Działka 6520 m² z potencjałem, zalesiona, Rybnik Niedobczyce Rybnik, Niedobczyce, Bolesława Śmiałego - 6520,0m2
POWIERZCHNIA
6 520 m2
RODZAJ DZIAŁKI
inna
DROGA DOJAZDOWA
-
Szczegóły oferty 230-49/2025
- Kategoria Działki i grunty na sprzedaż
- Lokalizacja śląskie, Rybnik, Niedobczyce, Bolesława Śmiałego
-
Powierzchnia
całkowita 6 520 m2
Sprawdź MPZP
-
Cena
70 550 zł
- Cena za m2 10,82 zł/m2
- Rodzaj działki inna
- Forma własności wieczyste użytkowanie
- Ogrodzenie działkiinne
Lokalizacja
Opis oferty
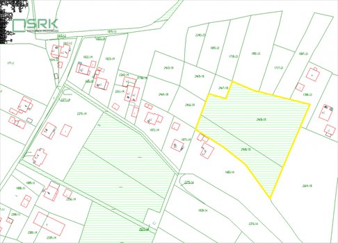
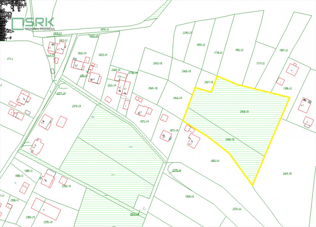
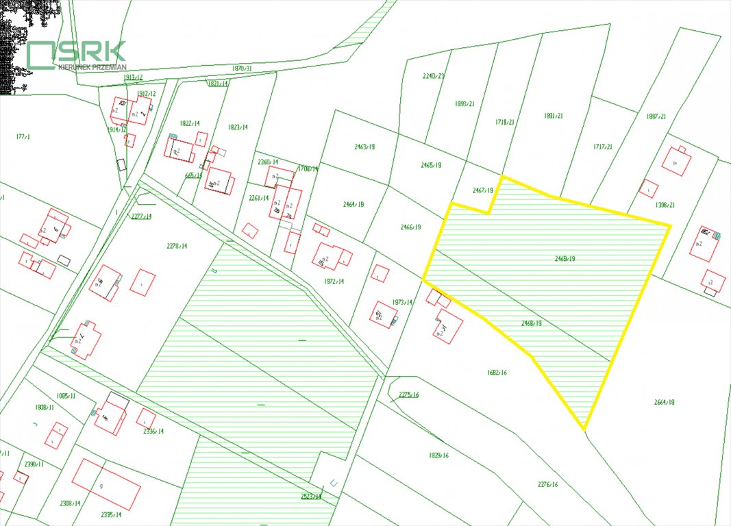
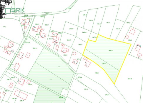
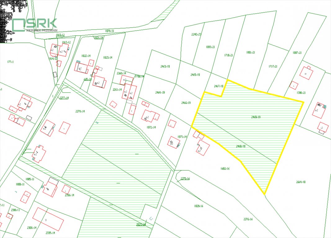
Sprzedaż nieruchomości położonej w Rybniku w rejonie ul. Bolesława Śmiałego, obręb Niedobczyce o łącznej powierzchni 6520 m2, zapisanej w księdze wieczystej GL1Y/001pokaż telefon prowadzonej przez Sąd Rejonowy w Rybniku, w skład której wchodzą: prawo użytkowania wieczystego niezabudowanych działek nr 2468/19 oraz 2469/19.
Działki mają kształt regularny, od północnego zachodu wycięty. Teren działek znacznie nachylony w stronę południową, nierówny, w znacznym stopniu zadrzewiony i zakrzewiony. W bezpośrednim otoczeniu zlokalizowana jest luźna zabudowa jednorodzinna (wzdłuż ulic Janasa i Bolesława Śmiałego). Na południowy wschód od nieruchomości znajdują się tereny zieleni, tereny niezabudowane. W dalszej odległości zlokalizowane są punkty handlowo – usługowe i budynki użyteczności publicznej. W obrębie działek przebiegają dwie napowietrzne linie elektroenergetyczne oraz znajdują się na nich dwa słupy elektroenergetyczne.Nieruchomość nie posiada dostępu do drogi publicznej.
Zgodnie z zapisami Miejscowego Planu Zagospodarowania Przestrzennego, zatwierdzonego Uchwałą nr 545/XXXV/2005 Rady Miasta Rybnika z dnia 25.05.2005r., działka nr 2468/19 leży na terenie oznaczonym symbolem R ZR – tereny zalesień. Zgodnie z zapisami Miejscowego Planu Zagospodarowania Przestrzennego, zatwierdzonego Uchwałą nr 775/XLIX/2018 Rady Miasta Rybnika z dnia 27.06.2018r. dla części miasta Rybnika obejmującej obszar w rejonie ulicy Chodkiewicza, nieruchomość nr 2469/19 leży na terenie objętym jednostką planu 1 ZNU – tereny zieleni nieurządzonej.
Informacja telefoniczna w sprawie oferty jest udzielana w godz. 6.00 - 14.00 od poniedziałku do piątku.
Numer oferty: 230-49/2025
Statystyki ogłoszenia: