Działka budowlana na sprzedaż Dudki - 3751,0m2
POWIERZCHNIA
3 751 m2
RODZAJ DZIAŁKI
budowlana
DROGA DOJAZDOWA
-
Szczegóły oferty 43963/3186/OGS Data dodania: 4 dni temu
- Kategoria Działki i grunty na sprzedaż
- Lokalizacja warmińsko-mazurskie, Dudki
-
Powierzchnia
całkowita 3 751 m2
Sprawdź MPZP
- Powierzchnia działki3 751 m2
-
Cena
80 000 zł
- Cena za m2 21,33 zł/m2
- Rodzaj działki budowlana
- Ogrodzenie działkiinne
Lokalizacja
Opis oferty
OGŁOSZENIE O PRZETARGU
Na podstawie art. 38 ustawy z dnia 21 sierpnia 1997 r. o gospodarce nieruchomościami (t.j. Dz.U. z 2024r., poz. 1145 ze zm.) oraz § 3, 4 i 6 Rozporządzenia Rady Ministrów z dnia 14 września 2004 r. w sprawie sposobu i trybu przeprowadzania przetargów oraz rokowań na zbycie nieruchomości (t.j. Dz. U. z 2021r., poz. 2213) Wójt Gminy Świętajno w pow. oleckim po przetargach przeprowadzonych w dniach 29 sierpnia 2025r.oraz 30 października 2025 r., zakończonych wynikiem negatywnym
ogłasza III przetarg ustny nieograniczony na sprzedaż:
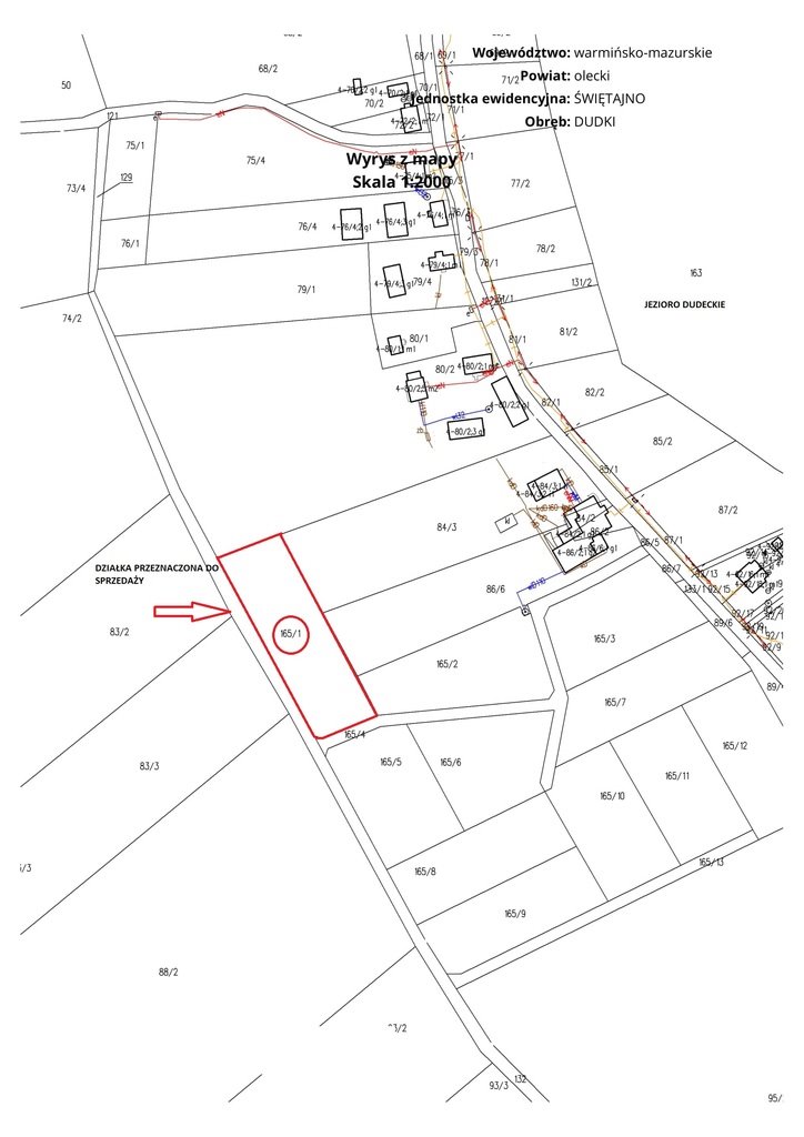
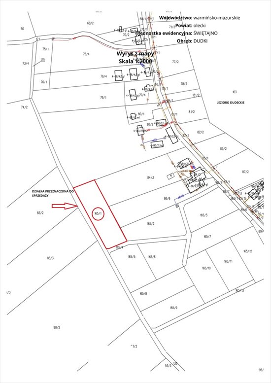
1) działki nr 165/1 o powierzchni 3751 m², położonej w obrębie DUDKI – KW nr OL1C/000pokaż telefon.
