Działka 708 m² w Dąbrowie Górniczej – idealna pod inwestycję Dąbrowa Górnicza, Starościńska - 708,0m2
335 340
zł
473,64 zł/m2
POWIERZCHNIA
708 m2
RODZAJ DZIAŁKI
budowlana
DROGA DOJAZDOWA
-
Szczegóły oferty 44669/3186/OGS Data dodania: wczoraj
- Kategoria Działki i grunty na sprzedaż
- Lokalizacja śląskie, Dąbrowa Górnicza, Starościńska
-
Powierzchnia
całkowita 708 m2
Sprawdź MPZP
- Powierzchnia działki708 m2
-
Cena
335 340 zł
- Cena za m2 473,64 zł/m2
- Rodzaj działki budowlana
- Ogrodzenie działkiinne
Lokalizacja
Opis oferty
Prezydent Miasta Dąbrowy Górniczej
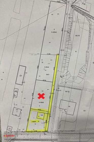
ogłasza, że w dniu 9.06.2026 r. o godz. 12:00 w Urzędzie Miejskim w Dąbrowie Górniczej przy ul. Granicznej 21, odbędzie się pierwszy przetarg ustny nieograniczony na sprzedaż nieruchomości niezabudowanej, stanowiącej własność Gminy Dąbrowa Górnicza, położonej w Dąbrowie Górniczej przy ul. Starościńskiej, ozn. nr geod. 8570 o pow. 708 m2 (obręb 0019, Dąbrowa Górnicza I).
Według stanu na dzień ogłoszenia przetargu księga wieczysta prowadzona jest dla nieruchomości o łącznej pow. 1,6713 ha, przedmiotowa działka wpisana jest pod numerem 14 (identyfikator 246501_1.0019.8570). Położenie: województwo śląskie, powiat M. Dąbrowa Górnicza, gmina Dąbrowa Górnicza M., miejscowość Dąbrowa Górnicza. Ulica: Starościńska. Sposób korzystania: Bp – zurbanizowane tereny niezabudowane lub w trakcie zabudowy. Działy I-Sp, III i IV księgi wieczystej wolne są od wpisów.
Cena wywoławcza nieruchomości: 335.340,00 zł
Wadium: 67.068,00 zł
Sprzedaż nieruchomości na dzień ogłoszenia przetargu jest zwolniona z podatku VAT na podstawie ustawy z dnia 11.03.2004 r. o podatku od towarów i usług.
W przypadku zmiany przepisów o podatku od towarów i usług stawki zostaną dostosowane do obowiązujących w dacie sprzedaży nieruchomości.
Działka niezabudowana, częściowo ogrodzona, o kształcie regularnym, wydłużonym, zbliżonym do prostokąta. Teren płaski, porośnięty zielenią niską. Przez działkę przebiegają przewody gazowe niskiego ciśnienia oraz napowietrzna sieć wysokiego napięcia wraz ze strefą ochronną. W północno-zachodniej części działki znajduje się przewód elektroenergetyczny podziemny, a wzdłuż zachodniej granicy działki i północno-zachodniej części działki przebiega przewód telekomunikacyjny podziemny. Działka posiada bezpośredni dostęp do drogi publicznej. W pobliżu znajduje się sieć elektroenergetyczna, wodociągowa, kanalizacyjna.
Dysponentom poszczególnych sieci przysługiwać będzie prawo nieodpłatnego i nieograniczonego dostępu do tych sieci w razie wystąpienia awarii lub prowadzenia prac remontowych. Według klasyfikacji użytków zawartej w ewidencji gruntów i budynków działka stanowi zurbanizowane tereny niezabudowane lub w trakcie zabudowy (Bp).
Nieruchomość wolna jest od obciążeń i nie jest przedmiotem żadnych zobowiązań.
Brak obowiązującego miejscowego planu zagospodarowania przestrzennego. Zgodnie z II edycją „Studium uwarunkowań i kierunków zagospodarowania przestrzennego miasta Dąbrowa Górnicza” zatwierdzonego Uchwałą Nr XXIII/374/08 Rady Miejskiej w Dąbrowie Górniczej z dnia 30.01.2008 r., zmienionego Uchwałą Nr XXXIII/706/2017 Rady Miejskiej w Dąbrowie Górniczej z dnia 22.11.2017 r. oraz zmienionego Uchwałą Nr LIX/1018/2023 Rady Miejskiej w Dąbrowie Górniczej z dnia 06.09.2023 r., działka znajduje się na obszarze ozn. symb.: A1MN1 – tereny zabudowy mieszkaniowej jednorodzinnej.
Szczegółowe warunki zagospodarowania przedmiotowej nieruchomości (w tym nakazy i zakazy) są zamieszczone w ustaleniach ww. II edycji „Studium …” wraz ze zmianami, z którymi należy zapoznać się w Wydziale Urbanistyki Urzędu Miejskiego w Dąbrowie Górniczej lub na stronie Biuletynu Informacji Publicznej: www.bip.dg.pl (zakładka: Spisy podmiotowe → Planowanie przestrzenne, zabytki → Dokumenty obowiązujące).
Przetarg zostanie przeprowadzony na podstawie ustawy z dnia 21 sierpnia 1997 r. o gospodarce nieruchomościami oraz przepisów Rozporządzenia Rady Ministrów z dnia 14 września 2004 r. w sprawie sposobu i trybu przeprowadzania przetargów oraz rokowań na zbycie nieruchomości.
Warunkiem uczestnictwa w przetargu jest wniesienie określonej w niniejszym ogłoszeniu kwoty wadium w pieniądzu na konto Urzędu Miejskiego w Dąbrowie Górniczej nr 57 1560 00pokaż telefon w VeloBank S.A. (ze wskazaniem oznaczenia nieruchomości oraz uczestnika przetargu – w przypadku, gdy uczestnikiem jest inny podmiot niż dokonujący wpłaty), w terminie /za datę wniesienia wadium uważa się datę wpływu środków pieniężnych na rachunek Urzędu Miejskiego/.
Wadium zwraca się niezwłocznie (jednak nie później niż przed upływem 3 dni) po zamknięciu, odwołaniu, unieważnieniu lub zakończeniu przetargu wynikiem negatywnym. Wadium wniesione przez uczestnika, który przetarg wygra, zostanie zaliczone na poczet ceny nabycia nieruchomości.
Prezydent Miasta powiadomi osobę ustaloną jako nabywcę nieruchomości o miejscu i terminie zawarcia umowy sprzedaży w pisemnym zawiadomieniu, najpóźniej w ciągu 21 dni od dnia rozstrzygnięcia przetargu. W przypadku nieprzystąpienia nabywcy do zawarcia umowy notarialnej bez usprawiedliwienia tj. niestawienia się w miejscu i terminie wskazanym w zawiadomieniu czy braku wpłaty ceny sprzedaży nieruchomości w kwocie i terminie w nim ujętym (za dochowanie terminu wpłaty uważa się wpływ środków pieniężnych na konto Urzędu Miejskiego), Prezydent Miasta może odstąpić od zawarcia umowy, a wniesione wadium nie podlega zwrotowi.
Cena nabycia przedmiotowej nieruchomości będzie płatna przed podpisaniem umowy notarialnej, nie później niż 3 dni przed terminem zawarcia umowy notarialnej.
Nabycie nieruchomości przez cudzoziemców może nastąpić w przypadku uzyskania zezwolenia Ministra Spraw Wewnętrznych, jeżeli wymagają tego przepisy ustawy z dnia 24.03.1920 r. o nabywaniu nieruchomości przez cudzoziemców. Nabywca zobowiązany jest do ustalenia we własnym zakresie, czy nabycie nieruchomości będącej przedmiotem przetargu wymaga takiego zezwolenia i ponosi z tego tytułu prawną odpowiedzialność.
Prezydent Miasta zastrzega sobie prawo do:
- dokonania zmian w ogłoszeniu o przetargu, w tym zmiany terminu przetargu i terminu wpłaty wadium. Ewentualne zmiany będą wywieszone na tablicy ogłoszeń w Urzędzie Miejskim w Dąbrowie Górniczej, ul. Graniczna 21 i opublikowane na stronie internetowej Urzędu: www.dg.pl (zakładka: Aktualności / Nieruchomości) oraz Biuletynie Informacji Publicznej: www.bip.dg.pl (zakładka: Spisy podmiotowe / Zbycie nieruchomości) – najpóźniej na 7 dni przed terminem przetargu;
- odwołania przetargu z ważnych powodów, podając informację o odwołaniu przetargu
do publicznej wiadomości;
- unieważnienia przetargu bez podania przyczyny.
Przetarg jest ważny bez względu na liczbę jego uczestników, jeżeli przynajmniej jeden uczestnik przetargu zaoferuje co najmniej jedno postąpienie powyżej ceny wywoławczej nieruchomości. O wysokości postąpienia decydują uczestnicy przetargu z tym, że postąpienie w przetargu nie może wynosić mniej niż 1% ceny wywoławczej nieruchomości, z zaokrągleniem w górę do pełnych dziesiątek złotych.
Zastrzega się prawo do ogłoszenia przez Komisję Przetargową przerwy w przetargu celem np. zweryfikowania dodatkowych dokumentów bądź informacji dotyczących przedmiotu przetargu, które wyniknęły po jego otwarciu.
W przypadku odwołania bądź unieważnienia przetargu (w szczególności z przyczyn niezależnych od Prezydenta Miasta) koszty poniesione przez uczestników nie będą zwracane.
Osoby, które spóźnią się na otwarcie przetargu, tj. wejdą na salę po przeczytaniu listy osób dopuszczonych do przetargu, mogą nie zostać dopuszczone przez Komisję Przetargową do udziału w przetargu.
Osoby fizyczne biorące udział w przetargu winny mieć ze sobą dowód osobisty lub paszport, a podmioty prowadzące działalność gospodarczą dodatkowo - aktualny wypis ze stosownego rejestru.
Gmina Dąbrowa Górnicza nie ponosi odpowiedzialności za sieci przebiegające przez nieruchomości będące przedmiotem przetargów, a nieujawnione na istniejących mapach geodezyjnych i dokumentach.
Niezależnie od podanych powyżej informacji, nabywca odpowiada za samodzielne zapoznanie się ze stanem prawnym i faktycznym nieruchomości oraz jej aktualnym sposobem zagospodarowania, jej parametrami oraz możliwością zagospodarowania. Rozpoznanie wszelkich warunków faktycznych i prawnych niezbędnych do realizacji planowanej inwestycji, leży w całości po stronie nabywcy i stanowi obszar jego ryzyka.
Celem ewentualnego zbadania gruntu we własnym zakresie i na własny koszt należy zwrócić się do Wydziału Gospodarki Nieruchomościami Urzędu Miejskiego w Dąbrowie Górniczej o zgodę na wejście w teren.
Wszelkie koszty związane ze sprzedażą nieruchomości (w szczególności: notarialne, sądowe, geodezyjne, m.in. ewentualnego okazania granic/wskazania położenia punktów granicznych), usunięciem z terenu nieruchomości ewentualnych zanieczyszczeń (w tym przedmiotów pozostawionych w budynkach) i innych rzeczy kolidujących z inwestycją (w tym drzew i krzewów) czy dokonanie wyburzeń ponosi nabywca.
Z ewentualnym wnioskiem o wycinkę drzew i krzewów z terenu nieruchomości zobowiązany będzie wystąpić nabywca nieruchomości osobiście.
Sprzedaż nieruchomości nastąpi zgodnie z wypisem z rejestru gruntów oraz wyrysem z mapy ewidencyjnej. Nabywca zobowiązany będzie w notarialnej umowie sprzedaży złożyć oświadczenie, że nie będzie występował z roszczeniami z tytułu ewentualnej niezgodności
w zakresie rodzaju użytków oraz ewentualnej różnicy w powierzchni sprzedawanej nieruchomości, jeżeli po jej sprzedaży, w wyniku pomiarów wykonanych przez uprawnionego geodetę, okaże się, że powierzchnia przedmiotowej nieruchomości jest inna, niż jej oznaczenie we wskazanych wyżej dokumentach.
Sprzedaż nieruchomości nastąpi zgodnie z wydanym przez Wydział Urbanistyki zaświadczeniem o jej przeznaczeniu w miejscowym planie zagospodarowania przestrzennego. Nabywca zobowiązany będzie w notarialnej umowie sprzedaży złożyć oświadczenie, że nie będzie występował z roszczeniami z tytułu ewentualnej niezgodności w zakresie przeznaczenia sprzedawanej nieruchomości w miejscowym planie zagospodarowania przestrzennego, jeżeli po jej sprzedaży, w wyniku prowadzonych w rejonie prac geodezyjnych, okaże się, że granice nieruchomości znajdują się również w obszarze terenu o innym, sąsiednim przeznaczeniu.
Przed otwarciem przetargu:
1. Uczestnik przetargu będzie zobowiązany do złożenia oświadczenia (druk oświadczenia otrzymają Państwo w dniu przetargu):
a. że zapoznał się z treścią pełnego ogłoszenia o przetargu, ze stanem faktycznym i prawnym nieruchomości oraz warunkami przetargu i przyjmuje te warunki bez zastrzeżeń,
b. że zapoznał się ze szczegółowymi warunkami zagospodarowania przedmiotowej nieruchomości (w tym nakazami i zakazami) określonymi w ustaleniach miejscowego planu zagospodarowania przestrzennego obowiązującego dla tego terenu,
c. że przyjmuje do wiadomości, że sprzedaż nieruchomości następuje zgodnie z wypisem z rejestru gruntów oraz wyrysem z mapy ewidencyjnej i zobowiązuje się do złożenia w notarialnej umowie sprzedaży oświadczenia, że nie będzie występować z roszczeniami z tytułu ewentualnej niezgodności w zakresie rodzaju użytków oraz ewentualnej różnicy w powierzchni sprzedawanej nieruchomości, jeżeli po jej sprzedaży, w wyniku pomiarów wykonanych przez uprawnionego geodetę, okaże się, że powierzchnia przedmiotowej nieruchomości jest inna, niż jej oznaczenie we wskazanych wyżej dokumentach,
d. że przyjmuje do wiadomości, że sprzedaż nieruchomości następuje zgodnie z wydanym przez Wydział Urbanistyki zaświadczeniem o jej przeznaczeniu w miejscowym planie zagospodarowania przestrzennego i zobowiązuje się do złożenia w notarialnej umowie sprzedaży oświadczenia, że nie będzie występować z roszczeniami z tytułu ewentualnej niezgodności w zakresie przeznaczenia sprzedawanej nieruchomości w miejscowym planie zagospodarowania przestrzennego, jeżeli po jej sprzedaży, w wyniku prowadzonych w rejonie prac geodezyjnych, okaże się, że granice nieruchomości znajdują się również w obszarze terenu o innym, sąsiednim przeznaczeniu,
e. przyjmuje do wiadomości, że Gmina Dąbrowa Górnicza nie ponosi odpowiedzialności za sieci przebiegające przez w/w nieruchomość, nieujawnione na istniejących mapach geodezyjnych i dokumentach,
f. czy jest cudzoziemcem w rozumieniu ustawy z dnia 24.03.1920 r. o nabywaniu nieruchomości przez cudzoziemców,
g. że na podstawie art. 6 pkt 1 lit a RODO wyraża zgodę na przetwarzanie podanych danych w celu realizacji procedury sprzedaży przedmiotowej nieruchomości,
h. dokonał oględzin zabudowań usytuowanych na nieruchomości będącej przedmiotem przetargu i jest mu znany ich stan faktyczny, i z tego tytułu nie wnosi zastrzeżeń, i nie będzie w przyszłości zgłaszać roszczeń do sprzedającego.
Gdy uczestnikiem przetargu jest osoba pozostająca w związku małżeńskim, zobowiązana będzie złożyć oświadczenie:
co do obowiązującego w małżeństwie ustroju majątkowego, określające majątek (wspólny, osobisty), do którego ma nastąpić nabycie nieruchomości. Jeżeli uczestnik przetargu będący osobą fizyczną, pozostaje w związku małżeńskim, w którym obowiązuje ustrój wspólności majątkowej, wygrywając przetarg zobowiązany będzie do zawarcia notarialnej umowy sprzedaży wspólnie z małżonkiem/ą lub za jego/jej zgodą. W razie braku zgody współmałżonka/i na zawarcie umowy wpłacone wadium nie podlega zwrotowi.
W przypadku, gdy oświadczenie uczestnika przetargu będącego osobą fizyczną, pozostającego w związku małżeńskim, w którym obowiązuje ustrój wspólności majątkowej, o nabyciu nieruchomości do majątku osobistego, okaże się błędne i okoliczność ta wyjdzie na jaw po zamknięciu przetargu i podpisaniu protokołu, do zawarcia notarialnej umowy sprzedaży nie dojdzie, a wadium ulegnie przepadkowi.
Jeżeli uczestnikiem przetargu jest osoba fizyczna, pozostająca w związku małżeńskim, w którym obowiązuje ustrój rozdzielności majątkowej, powinna ona okazać komisji przetargowej wypis aktu notarialnego dokumentującego umowę majątkową małżeńską albo odpis orzeczenia sądowego ustanawiającego rozdzielność majątkową. Dokumenty winny być w oryginałach bądź kopii potwierdzonej za zgodność z oryginałem przez np. notariusza.
4. Uczestnik przetargu będzie zobowiązany do złożenia pisemnej informacji o numerze konta bankowego, na które należy dokonać zwrotu wadium.
5. Cudzoziemiec jest zobowiązany do przedłożenia dokumentów rejestrowych z kraju jego pochodzenia, wraz z uwierzytelnionym tłumaczeniem na język polski.
6. Przedstawiciele osób prawnych, spółek cywilnych, jednostek organizacyjnych, o których mowa w art. 331 §1 ustawy z dnia 23.04.1964 r. Kodeks cywilny, zobowiązani będą złożyć odpowiedni dokument, upoważniający ich do składania oświadczeń woli
w imieniu tych osób /wspólników/, wymaganych do uczestnictwa w przetargu.
W przypadku, gdy uczestnika przetargu będzie reprezentował pełnomocnik, wymagane jest pełnomocnictwo notarialne, w zakresie wymaganym do uczestnictwa w przetargu.
Osoby zainteresowane udziałem w przetargu proszone są o uprzedni kontakt telefoniczny.
Szczegółowe informacje dotyczące przetargu można uzyskać telefonicznie pod numerem telefonu 322pokaż telefon lub 322pokaż telefon oraz w Wydziale Gospodarki Nieruchomościami Urzędu Miejskiego w Dąbrowie Górniczej, 41-300 Dąbrowa Górnicza, ulica Graniczna 21, II piętro, pokój 230 lub 201 – po uprzednim uzgodnieniu terminu pod ww. numerami telefonów.
W tut. Urzędzie obowiązuje Polityka Bezpieczeństwa Informacji wprowadzona Zarządzeniem Prezydenta Miasta Nr 2493.2018 z dnia 24.05.2018r. Szczegółowe informacje odnośnie ochrony danych osobowych, w tym wypełnienie przez Administratora Danych Osobowych obowiązku wynikającego z art. 13 rozporządzenia Parlamentu Europejskiego o ochronie danych osobowych z dnia 27 kwietnia 2016 roku (UE) 2016/679 (RODO) można znaleźć na stronie internetowej Biuletyn Informacji Publicznej – zakładka „Bezpieczeństwo danych osobowych”.
Kontakt: Urząd Miejski w Dąbrowie Górniczej tel: 322pokaż telefon um@dabrskontaktuj się
Numer oferty: 44669/3186/OGS
ogłasza, że w dniu 9.06.2026 r. o godz. 12:00 w Urzędzie Miejskim w Dąbrowie Górniczej przy ul. Granicznej 21, odbędzie się pierwszy przetarg ustny nieograniczony na sprzedaż nieruchomości niezabudowanej, stanowiącej własność Gminy Dąbrowa Górnicza, położonej w Dąbrowie Górniczej przy ul. Starościńskiej, ozn. nr geod. 8570 o pow. 708 m2 (obręb 0019, Dąbrowa Górnicza I).
Według stanu na dzień ogłoszenia przetargu księga wieczysta prowadzona jest dla nieruchomości o łącznej pow. 1,6713 ha, przedmiotowa działka wpisana jest pod numerem 14 (identyfikator 246501_1.0019.8570). Położenie: województwo śląskie, powiat M. Dąbrowa Górnicza, gmina Dąbrowa Górnicza M., miejscowość Dąbrowa Górnicza. Ulica: Starościńska. Sposób korzystania: Bp – zurbanizowane tereny niezabudowane lub w trakcie zabudowy. Działy I-Sp, III i IV księgi wieczystej wolne są od wpisów.
Cena wywoławcza nieruchomości: 335.340,00 zł
Wadium: 67.068,00 zł
Sprzedaż nieruchomości na dzień ogłoszenia przetargu jest zwolniona z podatku VAT na podstawie ustawy z dnia 11.03.2004 r. o podatku od towarów i usług.
W przypadku zmiany przepisów o podatku od towarów i usług stawki zostaną dostosowane do obowiązujących w dacie sprzedaży nieruchomości.
Działka niezabudowana, częściowo ogrodzona, o kształcie regularnym, wydłużonym, zbliżonym do prostokąta. Teren płaski, porośnięty zielenią niską. Przez działkę przebiegają przewody gazowe niskiego ciśnienia oraz napowietrzna sieć wysokiego napięcia wraz ze strefą ochronną. W północno-zachodniej części działki znajduje się przewód elektroenergetyczny podziemny, a wzdłuż zachodniej granicy działki i północno-zachodniej części działki przebiega przewód telekomunikacyjny podziemny. Działka posiada bezpośredni dostęp do drogi publicznej. W pobliżu znajduje się sieć elektroenergetyczna, wodociągowa, kanalizacyjna.
Dysponentom poszczególnych sieci przysługiwać będzie prawo nieodpłatnego i nieograniczonego dostępu do tych sieci w razie wystąpienia awarii lub prowadzenia prac remontowych. Według klasyfikacji użytków zawartej w ewidencji gruntów i budynków działka stanowi zurbanizowane tereny niezabudowane lub w trakcie zabudowy (Bp).
Nieruchomość wolna jest od obciążeń i nie jest przedmiotem żadnych zobowiązań.
Brak obowiązującego miejscowego planu zagospodarowania przestrzennego. Zgodnie z II edycją „Studium uwarunkowań i kierunków zagospodarowania przestrzennego miasta Dąbrowa Górnicza” zatwierdzonego Uchwałą Nr XXIII/374/08 Rady Miejskiej w Dąbrowie Górniczej z dnia 30.01.2008 r., zmienionego Uchwałą Nr XXXIII/706/2017 Rady Miejskiej w Dąbrowie Górniczej z dnia 22.11.2017 r. oraz zmienionego Uchwałą Nr LIX/1018/2023 Rady Miejskiej w Dąbrowie Górniczej z dnia 06.09.2023 r., działka znajduje się na obszarze ozn. symb.: A1MN1 – tereny zabudowy mieszkaniowej jednorodzinnej.
Szczegółowe warunki zagospodarowania przedmiotowej nieruchomości (w tym nakazy i zakazy) są zamieszczone w ustaleniach ww. II edycji „Studium …” wraz ze zmianami, z którymi należy zapoznać się w Wydziale Urbanistyki Urzędu Miejskiego w Dąbrowie Górniczej lub na stronie Biuletynu Informacji Publicznej: www.bip.dg.pl (zakładka: Spisy podmiotowe → Planowanie przestrzenne, zabytki → Dokumenty obowiązujące).
Przetarg zostanie przeprowadzony na podstawie ustawy z dnia 21 sierpnia 1997 r. o gospodarce nieruchomościami oraz przepisów Rozporządzenia Rady Ministrów z dnia 14 września 2004 r. w sprawie sposobu i trybu przeprowadzania przetargów oraz rokowań na zbycie nieruchomości.
Warunkiem uczestnictwa w przetargu jest wniesienie określonej w niniejszym ogłoszeniu kwoty wadium w pieniądzu na konto Urzędu Miejskiego w Dąbrowie Górniczej nr 57 1560 00pokaż telefon w VeloBank S.A. (ze wskazaniem oznaczenia nieruchomości oraz uczestnika przetargu – w przypadku, gdy uczestnikiem jest inny podmiot niż dokonujący wpłaty), w terminie /za datę wniesienia wadium uważa się datę wpływu środków pieniężnych na rachunek Urzędu Miejskiego/.
Wadium zwraca się niezwłocznie (jednak nie później niż przed upływem 3 dni) po zamknięciu, odwołaniu, unieważnieniu lub zakończeniu przetargu wynikiem negatywnym. Wadium wniesione przez uczestnika, który przetarg wygra, zostanie zaliczone na poczet ceny nabycia nieruchomości.
Prezydent Miasta powiadomi osobę ustaloną jako nabywcę nieruchomości o miejscu i terminie zawarcia umowy sprzedaży w pisemnym zawiadomieniu, najpóźniej w ciągu 21 dni od dnia rozstrzygnięcia przetargu. W przypadku nieprzystąpienia nabywcy do zawarcia umowy notarialnej bez usprawiedliwienia tj. niestawienia się w miejscu i terminie wskazanym w zawiadomieniu czy braku wpłaty ceny sprzedaży nieruchomości w kwocie i terminie w nim ujętym (za dochowanie terminu wpłaty uważa się wpływ środków pieniężnych na konto Urzędu Miejskiego), Prezydent Miasta może odstąpić od zawarcia umowy, a wniesione wadium nie podlega zwrotowi.
Cena nabycia przedmiotowej nieruchomości będzie płatna przed podpisaniem umowy notarialnej, nie później niż 3 dni przed terminem zawarcia umowy notarialnej.
Nabycie nieruchomości przez cudzoziemców może nastąpić w przypadku uzyskania zezwolenia Ministra Spraw Wewnętrznych, jeżeli wymagają tego przepisy ustawy z dnia 24.03.1920 r. o nabywaniu nieruchomości przez cudzoziemców. Nabywca zobowiązany jest do ustalenia we własnym zakresie, czy nabycie nieruchomości będącej przedmiotem przetargu wymaga takiego zezwolenia i ponosi z tego tytułu prawną odpowiedzialność.
Prezydent Miasta zastrzega sobie prawo do:
- dokonania zmian w ogłoszeniu o przetargu, w tym zmiany terminu przetargu i terminu wpłaty wadium. Ewentualne zmiany będą wywieszone na tablicy ogłoszeń w Urzędzie Miejskim w Dąbrowie Górniczej, ul. Graniczna 21 i opublikowane na stronie internetowej Urzędu: www.dg.pl (zakładka: Aktualności / Nieruchomości) oraz Biuletynie Informacji Publicznej: www.bip.dg.pl (zakładka: Spisy podmiotowe / Zbycie nieruchomości) – najpóźniej na 7 dni przed terminem przetargu;
- odwołania przetargu z ważnych powodów, podając informację o odwołaniu przetargu
do publicznej wiadomości;
- unieważnienia przetargu bez podania przyczyny.
Przetarg jest ważny bez względu na liczbę jego uczestników, jeżeli przynajmniej jeden uczestnik przetargu zaoferuje co najmniej jedno postąpienie powyżej ceny wywoławczej nieruchomości. O wysokości postąpienia decydują uczestnicy przetargu z tym, że postąpienie w przetargu nie może wynosić mniej niż 1% ceny wywoławczej nieruchomości, z zaokrągleniem w górę do pełnych dziesiątek złotych.
Zastrzega się prawo do ogłoszenia przez Komisję Przetargową przerwy w przetargu celem np. zweryfikowania dodatkowych dokumentów bądź informacji dotyczących przedmiotu przetargu, które wyniknęły po jego otwarciu.
W przypadku odwołania bądź unieważnienia przetargu (w szczególności z przyczyn niezależnych od Prezydenta Miasta) koszty poniesione przez uczestników nie będą zwracane.
Osoby, które spóźnią się na otwarcie przetargu, tj. wejdą na salę po przeczytaniu listy osób dopuszczonych do przetargu, mogą nie zostać dopuszczone przez Komisję Przetargową do udziału w przetargu.
Osoby fizyczne biorące udział w przetargu winny mieć ze sobą dowód osobisty lub paszport, a podmioty prowadzące działalność gospodarczą dodatkowo - aktualny wypis ze stosownego rejestru.
Gmina Dąbrowa Górnicza nie ponosi odpowiedzialności za sieci przebiegające przez nieruchomości będące przedmiotem przetargów, a nieujawnione na istniejących mapach geodezyjnych i dokumentach.
Niezależnie od podanych powyżej informacji, nabywca odpowiada za samodzielne zapoznanie się ze stanem prawnym i faktycznym nieruchomości oraz jej aktualnym sposobem zagospodarowania, jej parametrami oraz możliwością zagospodarowania. Rozpoznanie wszelkich warunków faktycznych i prawnych niezbędnych do realizacji planowanej inwestycji, leży w całości po stronie nabywcy i stanowi obszar jego ryzyka.
Celem ewentualnego zbadania gruntu we własnym zakresie i na własny koszt należy zwrócić się do Wydziału Gospodarki Nieruchomościami Urzędu Miejskiego w Dąbrowie Górniczej o zgodę na wejście w teren.
Wszelkie koszty związane ze sprzedażą nieruchomości (w szczególności: notarialne, sądowe, geodezyjne, m.in. ewentualnego okazania granic/wskazania położenia punktów granicznych), usunięciem z terenu nieruchomości ewentualnych zanieczyszczeń (w tym przedmiotów pozostawionych w budynkach) i innych rzeczy kolidujących z inwestycją (w tym drzew i krzewów) czy dokonanie wyburzeń ponosi nabywca.
Z ewentualnym wnioskiem o wycinkę drzew i krzewów z terenu nieruchomości zobowiązany będzie wystąpić nabywca nieruchomości osobiście.
Sprzedaż nieruchomości nastąpi zgodnie z wypisem z rejestru gruntów oraz wyrysem z mapy ewidencyjnej. Nabywca zobowiązany będzie w notarialnej umowie sprzedaży złożyć oświadczenie, że nie będzie występował z roszczeniami z tytułu ewentualnej niezgodności
w zakresie rodzaju użytków oraz ewentualnej różnicy w powierzchni sprzedawanej nieruchomości, jeżeli po jej sprzedaży, w wyniku pomiarów wykonanych przez uprawnionego geodetę, okaże się, że powierzchnia przedmiotowej nieruchomości jest inna, niż jej oznaczenie we wskazanych wyżej dokumentach.
Sprzedaż nieruchomości nastąpi zgodnie z wydanym przez Wydział Urbanistyki zaświadczeniem o jej przeznaczeniu w miejscowym planie zagospodarowania przestrzennego. Nabywca zobowiązany będzie w notarialnej umowie sprzedaży złożyć oświadczenie, że nie będzie występował z roszczeniami z tytułu ewentualnej niezgodności w zakresie przeznaczenia sprzedawanej nieruchomości w miejscowym planie zagospodarowania przestrzennego, jeżeli po jej sprzedaży, w wyniku prowadzonych w rejonie prac geodezyjnych, okaże się, że granice nieruchomości znajdują się również w obszarze terenu o innym, sąsiednim przeznaczeniu.
Przed otwarciem przetargu:
1. Uczestnik przetargu będzie zobowiązany do złożenia oświadczenia (druk oświadczenia otrzymają Państwo w dniu przetargu):
a. że zapoznał się z treścią pełnego ogłoszenia o przetargu, ze stanem faktycznym i prawnym nieruchomości oraz warunkami przetargu i przyjmuje te warunki bez zastrzeżeń,
b. że zapoznał się ze szczegółowymi warunkami zagospodarowania przedmiotowej nieruchomości (w tym nakazami i zakazami) określonymi w ustaleniach miejscowego planu zagospodarowania przestrzennego obowiązującego dla tego terenu,
c. że przyjmuje do wiadomości, że sprzedaż nieruchomości następuje zgodnie z wypisem z rejestru gruntów oraz wyrysem z mapy ewidencyjnej i zobowiązuje się do złożenia w notarialnej umowie sprzedaży oświadczenia, że nie będzie występować z roszczeniami z tytułu ewentualnej niezgodności w zakresie rodzaju użytków oraz ewentualnej różnicy w powierzchni sprzedawanej nieruchomości, jeżeli po jej sprzedaży, w wyniku pomiarów wykonanych przez uprawnionego geodetę, okaże się, że powierzchnia przedmiotowej nieruchomości jest inna, niż jej oznaczenie we wskazanych wyżej dokumentach,
d. że przyjmuje do wiadomości, że sprzedaż nieruchomości następuje zgodnie z wydanym przez Wydział Urbanistyki zaświadczeniem o jej przeznaczeniu w miejscowym planie zagospodarowania przestrzennego i zobowiązuje się do złożenia w notarialnej umowie sprzedaży oświadczenia, że nie będzie występować z roszczeniami z tytułu ewentualnej niezgodności w zakresie przeznaczenia sprzedawanej nieruchomości w miejscowym planie zagospodarowania przestrzennego, jeżeli po jej sprzedaży, w wyniku prowadzonych w rejonie prac geodezyjnych, okaże się, że granice nieruchomości znajdują się również w obszarze terenu o innym, sąsiednim przeznaczeniu,
e. przyjmuje do wiadomości, że Gmina Dąbrowa Górnicza nie ponosi odpowiedzialności za sieci przebiegające przez w/w nieruchomość, nieujawnione na istniejących mapach geodezyjnych i dokumentach,
f. czy jest cudzoziemcem w rozumieniu ustawy z dnia 24.03.1920 r. o nabywaniu nieruchomości przez cudzoziemców,
g. że na podstawie art. 6 pkt 1 lit a RODO wyraża zgodę na przetwarzanie podanych danych w celu realizacji procedury sprzedaży przedmiotowej nieruchomości,
h. dokonał oględzin zabudowań usytuowanych na nieruchomości będącej przedmiotem przetargu i jest mu znany ich stan faktyczny, i z tego tytułu nie wnosi zastrzeżeń, i nie będzie w przyszłości zgłaszać roszczeń do sprzedającego.
Gdy uczestnikiem przetargu jest osoba pozostająca w związku małżeńskim, zobowiązana będzie złożyć oświadczenie:
W przypadku, gdy oświadczenie uczestnika przetargu będącego osobą fizyczną, pozostającego w związku małżeńskim, w którym obowiązuje ustrój wspólności majątkowej, o nabyciu nieruchomości do majątku osobistego, okaże się błędne i okoliczność ta wyjdzie na jaw po zamknięciu przetargu i podpisaniu protokołu, do zawarcia notarialnej umowy sprzedaży nie dojdzie, a wadium ulegnie przepadkowi.
Jeżeli uczestnikiem przetargu jest osoba fizyczna, pozostająca w związku małżeńskim, w którym obowiązuje ustrój rozdzielności majątkowej, powinna ona okazać komisji przetargowej wypis aktu notarialnego dokumentującego umowę majątkową małżeńską albo odpis orzeczenia sądowego ustanawiającego rozdzielność majątkową. Dokumenty winny być w oryginałach bądź kopii potwierdzonej za zgodność z oryginałem przez np. notariusza.
4. Uczestnik przetargu będzie zobowiązany do złożenia pisemnej informacji o numerze konta bankowego, na które należy dokonać zwrotu wadium.
5. Cudzoziemiec jest zobowiązany do przedłożenia dokumentów rejestrowych z kraju jego pochodzenia, wraz z uwierzytelnionym tłumaczeniem na język polski.
6. Przedstawiciele osób prawnych, spółek cywilnych, jednostek organizacyjnych, o których mowa w art. 331 §1 ustawy z dnia 23.04.1964 r. Kodeks cywilny, zobowiązani będą złożyć odpowiedni dokument, upoważniający ich do składania oświadczeń woli
w imieniu tych osób /wspólników/, wymaganych do uczestnictwa w przetargu.
W przypadku, gdy uczestnika przetargu będzie reprezentował pełnomocnik, wymagane jest pełnomocnictwo notarialne, w zakresie wymaganym do uczestnictwa w przetargu.
Osoby zainteresowane udziałem w przetargu proszone są o uprzedni kontakt telefoniczny.
Szczegółowe informacje dotyczące przetargu można uzyskać telefonicznie pod numerem telefonu 322pokaż telefon lub 322pokaż telefon oraz w Wydziale Gospodarki Nieruchomościami Urzędu Miejskiego w Dąbrowie Górniczej, 41-300 Dąbrowa Górnicza, ulica Graniczna 21, II piętro, pokój 230 lub 201 – po uprzednim uzgodnieniu terminu pod ww. numerami telefonów.
W tut. Urzędzie obowiązuje Polityka Bezpieczeństwa Informacji wprowadzona Zarządzeniem Prezydenta Miasta Nr 2493.2018 z dnia 24.05.2018r. Szczegółowe informacje odnośnie ochrony danych osobowych, w tym wypełnienie przez Administratora Danych Osobowych obowiązku wynikającego z art. 13 rozporządzenia Parlamentu Europejskiego o ochronie danych osobowych z dnia 27 kwietnia 2016 roku (UE) 2016/679 (RODO) można znaleźć na stronie internetowej Biuletyn Informacji Publicznej – zakładka „Bezpieczeństwo danych osobowych”.
Kontakt: Urząd Miejski w Dąbrowie Górniczej tel: 322pokaż telefon um@dabrskontaktuj się
Numer oferty: 44669/3186/OGS
Statystyki ogłoszenia:
Podobne nieruchomości