Działka pod zabudowę szeregową 30 000 m², media, warunki Warszawa, Włochy, Załuski, Na Skraju - 30000,0m2
POWIERZCHNIA
30 000 m2
RODZAJ DZIAŁKI
budowlana
DROGA DOJAZDOWA
asfaltowa
Szczegóły oferty EMP-GS-5282-29 Data dodania: 2 dni temu
- Kategoria Działki i grunty na sprzedaż
- Lokalizacja mazowieckie, Warszawa, Włochy, Załuski, Na Skraju
-
Powierzchnia
całkowita 30 000 m2
Sprawdź MPZP
-
Cena
27 000 000 zł
- Cena za m2 900 zł/m2
- Rodzaj działki budowlana
- Kształt działki prostokąt
- Droga dojazdowaasfaltowa
- Ogrodzenie działkibrak
Lokalizacja
Opis oferty
Na działkę można dojechać wklejając do Google Maps 52.157778, 20.947304
https://maps.app.goo.gl/TEoRnGeiiobL9ABL6
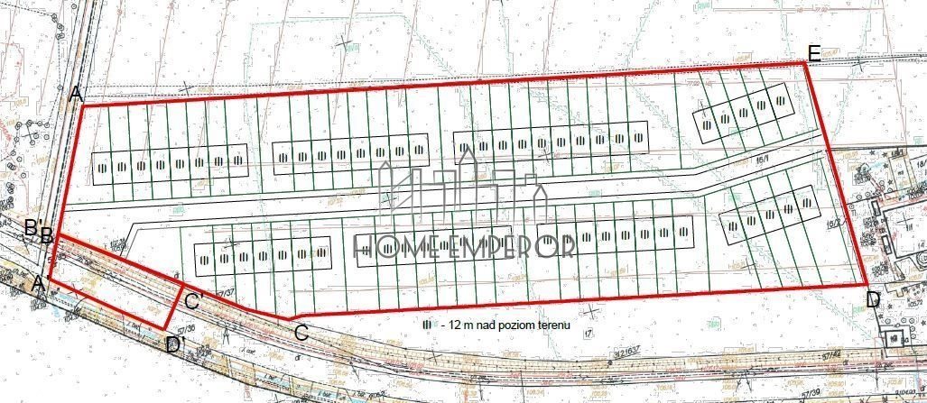
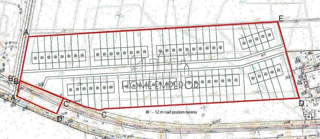
Warszawa, Włochy, Załuski, ul. Na Skraju, obręb 2-06-18, numer ewidencyjny 16/1.
Media:
prąd - na działce
woda, gaz - w ulicy
kanalizacja - na działce
Wymiary działki: 70 m x 450 m
Działka nie jest objęta miejscowym planem zagospodarowania przestrzennego. Zostały wydane warunki zabudowy na budowę na 1/3 działki (około 1ha) na budowę 39 domów w zabudowie szeregowej.
Budynki usytuowane są w ciągach od 4 do 10 budynków obok siebie. Każdy z nich ma pow. zabudowy ok. 60 m 2 .
Powierzchnia działek dla każdego z budynków to od 120 m 2 do 300 m 2 .
Zapraszam do kontaktu
Maciej Adamczyk
883pokaż telefon
Bezpłatnie pomagamy w uzyskaniu kredytu na zakup nieruchomości. Współpracujemy z doradcą finansowym i prawnikiem.
Opis oferty zawarty na stronie internetowej sporządzany jest na podstawie oględzin nieruchomości oraz informacji uzyskanych od właściciela, może podlegać aktualizacji i nie stanowi oferty określonej w art. 66 i następnych K.C.
Oferta wysłana z systemu Galactica Virgo
Numer oferty: EMP-GS-5282-29
Statystyki ogłoszenia: