Działka budowlana 8,49 ara w Włosaniu – spokój i blisko Krakowa Włosań, Bajeczna - 849,0m2
Oferta na wyłączność
300 000 zł 353,36 zł/m2POWIERZCHNIA
849 m2
RODZAJ DZIAŁKI
budowlana
DROGA DOJAZDOWA
asfaltowa
Szczegóły oferty 2932/2089/OGS
- Kategoria Działki i grunty na sprzedaż
- Lokalizacja małopolskie, Włosań, Bajeczna
-
Powierzchnia
całkowita 849 m2
Sprawdź MPZP
- Powierzchnia działki849 m2
-
Cena
300 000 zł
- Cena za m2 353,36 zł/m2
- Dostępne od15.01.2026r.
- Rodzaj działki budowlana
- Forma własności własność
- Kształt działki prostokąt
- Mediagaz, woda, prąd
- Droga dojazdowaasfaltowa
- Ogrodzenie działkiinne
Lokalizacja
Opis oferty
Private House Brokers ma przyjemność zaprezentować ofertę sprzedaży - budowlanej działki o powierzchni 8ar 49m2 w miejscowości Włosań w gminie Mogilany
OFERTA DOSTĘPNA TYLKO U NAS
LOKALIZACJA:
Oferowana działka budowlana położona jest w malowniczej miejscowości Włosań, na terenie gminy Mogilany, w bezpośrednim sąsiedztwie Krakowa. Lokalizacja łączy spokój i kameralny charakter podkrakowskiej miejscowości z wygodnym dostępem do infrastruktury miejskiej. W pobliżu znajdują się tereny zielone, lasy oraz liczne trasy spacerowe i rowerowe. Dogodny dojazd do Krakowa oraz szybki dostęp do głównych dróg sprawiają, że jest to idealne miejsce pod budowę domu jednorodzinnego.
DZIAŁKA:
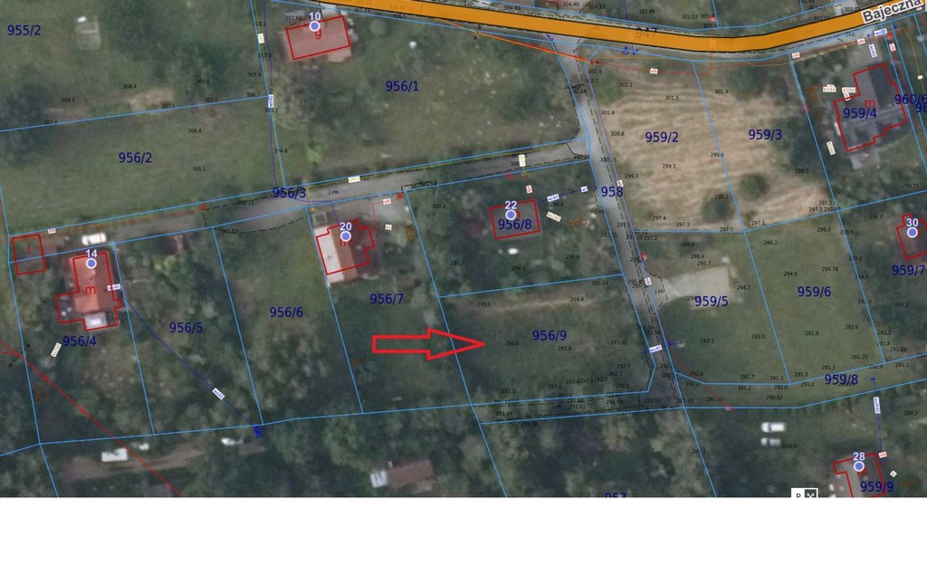
Prezentowana nieruchomość to działka budowlana zlokalizowana w okolicach ulicy Bajecznej oznaczona numerem 956/9 o powierzchni 8,49 ara. Działka od strony południowej graniczy ze ślepą drogą dojazdową. W najbliższym sąsiedztwie zabudowa jednorodzinna wolnostojąca. Droga dojazdowa od strony wschodniej. Działka o kształcie prostokąta, położona na południowym stoku. Działka niezabudowana, na działce zadrzewienie od strony południowej działki.
Działka objęta MPZP dla miejscowości Włosań - zgodnie z zapisami planu znajduje się w terenie zabudowy mieszkaniowej jednorodzinnej - teren oznaczony symbolem 03MN3.
CENA:
300.000,00 zł
Zapraszam do kontaktu po więcej szczegółów.
Maciej Dymek
+48 5pokaż telefon
m.dymek@prskontaktuj się
--
Kredyt hipoteczny z Private House Brokers
W PHB posiadamy własny Dział Finansowania Nieruchomości. Współpracujemy z 25 największymi bankami, spośród których najlepszą ofertę pomogą Ci wybrać nasi eksperci. U nas możesz liczyć na najniższą marżę, kompleksowe objaśnienie zasad przyznawania kredytu, przeprowadzenie krok po kroku przez całą procedurę kredytową i załatwienie wszystkich formalności w jednym miejscu.
Już dziś zapytaj o szczegóły opiekuna oferty i weź najlepszy kredyt na rynku.
Private House Brokers is pleased to present an offer for sale of a building plot with a total area of 849 m², located in Włosań, Mogilany Municipality.
EXCLUSIVE OFFER – AVAILABLE ONLY WITH US
LOCATION:
The offered building plot is situated in the picturesque village of Włosań, within the Mogilany Municipality, in close proximity to Kraków. The location combines peace and the intimate character of a suburban area with convenient access to urban infrastructure. Nearby, there are green areas, forests, as well as numerous walking and cycling routes. Easy access to Kraków and quick connections to main roads make this an ideal location for the construction of a single-family house.
PLOT:
The presented property is a building plot located near Bajeczna Street, marked with plot number 956/9, with an area of 8.49 ares (849 m²). The southern boundary of the plot adjoins a dead-end access road. The immediate surroundings consist of detached single-family housing. Access to the plot is provided from the eastern side. The plot has a rectangular shape and is situated on a southern slope. The land is undeveloped, with trees located in the southern part of the plot.
The plot is covered by the Local Spatial Development Plan (MPZP) for Włosań and, according to the plan’s provisions, is designated for single-family residential development, marked with the symbol 03MN3.
PRICE:
300.000,00 zł
Please feel free to contact me for further details.
Maciej Dymek
+48 5pokaż telefon
m.dymek@prskontaktuj się
--
Mortgage Financing with Private House Brokers
At PHB, we have our own in-house Real Estate Financing Department. We cooperate with 25 of the largest banks, and our experts will help you choose the best available offer. With us, you can count on the lowest possible margin, a clear explanation of mortgage conditions, step-by-step guidance through the entire loan process, and handling of all formalities in one place.
Numer oferty: 2932/2089/OGS
Nr licencji zawodowej: 19641
Statystyki ogłoszenia:
Podobne nieruchomości