.
Kontakt: Urząd Miasta Suwałki tel: (87)pokaż telefon org@uskontaktuj się
Numer oferty: 44590/3186/OGS
ogłasza trzeci przetarg ustny nieograniczony
na sprzedaż działek stanowiących własność Miasta Suwałk oznaczonych nr. geod.: 21995/3 o powierzchni 0,0615 ha, wchodząca w skład nieruchomości dla której prowadzona jest księga wieczysta nr SU1S/000pokaż telefon, 21996/3 o powierzchni 0,0804 ha i 21996/2 o powierzchni 0,1385 ha, wchodzące w skład nieruchomości oznaczonej księgą wieczystą nr SU1S/000pokaż telefon, niezabudowanych, położonych przy ul. Szpitalnej w Suwałkach. Na działce 21995/3 zlokalizowana jest sieć elektroenergetyczna wysokiego napięcia, nieczynna sieć elektroenergetyczna wysokiego napięcia i nieczynna sieć wodociągowa. Na działce 21996/3 zlokalizowana jest sieć kablowa elektroenergetyczna średniego napięcia, sieć ciepłownicza, sieć telekomunikacyjna, odcinki magistrali wodociągowej i sieci kanalizacji sanitarnej tłocznej oraz nieczynna sieć wodociągowa. Na działce nr 21996/2 zlokalizowana jest sieć telekomunikacyjna. Nabywca zobowiązany będzie do nieodpłatnego znoszenia tych sieci oraz nieodpłatnego udostępniania wejścia na grunt w przypadku ich awarii bądź konserwacji. Ponadto nabywca będzie zobowiązany do ustanowienia nieodpłatnej służebności przesyłu na czas nieoznaczony na rzecz właściciela odcinków magistrali wodociągowej oraz sieci kanalizacji sanitarnej tłocznej - Przedsiębiorstwa Wodociągów i Kanalizacji w Suwałkach Spółka z o.o. zgodnie z art. 3051Kodeksu cywilnego, polegającej na znoszeniu istnienia posadowionych na nieruchomości urządzeń przesyłowych w postaci magistrali wodociągowej, sieci kanalizacji sanitarnej tłocznej oraz na prawie do korzystania z nieruchomości obciążonej w zakresie niezbędnym do dokonywania konserwacji, remontów przebudowy magistrali wodociągowej, sieci kanalizacji sanitarnej tłocznej wraz z prawem wejścia i wjazdu na teren odpowiednim sprzętem przez pracowników PWiK w Suwałkach Sp. z o.o. oraz na całej długości i szerokości 3 m od osi magistrali wodociągowej oraz 3 m od osi sieci kanalizacji sanitarnej tłocznej na działce o nr geod. 21996/3 zabrania się posadowienia budowli w tym lekkich konstrukcji, pylonów reklamowych, wiat śmietnikowych oraz nasadzeń krzewów i drzew. W przypadku kolidowania ww. magistrali wodociągowej i sieci kanalizacji sanitarnej tłocznej z nową inwestycją, nabywca dokona ich przełożenia na wniosek i koszt własny za zgodą właściciela sieci. Dodatkowo nabywca będzie zobowiązany do ustanowienia służebności przesyłu na czas nieoznaczony na rzecz właściciela sieci ciepłowniczej - Przedsiębiorstwa Energetyki Cieplnej w Suwałkach Spółka z o.o. polegającej na: 1) znoszeniu sieci cieplnej, a w tym na prawie swobodnego dostępu – dojścia i dojazdu tj. korzystania przez PEC w Suwałkach Sp. z o.o. z nieruchomości wyżej opisanej, oznaczonej nr geodezyjnym 21996/3 objętej księgą wieczystą nr SU1S/000pokaż telefon, w celu naprawy, remontu, konserwacji i modernizacji oraz rozbudowy istniejących na nieruchomości urządzeń służących do przesyłu energii cieplnej; 2) obowiązku właściciela nieruchomości 21996/3 powstrzymania się od działań, które uniemożliwiłyby dostęp do urządzeń przesyłowych, w szczególności powstrzymywania się od dokonywania w odległości 1,5 m od sieci ciepłowniczej jakichkolwiek nasadzeń drzew i krzewów głęboko korzeniących się oraz lokalizowania obiektów w sposób trwały związanych z gruntem, jak również innych działań lub zaniechań, które mogłyby spowodować uszkodzenie urządzeń przesyłowych. W przypadku kolidowania sieci z nową inwestycją, nabywca dokona jej przełożenia na wniosek i koszt własny za zgodą właściciela sieci. Działki nr 21995/3, 21996/3 i 21996/2 zgodnie z miejscowym planem zagospodarowania przestrzennego zawierają się w granicach terenu oznaczonego na rysunku planu symbolem 5U – teren zabudowy usługowej. Szczegółowe warunki zabudowy zawarte są w miejscowym planie zagospodarowania przestrzennego terenu położonego na południe od GPZ „Reja" w Suwałkach zatwierdzonym Uchwałą Nr XLII/537/2018 Rady Miejskiej w Suwałkach z dnia 05.03.2018 roku. Nieruchomości przeznaczone są do łącznej sprzedaży w drodze przetargu ustnego nieograniczonego.
Cena wywoławcza: 622 800 zł (słownie: sześćset dwadzieścia dwa tysiące osiemset złotych).
Wadium: 62 280 zł (słownie: sześćdziesiąt dwa tysiące dwieście osiemdziesiąt złotych).
Przetarg przeprowadzony zostanie na podstawie przepisów ustawy z dnia 21 sierpnia 1997 r. o gospodarce nieruchomościami oraz rozporządzenia Rady Ministrów z dnia 14 września 2004 roku w sprawie sposobu i trybu przeprowadzania przetargów oraz rokowań na zbycie nieruchomości.
Pierwszy przetarg w dniu 23 października 2025 roku zakończył się wynikiem negatywnym.
Drugi przetarg w dniu 26 lutego 2026 roku zakończył się wynikiem negatywnym.
w siedzibie Urzędu Miejskiego w Suwałkach przy ul. Mickiewicza 1 w sali nr 146.
Warunkiem wzięcia udziału w przetargu jest:
- wpłacenie wadium w podanej wyżej wysokości na rachunek Urzędu Miejskiego w Suwałkach nr 76 1240 52pokaż telefon Bank Pekao S.A. Oddział w Suwałkach . . Komisja przetargowa przed otwarciem przetargu stwierdzi wniesienie wadium przez uczestników przetargu;
- złożenie, przed otwarciem przetargu, pisemnego oświadczenia o zapoznaniu się z treścią ogłoszenia o przetargu oraz przedmiotem przetargu;
- w przypadku uczestnictwa w przetargu osoby prawnej – przedłożenie aktualnego wypisu z rejestru, właściwych pełnomocnictw sporządzonych notarialnie, dowodów tożsamości osób reprezentujących podmiot;
- w przypadku uczestnictwa w przetargu osoby fizycznej – osobiste stawiennictwo w dniu przetargu z dowodem tożsamości lub reprezentowanie przez pełnomocnika na podstawie pełnomocnictwa sporządzonego notarialnie;
- w przypadku uczestnictwa w przetargu jednego ze współmałżonków – przedłożenie pisemnej zgody drugiego małżonka na nabycie nieruchomości z podpisem notarialnie poświadczonym. Osoby pozostające w związku małżeńskim, a zamierzające nabyć nieruchomość z majątku odrębnego zobowiązane są złożyć stosowne oświadczenie. Osoby nie pozostające w związku małżeńskim zobowiązane są złożyć komisji przetargowej przed przystąpieniem do przetargu pisemne oświadczenie, iż nie pozostają w związku małżeńskim.
W przypadku uchylenia się nabywcy od zawarcia umowy sprzedaży wadium nie podlega zwrotowi.
Koszty sporządzenia umowy notarialnej ponosi nabywca.
Szczegółowych informacji dotyczących przetargu udziela Wydział Gospodarki Nieruchomościami Urzędu Miejskiego w Suwałkach przy ul. Mickiewicza 1, pokój nr 141; telefon (87)pokaż telefon.
Klauzula informacyjna RODO
Zgodnie z art. 13 ust. 1 i 2 rozporządzenia Parlamentu Europejskiego i Rady (UE) 2016/679 z dnia 27 kwietnia 2016 r. w sprawie ochrony osób fizycznych w związku z przetwarzaniem danych osobowych i w sprawie swobodnego przepływu takich danych oraz uchylenia dyrektywy 95/46/WE (ogólne rozporządzenie o ochronie danych) (Dz. Urz. UE L 119 z 04.05.2016, str. 1), dalej „RODO”, informuję, że:
a) Administratorem Pani/Pana danych osobowych jest: Urząd Miejski w Suwałkach, z siedzibą przy ul. Mickiewicza 1, 16-400 Suwałki, 087 – 562 80 00 reprezentowany przez Prezydenta Miasta Suwałk.
b) Inspektorem ochrony danych osobowych w Urzędzie Miejskim w Suwałkach jest Pan Rafał Luto, iod@uskontaktuj się.
c) Pani/Pana dane osobowe przetwarzane będą w celu przeprowadzenia procedury przetargowej związanej ze sprzedażą nieruchomości zgodnie z przepisami ustawy z dnia 21 sierpnia 1997 r. o gospodarce nieruchomościami.
d) Dane nie będą udostępniane podmiotom innym niż uprawnione na podstawie przepisów prawa oraz podmiotom, którym dane zostały powierzone do przetwarzania.
e) Pani/Pana dane osobowe mogą być przekazywane wyłącznie organom władzy publicznej oraz podmiotom wykonującym zadania publiczne lub działającym na zlecenie organów władzy publicznej, w zakresie i w celach, które wynikają z przepisów powszechnie obowiązującego prawa oraz innym podmiotom, które na podstawie stosownych umów podpisanych z administratorem przetwarzają dane osobowe.
f) Dane osobowe będą przechowywane przez okres niezbędny do realizacji zadania, do którego dane zostały zebrane, a następnie przez czas oraz w zakresie wymaganym przez przepisy prawa (ustawa z dnia 14 lipca 1983 r. o narodowym zasobie archiwalnym i archiwach, Dz. U. z 2020 r. poz. 164 t.j.; Rozporządzenie Prezesa Rady Ministrów z dnia 18 stycznia 2011 r. w sprawie instrukcji kancelaryjnej, jednolitych rzeczowych wykazów akt oraz instrukcji w sprawie organizacji i zakresu działania archiwów zakładowych, Dz. U. z 2011 r., Nr 14, poz. 67).
g) Osoba, której dane dotyczą ma prawo dostępu do treści swoich danych, ich sprostowania, ograniczenia przetwarzania. Nie przysługuje prawo do usunięcia, do przenoszenia oraz sprzeciwu wobec przetwarzania danych.
h) Osoba, której dane osobowe są przetwarzane ma prawo wnieść skargę do Prezesa Urzędu Ochrony Danych Osobowych w związku z przetwarzaniem danych.
i) Podanie danych wynika z przepisów ustawy i jest obowiązkowe. Ich niepodanie uniemożliwi udział w postępowaniu przetargowym. Podanie danych w celach kontaktowych jest dobrowolne, służy usprawnieniu komunikacji.
j) Dane nie będą podlegały zautomatyzowanemu podejmowaniu decyzji, w tym profilowaniu.
Kontakt: Urząd Miasta Suwałki tel: (87)pokaż telefon org@uskontaktuj się
Numer oferty: 44590/3186/OGS
Statystyki ogłoszenia:
Podobne nieruchomości