Cena wywoławcza nieruchomości wynosi 80 000,00 zł.
Wadium wynosi 8 000,00 zł. Wysokość minimalnego postąpienia ustalają uczestnicy przetargu, z tym że postąpienie nie może wynosić mniej niż 1% ceny wywoławczej, z zaokrągleniem w górę do pełnych dziesiątek złotych.
Przedmiotowa nieruchomość jest zwolniona z podatku VAT.
Nieruchomość jest wolna od wszelkich obciążeń i zobowiązań.
Przetarg, odbędzie się w dniu 16 marca 2026r., w budynku Urzędu Gminy, pok. nr 11. o godz. 10:00.
Warunkiem przystąpienia do przetargu jest wpłata wadium w wyżej podanej wysokości na rachunek bankowy BS Olecko Oddz. Świętajno Nr 64 9339 00pokaż telefon z takim wyprzedzeniem, aby najpóźniej w dniu 12 marca 2026r., nastąpiło uznanie rachunku bankowego. W tytule wpłat wadium należy wskazać oznaczenie nieruchomości, imię i nazwisko uczestnika przetargu, a w przypadku małżeństwa – obojga małżeństwa.
Uczestnicy przetargu zobowiązani są przedstawić komisji przetargowej:
- dowód wpłaty wadium,
- dokument stwierdzający tożsamość i obywatelstwo – dowód osobisty, jeżeli uczestnikiem przetargu jest osoba fizyczna,
- stosowne pełnomocnictwo – pełnomocnicy uczestników przetargu.
Wpłacone wadium zostanie:
- zaliczone na poczet ceny nabycia, jeżeli osoba wpłacająca wygra przetarg,
- zwrócone, jeżeli osoba wpłacająca nie wygra przetargu.
Cenę nabycia prawa własności równą cenie osiągniętej w przetargu, należy wpłacić najpóźniej przed dniem podpisania umowy notarialnej. Termin podpisania notarialnej umowy sprzedaży ustalony zostanie w ciągu 21 dni od dnia rozstrzygnięcia przetargu.
Odstąpienie od przeniesienia prawa własności w formie aktu notarialnego w ustalonym dniu i godzinie z przyczyn nieuzasadnionych przez nabywcę spowoduje przepadek wpłaconego wadium na rzecz organizatora przetargu, a przetarg czyni niebyłym.
Organizator przetargu może:
- od chwili rozpoczęcia odstąpić od jego przeprowadzania z przyczyn uzasadnionych,
- odstąpić od zawarcia umowy notarialnej w razie stwierdzenia, że przetarg został przeprowadzony z naruszeniem prawa. Koszty czynności notarialnych, opłaty sądowe ponosi nabywca.
Świętajno, dnia 5 lutego 2026r.
Kontakt:
Urząd Gminy Świętajno
tel: 87 5pokaż telefon
ug@swskontaktuj się
Numer oferty: 43963/3186/OGS
Statystyki ogłoszenia: