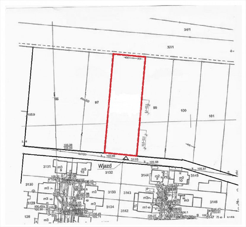
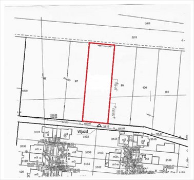
Działka budowlana 1798 m² we Wrześni – możliwość podłączenia prądu i wody Września - 1798,0m2
Oferta na wyłączność
345 000 zł 191,88 zł/m2POWIERZCHNIA
1 798 m2
RODZAJ DZIAŁKI
budowlana
DROGA DOJAZDOWA
-
Szczegóły oferty EX660300
- Kategoria Działki i grunty na sprzedaż
- Lokalizacja wielkopolskie, Września
-
Powierzchnia
całkowita 1 798 m2
Sprawdź MPZP
-
Cena
345 000 zł
- Cena za m2 191,88 zł/m2
- Rodzaj działki budowlana
- Ogrodzenie działkibrak
Lokalizacja
Opis oferty
Oferujemy Państwu działkę budowlaną w atrakcyjnej lokalizacji Wrześni. Wymiary działki 24x74,9m2=1798m2
Zagospodarowanie pozwala na wybudowanie budynku/ów/ mieszkalnego. Działka na dzień dzisiejszy nieuzbrojona. Na tą posesję zostały wydane zapewnienia od energetyki i wodociągów mówiące o możliwości podpięcia się do najbliższej instalacji /prąd + woda/
*pomagamy przy znalezieniu najkorzystniejszego finansowania
*kupujący nie płaci prowizji
Zagospodarowanie pozwala na wybudowanie budynku/ów/ mieszkalnego. Działka na dzień dzisiejszy nieuzbrojona. Na tą posesję zostały wydane zapewnienia od energetyki i wodociągów mówiące o możliwości podpięcia się do najbliższej instalacji /prąd + woda/
*pomagamy przy znalezieniu najkorzystniejszego finansowania
*kupujący nie płaci prowizji
Zainteresowany? Zadzwoń teraz i umów się na spotkanie online
Numer oferty: EX660300
Statystyki ogłoszenia:
Podobne nieruchomości