Działka pod zabudowę mieszkaniową w Biskupcu, 1961 m² Biskupiec, Złota - 1961,0m2
220 000
zł
112,19 zł/m2
POWIERZCHNIA
1 961 m2
RODZAJ DZIAŁKI
budowlana
DROGA DOJAZDOWA
-
Szczegóły oferty 44320/3186/OGS Data dodania: dzisiaj
- Kategoria Działki i grunty na sprzedaż
- Lokalizacja warmińsko-mazurskie, Biskupiec, Złota
-
Powierzchnia
całkowita 1 961 m2
Sprawdź MPZP
- Powierzchnia działki1 961 m2
-
Cena
220 000 zł
- Cena za m2 112,19 zł/m2
- Rodzaj działki budowlana
- Ogrodzenie działkiinne
Lokalizacja
Opis oferty
Wyciąg z ogłoszenia Burmistrza Biskupca (siedziba: 11-300 Biskupiec, ul. Aleja Niepodległości 2) o drugim przetargu ustnym nieograniczonym na zbycie niezabudowanej nieruchomości gruntowej, stanowiącej własność Gminy Biskupiec.
1.
Oznaczenie nieruchomości wg księgi wieczystej i katastru nieruchomości, powierzchnia nieruchomości.
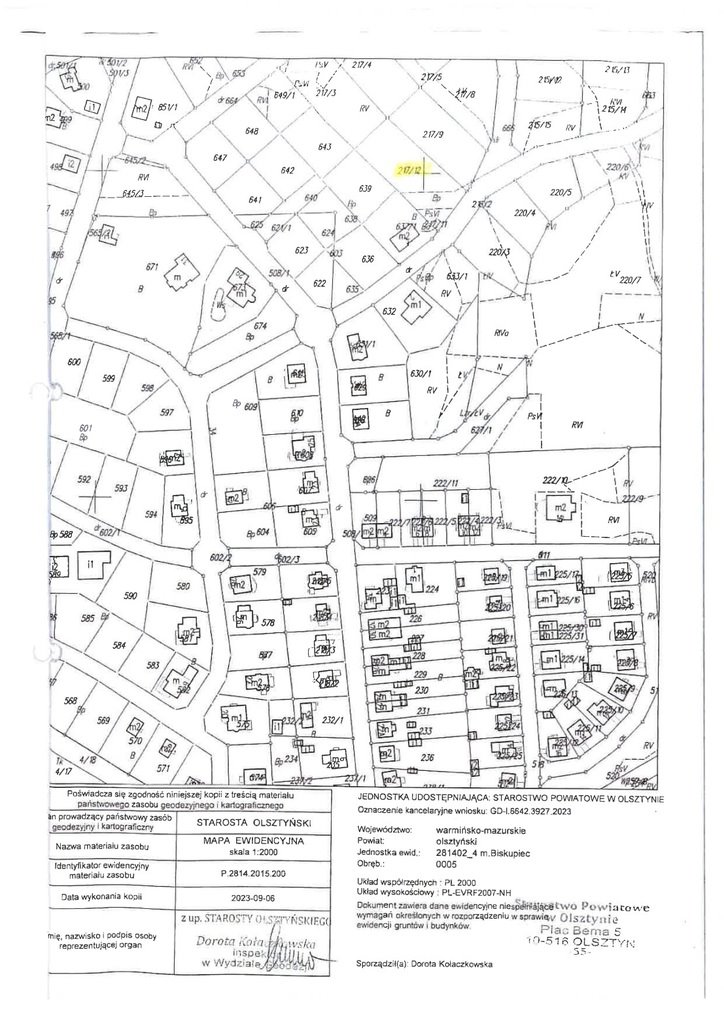
Nieruchomość położona w Biskupcu przy ul. Złotej (obręb miasto Biskupiec 5), dla której prowadzona jest księga wieczysta nr OL1B/000pokaż telefon, oznaczona numerem działki 217/12 o powierzchni 0,1961 ha
2.
Forma zbycia.
Sprzedaż
3.
Przeznaczenie w miejscowym planie zagospodarowania przestrzennego.
Tereny zabudowy mieszkaniowej jednorodzinnej z usługami nieuciążliwymi wbudowanymi w budynki mieszkalne, oznaczone symbolem MNU-1.
3.
Cena wywoławcza.
220 000 zł (słownie: dwieście dwadzieścia tysięcy złotych). Cena zawiera podatek VAT w wysokości 23%.
4.
Termin i miejsce przetargów.
7 maja 2026 roku, godz. 11:00, siedziba Urzędu Miejskiego w Biskupcu; adres: ul. Aleja Niepodległości 2, 11-300 Biskupiec, pokój nr 16 (I piętro, sala konferencyjna)
5.
Wysokość wadium.
44 000 zł (słownie: czterdzieści cztery tysiące złotych).
6.
Miejsce wywieszenia i publikacji ogłoszenia o przetargu.
Tablica ogłoszeń w siedzibie Urzędu Miejskiego w Biskupcu, strona internetowa Urzędu www.biskupiec.pl, Biuletyn Informacji Publicznej www.bip.biskupiec.pl oraz serwis www.monitorurzedowy.pl
7.
Dane teleadresowe, pod którymi
można uzyskać szczegółowe
informacje dotyczące przetargu.
Referat Gospodarki Gruntami Komunalnymi Urzędu: tel.89 7pokaż telefon
Pełny tekst ogłoszenia o przetargu
Burmistrz Biskupca
ogłasza
drugi przetarg ustny nieograniczony
na sprzedaż niezabudowanej nieruchomości gruntowej, stanowiącej własność Gminy Biskupiec, dla której Sąd Rejonowy w Biskupcu prowadzi księgę wieczystą nr OL1B/000pokaż telefon, położonej w Biskupcu (obręb miasto Biskupiec 5), przy ulicy Złotej, oznaczonej numerem działki 217/12 o powierzchni 0,1961 ha (oznaczenie wg użytków: Bp-0,0347 ha, PsVI-0,0134 ha, RV-0,1480 ha).
Cena wywoławcza 220 000 zł
(słownie: dwieście dwadzieścia tysięcy złotych)
Cena wywoławcza nieruchomości zawiera podatek VAT w wysokości 23%. Cena nieruchomości, uzyskana w przetargu, podlega zapłacie przed zawarciem umowy notarialnej (przenoszącej własność nieruchomości). Osoba ustalona na nabywcę nieruchomości ponosi ponadto koszty notarialne i sądowe. Ewentualne wznowienie granic nieruchomości na zlecenie i koszt nabywcy.
Zagospodarowanie nieruchomości – zgodnie z planem zagospodarowania przestrzennego. W miejscowym planie zagospodarowania przestrzennego miasta Biskupiec, zatwierdzonym Uchwałą Nr XXX/211/05 Rady Miejskiej w Biskupcu z dnia 15 czerwca 2005 roku (Dz.Urz. Woj.Warmińsko-Mazurskiego Nr 104 z dnia 11.08.2005r., poz.1404) Szczegółowe informacje dotyczące zapisów planu zagospodarowania przestrzennego oraz obiektów znajdujących się w gminnej ewidencji zabytków można uzyskać w Referacie Budownictwa Urzędu, pod numerami telefonów: 897pokaż telefon i 897pokaż telefon.
Sprzedaż nieruchomości następuje według danych zawartych w ewidencji gruntów i budynków oraz w aktualnym stanie zagospodarowania. W przypadku ewentualnego wznowienia granic, wykonanego na koszt i staraniem nabywcy, sprzedający nie bierze odpowiedzialności za ewentualnie wynikłe różnice. Publiczne dane z zasobu geodezyjnego i kartograficznego, obejmującego powiat olsztyński (Geoportal Powiatu Olsztyńskiego), dostępne są pod adresem internetowym: https://powiatolsztynski.geoportal2.pl (wg tych danych przez fragment działki, przy granicy z działką nr 639, przebiega linia energetyczna - na działce znajduje się słup energetyczny).
Nabywca jest zobowiązany do udostępnienia nieruchomości osobom i jednostkom zobowiązanym do wykonania czynności związanych z eksploatacją sieci nadziemnych i podziemnych oraz urządzeń występujących na gruncie. W przypadku, gdy przebiegające sieci nadziemne i podziemne lub urządzenia występujące na terenie nieruchomości (ujawnione i nie ujawnione na mapie), kolidują z realizacją zamierzonej inwestycji, nabywca będzie zobowiązany do ich przełożenia własnym kosztem i staraniem, w uzgodnieniu z jednostkami branżowymi i właścicielem sieci. Ponadto, nabywca przejmuje obowiązek usunięcia z nieruchomości ewentualnych użytkowników bezumownych.
Dla przedmiotowej nieruchomości nie przeprowadzono badań geotechnicznych podłoża gruntowego. Sprzedający nie ponosi odpowiedzialności za złożone warunki geotechniczne gruntu.
W księdze wieczystej nr OL1B/000pokaż telefon, prowadzonej między innymi dla działki nr 217/12, są wpisane służebności przesyłu, które nie są na niej wykonywane, na rzecz Polskiej Spółki Gazownictwa Sp. z o.o. z siedzibą w Warszawie i Energa - Operator S.A. z siedzibą w Gdańsku (przedmiot wykonywania, działki nr: 658, 481/1, 481/2, 215/1, 659/1). Nieruchomość nie jest przedmiotem innych obciążeń i zobowiązań na rzecz osób trzecich.
Przetarg odbędzie się w dniu 7 maja 2026 roku o godz. 11:00 w Urzędzie Miejskim w Biskupcu przy ul. Aleja Niepodległości 2 (sala konferencyjna, I piętro, pok.16).
W przetargu mogą brać udział osoby, które w terminie do dnia 30 kwietnia 2026 roku, wpłacą na rachunek bankowy Urzędu Miejskiego w Biskupcu Nr 45 1020 35pokaż telefon PKO Bank Polski S.A. wymagane wadium (w pieniądzu) w wysokości 44 000 zł (słownie: czterdzieści cztery tysiące złotych). Wadium powinno być wniesione z takim wyprzedzeniem, aby środki pieniężne znalazły się na rachunku bankowym Urzędu Miejskiego w Biskupcu najpóźniej w dniu 30 kwietnia 2026 roku – pod rygorem uznania, że warunek wpłaty wadium nie został spełniony.
Uczestnicy przetargu są zobowiązani przedstawić, na żądanie komisji przetargowej:
- aktualny dokument potwierdzający tożsamość,
- aktualny odpis z właściwego rejestru, jeżeli uczestnikiem jest osoba prawna,
- oryginał potwierdzenia wniesienia wadium.
Pełnomocnicy uczestników przetargu winni okazać komisji przetargowej stosowne pełnomocnictwo, z podpisem mocodawcy poświadczonym notarialnie.
O wysokości postąpienia decydują uczestnicy przetargu, z tym, że postąpienie nie może wynosić mniej niż 1% ceny wywoławczej z zaokrągleniem w górę do pełnych dziesiątek złotych. Jeżeli żaden z uczestników przetargu nie zaoferuje postąpienia ponad cenę wywoławczą, wówczas przetarg zakończy się wynikiem negatywnym.
Uczestnikowi przetargu, który przetarg wygra, wpłacone wadium zostanie zaliczone na poczet ceny nabycia nieruchomości. Uczestnikom przetargu, którzy go nie wygrają, wadium zostanie zwrócone niezwłocznie po zamknięciu lub odwołaniu przetargu, jednak nie później niż przed upływem 3 dni od dnia, odpowiednio: odwołania przetargu, zamknięcia przetargu, unieważnienia lub zakończenia przetargu wynikiem negatywnym.
Nabywca nieruchomości zostanie zawiadomiony o terminie i miejscu zawarcia umowy sprzedaży w ciągu 21 dni od dnia rozstrzygnięcia przetargu. Jeżeli osoba ustalona jako nabywca nieruchomości nie przystąpi bez usprawiedliwienia do zawarcia umowy w miejscu i terminie podanym w zawiadomieniu, organizator przetargu może odstąpić od zawarcia umowy, a wpłacone wadium nie podlega zwrotowi.
Zastrzega się prawo odwołania przetargu z uzasadnionej przyczyny.
Przetarg przeprowadzony zostanie w oparciu o przepisy rozporządzenia Rady Ministrów z dnia 14 września 2004r. w sprawie sposobu i trybu przeprowadzania przetargów oraz rokowań na zbycie nieruchomości (j.t. Dz.U. z 2021 r., poz. 2213). Termin przeprowadzenia pierwszego przetargu: 20.01.2026 r. Dodatkowe informacje sprawie procedury przetargowej można uzyskać w Referacie Gospodarki Gruntami Komunalnymi Urzędu (pok.32, tel. 897pokaż telefon).
Kontakt: Urząd Miasta Biskupiec tel: 89 7pokaż telefon ratuszskontaktuj się
Numer oferty: 44320/3186/OGS
1.
Oznaczenie nieruchomości wg księgi wieczystej i katastru nieruchomości, powierzchnia nieruchomości.
Nieruchomość położona w Biskupcu przy ul. Złotej (obręb miasto Biskupiec 5), dla której prowadzona jest księga wieczysta nr OL1B/000pokaż telefon, oznaczona numerem działki 217/12 o powierzchni 0,1961 ha
2.
Forma zbycia.
Sprzedaż
3.
Przeznaczenie w miejscowym planie zagospodarowania przestrzennego.
Tereny zabudowy mieszkaniowej jednorodzinnej z usługami nieuciążliwymi wbudowanymi w budynki mieszkalne, oznaczone symbolem MNU-1.
3.
Cena wywoławcza.
220 000 zł (słownie: dwieście dwadzieścia tysięcy złotych). Cena zawiera podatek VAT w wysokości 23%.
4.
Termin i miejsce przetargów.
7 maja 2026 roku, godz. 11:00, siedziba Urzędu Miejskiego w Biskupcu; adres: ul. Aleja Niepodległości 2, 11-300 Biskupiec, pokój nr 16 (I piętro, sala konferencyjna)
5.
Wysokość wadium.
44 000 zł (słownie: czterdzieści cztery tysiące złotych).
6.
Miejsce wywieszenia i publikacji ogłoszenia o przetargu.
Tablica ogłoszeń w siedzibie Urzędu Miejskiego w Biskupcu, strona internetowa Urzędu www.biskupiec.pl, Biuletyn Informacji Publicznej www.bip.biskupiec.pl oraz serwis www.monitorurzedowy.pl
7.
Dane teleadresowe, pod którymi
można uzyskać szczegółowe
informacje dotyczące przetargu.
Referat Gospodarki Gruntami Komunalnymi Urzędu: tel.89 7pokaż telefon
Pełny tekst ogłoszenia o przetargu
Burmistrz Biskupca
ogłasza
drugi przetarg ustny nieograniczony
na sprzedaż niezabudowanej nieruchomości gruntowej, stanowiącej własność Gminy Biskupiec, dla której Sąd Rejonowy w Biskupcu prowadzi księgę wieczystą nr OL1B/000pokaż telefon, położonej w Biskupcu (obręb miasto Biskupiec 5), przy ulicy Złotej, oznaczonej numerem działki 217/12 o powierzchni 0,1961 ha (oznaczenie wg użytków: Bp-0,0347 ha, PsVI-0,0134 ha, RV-0,1480 ha).
Cena wywoławcza 220 000 zł
(słownie: dwieście dwadzieścia tysięcy złotych)
Cena wywoławcza nieruchomości zawiera podatek VAT w wysokości 23%. Cena nieruchomości, uzyskana w przetargu, podlega zapłacie przed zawarciem umowy notarialnej (przenoszącej własność nieruchomości). Osoba ustalona na nabywcę nieruchomości ponosi ponadto koszty notarialne i sądowe. Ewentualne wznowienie granic nieruchomości na zlecenie i koszt nabywcy.
Zagospodarowanie nieruchomości – zgodnie z planem zagospodarowania przestrzennego. W miejscowym planie zagospodarowania przestrzennego miasta Biskupiec, zatwierdzonym Uchwałą Nr XXX/211/05 Rady Miejskiej w Biskupcu z dnia 15 czerwca 2005 roku (Dz.Urz. Woj.Warmińsko-Mazurskiego Nr 104 z dnia 11.08.2005r., poz.1404) Szczegółowe informacje dotyczące zapisów planu zagospodarowania przestrzennego oraz obiektów znajdujących się w gminnej ewidencji zabytków można uzyskać w Referacie Budownictwa Urzędu, pod numerami telefonów: 897pokaż telefon i 897pokaż telefon.
