Działka budowlana 1351 m² w Podgórzu – media w drodze Chełm, Podgórze - 1351,0m2
75 000
zł
55,51 zł/m2
POWIERZCHNIA
1 351 m2
RODZAJ DZIAŁKI
budowlana
DROGA DOJAZDOWA
asfaltowa
Szczegóły oferty GDN384851
- Kategoria Działki i grunty na sprzedaż
- Lokalizacja lubelskie, Chełm, Podgórze
-
Powierzchnia
całkowita 1 351 m2
Sprawdź MPZP
-
Cena
75 000 zł
- Cena za m2 55,51 zł/m2
- Rodzaj działki budowlana
- Rok budowy 1
- Droga dojazdowaasfaltowa
- Ogrodzenie działkibrak
Lokalizacja
Opis oferty
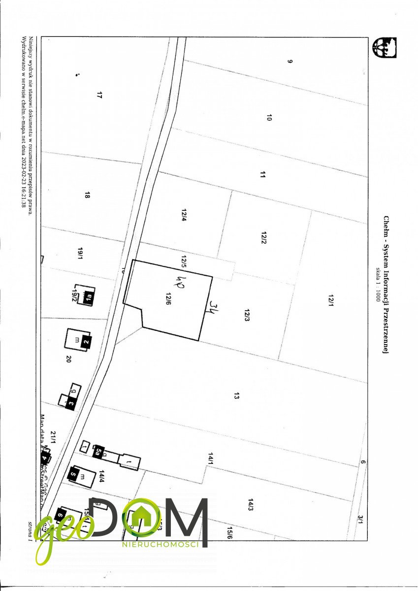
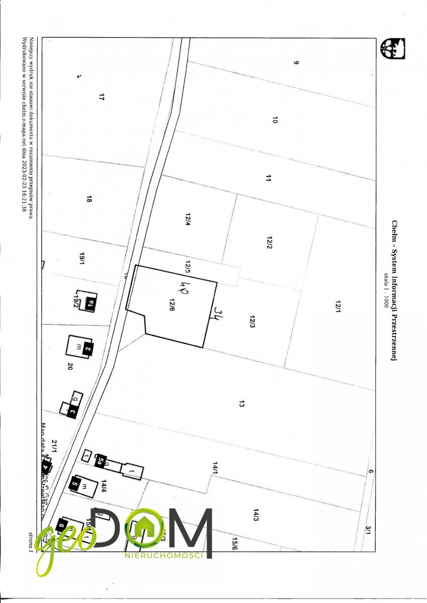
Oferujemy do sprzedaży działkę budowlaną położoną w miejscowości Podgórze, gmina Chełm, oznaczoną w miejscowym planie zagospodarowania przestrzennego symbolem MR - tereny zabudowy zagrodowej.
Powierzchnia działki to 1351 m2 (34x40).
media: woda, prąd - w drodze
droga dojazdowa - asfaltowa
kształt prostokąta o płaskim ukształtowaniu terenu
w sąsiedztwie zabudowa jednorodzinna
usytuowana we wsi Podgórze, 15 minut do Chełma
Przyłącze wodne na działkę oraz wewnętrzną drogę dojazdową wykona w ramach promocji Sprzedający bez dodatkowych opłat.
Zapraszam Państwa na prezentację nieruchomości.
Iwona Maziarz
728pokaż telefon
geoDOM Nieruchomości
ul. Armii Krajowej 9 lok.10
22-100 Chełm
Numer oferty: GDN384851
Osoba odpowiedzialna zawodowo: Iwona Maziarz
Powierzchnia działki to 1351 m2 (34x40).
media: woda, prąd - w drodze
droga dojazdowa - asfaltowa
kształt prostokąta o płaskim ukształtowaniu terenu
w sąsiedztwie zabudowa jednorodzinna
usytuowana we wsi Podgórze, 15 minut do Chełma
Przyłącze wodne na działkę oraz wewnętrzną drogę dojazdową wykona w ramach promocji Sprzedający bez dodatkowych opłat.
Zapraszam Państwa na prezentację nieruchomości.
Iwona Maziarz
728pokaż telefon
geoDOM Nieruchomości
ul. Armii Krajowej 9 lok.10
22-100 Chełm
Numer oferty: GDN384851
Osoba odpowiedzialna zawodowo: Iwona Maziarz
Statystyki ogłoszenia: