Działka pod zabudowę jednorodzinną w Suwałkach Suwałki, Studzieniczne - 2266,0m2
192 000
zł
84,73 zł/m2
POWIERZCHNIA
2 266 m2
RODZAJ DZIAŁKI
budowlana
DROGA DOJAZDOWA
-
Szczegóły oferty 44591/3186/OGS Data dodania: wczoraj
- Kategoria Działki i grunty na sprzedaż
- Lokalizacja podlaskie, Suwałki, Studzieniczne
-
Powierzchnia
całkowita 2 266 m2
Sprawdź MPZP
- Powierzchnia działki2 266 m2
-
Cena
192 000 zł
- Cena za m2 84,73 zł/m2
- Rodzaj działki budowlana
- Ogrodzenie działkiinne
Lokalizacja
Opis oferty
Prezydent Miasta Suwałk
ogłasza piąty przetarg ustny nieograniczony
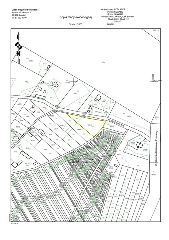
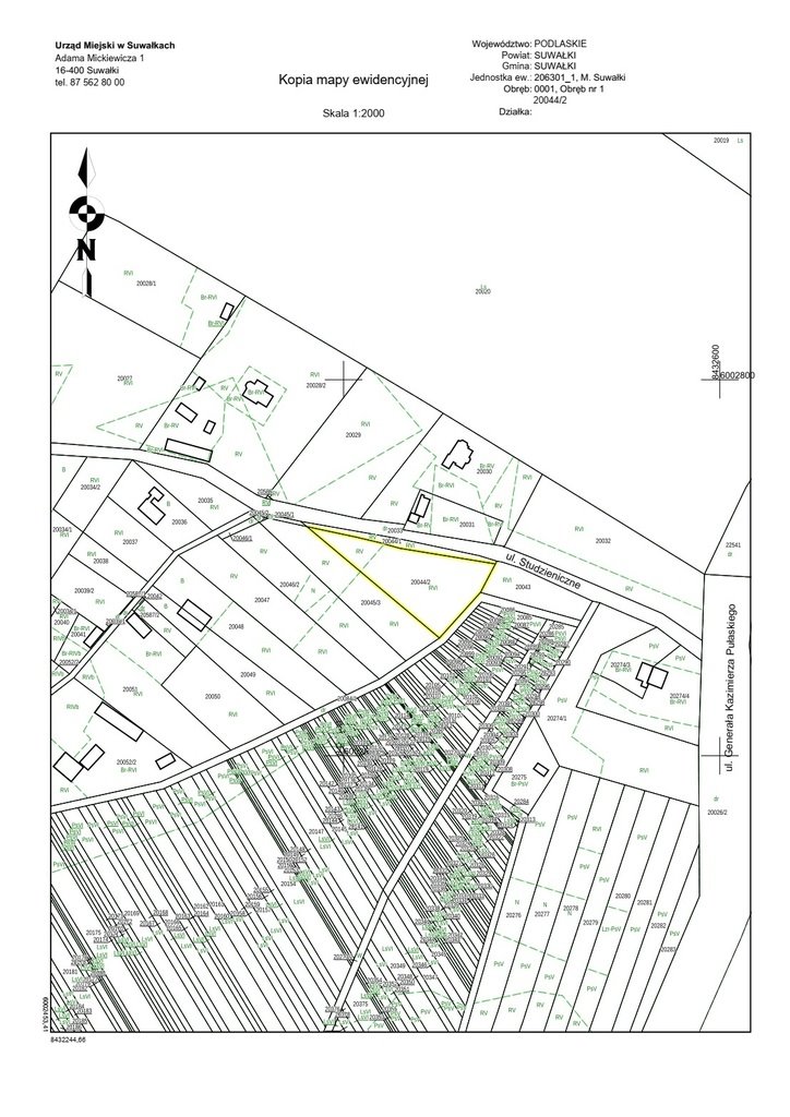
na sprzedaż nieruchomości niezabudowanej, stanowiącej własność Miasta Suwałk oznaczonej działką nr 20044/2 o powierzchni 0,2266 ha, położonej przy ul. Studzieniczne w Suwałkach, wchodzącej w skład nieruchomości oznaczonej księgą wieczystą nr SU1S/000pokaż telefon.
Na działce zlokalizowana jest napowietrzna sieć elektroenergetyczna niskiego napięcia. Nabywca zobowiązany będzie do nieodpłatnego znoszenia tej sieci oraz nieodpłatnego udostępniania wejścia na grunt w przypadku jej awarii bądź konserwacji. W przypadku kolidowania sieci z nową inwestycją, nabywca dokona jej przełożenia na wniosek i koszt własny za zgodą właściciela sieci. Działka zgodnie z miejscowym planem zagospodarowania przestrzennego rejonu ulicy Studzieniczne w Suwałkach zatwierdzonym Uchwałą L/654/2022 Rady Miejskiej w Suwałkach z dnia 26.10.2022 roku objęta jest konturem 10MN - tereny zabudowy mieszkaniowej jednorodzinnej wolnostojącej. Nieruchomość przeznaczona jest do sprzedaży w drodze przetargu ustnego nieograniczonego.
Cena wywoławcza: 192 000 zł brutto (słownie: sto dziewięćdziesiąt dwa tysiące złotych).
Wadium: 19 200 zł (słownie: dziewiętnaście tysięcy dwieście złotych).
Przetarg przeprowadzony zostanie na podstawie przepisów ustawy z dnia 21 sierpnia 1997 r. o gospodarce nieruchomościami oraz rozporządzenia Rady Ministrów z dnia 14 września 2004 roku w sprawie sposobu i trybu przeprowadzania przetargów oraz rokowań na zbycie nieruchomości.
Pierwszy przetarg w dniu 15 maja 2025 roku zakończył się wynikiem negatywnym.
Drugi przetarg w dniu 3 lipca 2025 roku zakończył się wynikiem negatywnym.
Trzeci przetarg w dniu 25 września 2025 roku zakończył się wynikiem negatywnym.
Czwarty przetarg w dniu 04 lutego 2026 roku zakończył się wynikiem negatywnym.
w siedzibie Urzędu Miejskiego w Suwałkach przy ul. Mickiewicza 1 w sali nr 146.
Warunkiem wzięcia udziału w przetargu jest:
- wpłacenie wadium w podanej wyżej wysokości na rachunek Urzędu Miejskiego w Suwałkach nr 76 1240 52pokaż telefon Bank Pekao S.A. Oddział w Suwałkach . . Komisja przetargowa przed otwarciem przetargu stwierdzi wniesienie wadium przez uczestników przetargu;
- złożenie, przed otwarciem przetargu, pisemnego oświadczenia o zapoznaniu się z treścią ogłoszenia o przetargu oraz przedmiotem przetargu;
- w przypadku uczestnictwa w przetargu osoby prawnej – przedłożenie aktualnego wypisu z rejestru, właściwych pełnomocnictw sporządzonych notarialnie, dowodów tożsamości osób reprezentujących podmiot;
- w przypadku uczestnictwa w przetargu osoby fizycznej – osobiste stawiennictwo w dniu przetargu z dowodem tożsamości lub reprezentowanie przez pełnomocnika na podstawie pełnomocnictwa sporządzonego notarialnie;
- w przypadku uczestnictwa w przetargu jednego ze współmałżonków – przedłożenie pisemnej zgody drugiego małżonka na nabycie nieruchomości z podpisem notarialnie poświadczonym. Osoby pozostające w związku małżeńskim, a zamierzające nabyć nieruchomość z majątku odrębnego zobowiązane są złożyć stosowne oświadczenie. Osoby nie pozostające w związku małżeńskim zobowiązane są złożyć komisji przetargowej przed przystąpieniem do przetargu pisemne oświadczenie, iż nie pozostają w związku małżeńskim.
W przypadku uchylenia się nabywcy od zawarcia umowy sprzedaży wadium nie podlega zwrotowi.
Koszty sporządzenia umowy notarialnej ponosi nabywca.
Szczegółowych informacji dotyczących przetargu udziela Wydział Gospodarki Nieruchomościami Urzędu Miejskiego w Suwałkach przy ul. Mickiewicza 1, pokój nr 141; telefon (87)pokaż telefon.
Klauzula informacyjna RODO
Zgodnie z art. 13 ust. 1 i 2 rozporządzenia Parlamentu Europejskiego i Rady (UE) 2016/679 z dnia 27 kwietnia 2016 r. w sprawie ochrony osób fizycznych w związku z przetwarzaniem danych osobowych i w sprawie swobodnego przepływu takich danych oraz uchylenia dyrektywy 95/46/WE (ogólne rozporządzenie o ochronie danych) (Dz. Urz. UE L 119 z 04.05.2016, str. 1), dalej „RODO”, informuję, że:
a) Administratorem Pani/Pana danych osobowych jest: Urząd Miejski w Suwałkach, z siedzibą przy ul. Mickiewicza 1, 16-400 Suwałki, 087 – 562 80 00 reprezentowany przez Prezydenta Miasta Suwałk.
b) Inspektorem ochrony danych osobowych w Urzędzie Miejskim w Suwałkach jest Pan Rafał Luto, iod@uskontaktuj się.
c) Pani/Pana dane osobowe przetwarzane będą w celu przeprowadzenia procedury przetargowej związanej ze sprzedażą nieruchomości zgodnie z przepisami ustawy z dnia 21 sierpnia 1997 r. o gospodarce nieruchomościami.
d) Dane nie będą udostępniane podmiotom innym niż uprawnione na podstawie przepisów prawa oraz podmiotom, którym dane zostały powierzone do przetwarzania.
e) Pani/Pana dane osobowe mogą być przekazywane wyłącznie organom władzy publicznej oraz podmiotom wykonującym zadania publiczne lub działającym na zlecenie organów władzy publicznej, w zakresie i w celach, które wynikają z przepisów powszechnie obowiązującego prawa oraz innym podmiotom, które na podstawie stosownych umów podpisanych z administratorem przetwarzają dane osobowe.
f) Dane osobowe będą przechowywane przez okres niezbędny do realizacji zadania, do którego dane zostały zebrane, a następnie przez czas oraz w zakresie wymaganym przez przepisy prawa (ustawa z dnia 14 lipca 1983 r. o narodowym zasobie archiwalnym i archiwach, Dz. U. z 2020 r. poz. 164 t.j.; Rozporządzenie Prezesa Rady Ministrów z dnia 18 stycznia 2011 r. w sprawie instrukcji kancelaryjnej, jednolitych rzeczowych wykazów akt oraz instrukcji w sprawie organizacji i zakresu działania archiwów zakładowych, Dz. U. z 2011 r., Nr 14, poz. 67).
g) Osoba, której dane dotyczą ma prawo dostępu do treści swoich danych, ich sprostowania, ograniczenia przetwarzania. Nie przysługuje prawo do usunięcia, do przenoszenia oraz sprzeciwu wobec przetwarzania danych.
h) Osoba, której dane osobowe są przetwarzane ma prawo wnieść skargę do Prezesa Urzędu Ochrony Danych Osobowych w związku z przetwarzaniem danych.
i) Podanie danych wynika z przepisów ustawy i jest obowiązkowe. Ich niepodanie uniemożliwi udział w postępowaniu przetargowym. Podanie danych w celach kontaktowych jest dobrowolne, służy usprawnieniu komunikacji.
j) Dane nie będą podlegały zautomatyzowanemu podejmowaniu decyzji, w tym profilowaniu.
Kontakt: Urząd Miasta Suwałki tel: (87)pokaż telefon org@uskontaktuj się
Numer oferty: 44591/3186/OGS
ogłasza piąty przetarg ustny nieograniczony
na sprzedaż nieruchomości niezabudowanej, stanowiącej własność Miasta Suwałk oznaczonej działką nr 20044/2 o powierzchni 0,2266 ha, położonej przy ul. Studzieniczne w Suwałkach, wchodzącej w skład nieruchomości oznaczonej księgą wieczystą nr SU1S/000pokaż telefon.
Na działce zlokalizowana jest napowietrzna sieć elektroenergetyczna niskiego napięcia. Nabywca zobowiązany będzie do nieodpłatnego znoszenia tej sieci oraz nieodpłatnego udostępniania wejścia na grunt w przypadku jej awarii bądź konserwacji. W przypadku kolidowania sieci z nową inwestycją, nabywca dokona jej przełożenia na wniosek i koszt własny za zgodą właściciela sieci. Działka zgodnie z miejscowym planem zagospodarowania przestrzennego rejonu ulicy Studzieniczne w Suwałkach zatwierdzonym Uchwałą L/654/2022 Rady Miejskiej w Suwałkach z dnia 26.10.2022 roku objęta jest konturem 10MN - tereny zabudowy mieszkaniowej jednorodzinnej wolnostojącej. Nieruchomość przeznaczona jest do sprzedaży w drodze przetargu ustnego nieograniczonego.
Cena wywoławcza: 192 000 zł brutto (słownie: sto dziewięćdziesiąt dwa tysiące złotych).
Wadium: 19 200 zł (słownie: dziewiętnaście tysięcy dwieście złotych).
Przetarg przeprowadzony zostanie na podstawie przepisów ustawy z dnia 21 sierpnia 1997 r. o gospodarce nieruchomościami oraz rozporządzenia Rady Ministrów z dnia 14 września 2004 roku w sprawie sposobu i trybu przeprowadzania przetargów oraz rokowań na zbycie nieruchomości.
Pierwszy przetarg w dniu 15 maja 2025 roku zakończył się wynikiem negatywnym.
Drugi przetarg w dniu 3 lipca 2025 roku zakończył się wynikiem negatywnym.
Trzeci przetarg w dniu 25 września 2025 roku zakończył się wynikiem negatywnym.
Czwarty przetarg w dniu 04 lutego 2026 roku zakończył się wynikiem negatywnym.
w siedzibie Urzędu Miejskiego w Suwałkach przy ul. Mickiewicza 1 w sali nr 146.
Warunkiem wzięcia udziału w przetargu jest:
- wpłacenie wadium w podanej wyżej wysokości na rachunek Urzędu Miejskiego w Suwałkach nr 76 1240 52pokaż telefon Bank Pekao S.A. Oddział w Suwałkach . . Komisja przetargowa przed otwarciem przetargu stwierdzi wniesienie wadium przez uczestników przetargu;
- złożenie, przed otwarciem przetargu, pisemnego oświadczenia o zapoznaniu się z treścią ogłoszenia o przetargu oraz przedmiotem przetargu;
- w przypadku uczestnictwa w przetargu osoby prawnej – przedłożenie aktualnego wypisu z rejestru, właściwych pełnomocnictw sporządzonych notarialnie, dowodów tożsamości osób reprezentujących podmiot;
- w przypadku uczestnictwa w przetargu osoby fizycznej – osobiste stawiennictwo w dniu przetargu z dowodem tożsamości lub reprezentowanie przez pełnomocnika na podstawie pełnomocnictwa sporządzonego notarialnie;
- w przypadku uczestnictwa w przetargu jednego ze współmałżonków – przedłożenie pisemnej zgody drugiego małżonka na nabycie nieruchomości z podpisem notarialnie poświadczonym. Osoby pozostające w związku małżeńskim, a zamierzające nabyć nieruchomość z majątku odrębnego zobowiązane są złożyć stosowne oświadczenie. Osoby nie pozostające w związku małżeńskim zobowiązane są złożyć komisji przetargowej przed przystąpieniem do przetargu pisemne oświadczenie, iż nie pozostają w związku małżeńskim.
W przypadku uchylenia się nabywcy od zawarcia umowy sprzedaży wadium nie podlega zwrotowi.
Koszty sporządzenia umowy notarialnej ponosi nabywca.
Szczegółowych informacji dotyczących przetargu udziela Wydział Gospodarki Nieruchomościami Urzędu Miejskiego w Suwałkach przy ul. Mickiewicza 1, pokój nr 141; telefon (87)pokaż telefon.
Klauzula informacyjna RODO
Zgodnie z art. 13 ust. 1 i 2 rozporządzenia Parlamentu Europejskiego i Rady (UE) 2016/679 z dnia 27 kwietnia 2016 r. w sprawie ochrony osób fizycznych w związku z przetwarzaniem danych osobowych i w sprawie swobodnego przepływu takich danych oraz uchylenia dyrektywy 95/46/WE (ogólne rozporządzenie o ochronie danych) (Dz. Urz. UE L 119 z 04.05.2016, str. 1), dalej „RODO”, informuję, że:
a) Administratorem Pani/Pana danych osobowych jest: Urząd Miejski w Suwałkach, z siedzibą przy ul. Mickiewicza 1, 16-400 Suwałki, 087 – 562 80 00 reprezentowany przez Prezydenta Miasta Suwałk.
b) Inspektorem ochrony danych osobowych w Urzędzie Miejskim w Suwałkach jest Pan Rafał Luto, iod@uskontaktuj się.
c) Pani/Pana dane osobowe przetwarzane będą w celu przeprowadzenia procedury przetargowej związanej ze sprzedażą nieruchomości zgodnie z przepisami ustawy z dnia 21 sierpnia 1997 r. o gospodarce nieruchomościami.
d) Dane nie będą udostępniane podmiotom innym niż uprawnione na podstawie przepisów prawa oraz podmiotom, którym dane zostały powierzone do przetwarzania.
e) Pani/Pana dane osobowe mogą być przekazywane wyłącznie organom władzy publicznej oraz podmiotom wykonującym zadania publiczne lub działającym na zlecenie organów władzy publicznej, w zakresie i w celach, które wynikają z przepisów powszechnie obowiązującego prawa oraz innym podmiotom, które na podstawie stosownych umów podpisanych z administratorem przetwarzają dane osobowe.
f) Dane osobowe będą przechowywane przez okres niezbędny do realizacji zadania, do którego dane zostały zebrane, a następnie przez czas oraz w zakresie wymaganym przez przepisy prawa (ustawa z dnia 14 lipca 1983 r. o narodowym zasobie archiwalnym i archiwach, Dz. U. z 2020 r. poz. 164 t.j.; Rozporządzenie Prezesa Rady Ministrów z dnia 18 stycznia 2011 r. w sprawie instrukcji kancelaryjnej, jednolitych rzeczowych wykazów akt oraz instrukcji w sprawie organizacji i zakresu działania archiwów zakładowych, Dz. U. z 2011 r., Nr 14, poz. 67).
g) Osoba, której dane dotyczą ma prawo dostępu do treści swoich danych, ich sprostowania, ograniczenia przetwarzania. Nie przysługuje prawo do usunięcia, do przenoszenia oraz sprzeciwu wobec przetwarzania danych.
h) Osoba, której dane osobowe są przetwarzane ma prawo wnieść skargę do Prezesa Urzędu Ochrony Danych Osobowych w związku z przetwarzaniem danych.
i) Podanie danych wynika z przepisów ustawy i jest obowiązkowe. Ich niepodanie uniemożliwi udział w postępowaniu przetargowym. Podanie danych w celach kontaktowych jest dobrowolne, służy usprawnieniu komunikacji.
j) Dane nie będą podlegały zautomatyzowanemu podejmowaniu decyzji, w tym profilowaniu.
Kontakt: Urząd Miasta Suwałki tel: (87)pokaż telefon org@uskontaktuj się
Numer oferty: 44591/3186/OGS
Statystyki ogłoszenia:
Podobne nieruchomości