Sprzedaż nieruchomości następuje według danych zawartych w ewidencji gruntów i budynków oraz w aktualnym stanie zagospodarowania. W przypadku ewentualnego wznowienia granic, wykonanego na koszt i staraniem nabywcy, sprzedający nie bierze odpowiedzialności za ewentualnie wynikłe różnice. Publiczne dane z zasobu geodezyjnego i kartograficznego, obejmującego powiat olsztyński (Geoportal Powiatu Olsztyńskiego), dostępne są pod adresem internetowym: https://powiatolsztynski.geoportal2.pl (wg tych danych przez fragment działki, przy granicy z działką nr 639, przebiega linia energetyczna - na działce znajduje się słup energetyczny).
Nabywca jest zobowiązany do udostępnienia nieruchomości osobom i jednostkom zobowiązanym do wykonania czynności związanych z eksploatacją sieci nadziemnych i podziemnych oraz urządzeń występujących na gruncie. W przypadku, gdy przebiegające sieci nadziemne i podziemne lub urządzenia występujące na terenie nieruchomości (ujawnione i nie ujawnione na mapie), kolidują z realizacją zamierzonej inwestycji, nabywca będzie zobowiązany do ich przełożenia własnym kosztem i staraniem, w uzgodnieniu z jednostkami branżowymi i właścicielem sieci. Ponadto, nabywca przejmuje obowiązek usunięcia z nieruchomości ewentualnych użytkowników bezumownych.
Dla przedmiotowej nieruchomości nie przeprowadzono badań geotechnicznych podłoża gruntowego. Sprzedający nie ponosi odpowiedzialności za złożone warunki geotechniczne gruntu.
W księdze wieczystej nr OL1B/000pokaż telefon, prowadzonej między innymi dla działki nr 217/12, są wpisane służebności przesyłu, które nie są na niej wykonywane, na rzecz Polskiej Spółki Gazownictwa Sp. z o.o. z siedzibą w Warszawie i Energa - Operator S.A. z siedzibą w Gdańsku (przedmiot wykonywania, działki nr: 658, 481/1, 481/2, 215/1, 659/1). Nieruchomość nie jest przedmiotem innych obciążeń i zobowiązań na rzecz osób trzecich.
Przetarg odbędzie się w dniu 7 maja 2026 roku o godz. 11:00 w Urzędzie Miejskim w Biskupcu przy ul. Aleja Niepodległości 2 (sala konferencyjna, I piętro, pok.16).
W przetargu mogą brać udział osoby, które w terminie do dnia 30 kwietnia 2026 roku, wpłacą na rachunek bankowy Urzędu Miejskiego w Biskupcu Nr 45 1020 35pokaż telefon PKO Bank Polski S.A. wymagane wadium (w pieniądzu) w wysokości 44 000 zł (słownie: czterdzieści cztery tysiące złotych). Wadium powinno być wniesione z takim wyprzedzeniem, aby środki pieniężne znalazły się na rachunku bankowym Urzędu Miejskiego w Biskupcu najpóźniej w dniu 30 kwietnia 2026 roku – pod rygorem uznania, że warunek wpłaty wadium nie został spełniony.
Uczestnicy przetargu są zobowiązani przedstawić, na żądanie komisji przetargowej:
- aktualny dokument potwierdzający tożsamość,
- aktualny odpis z właściwego rejestru, jeżeli uczestnikiem jest osoba prawna,
- oryginał potwierdzenia wniesienia wadium.
Pełnomocnicy uczestników przetargu winni okazać komisji przetargowej stosowne pełnomocnictwo, z podpisem mocodawcy poświadczonym notarialnie.
O wysokości postąpienia decydują uczestnicy przetargu, z tym, że postąpienie nie może wynosić mniej niż 1% ceny wywoławczej z zaokrągleniem w górę do pełnych dziesiątek złotych. Jeżeli żaden z uczestników przetargu nie zaoferuje postąpienia ponad cenę wywoławczą, wówczas przetarg zakończy się wynikiem negatywnym.
Uczestnikowi przetargu, który przetarg wygra, wpłacone wadium zostanie zaliczone na poczet ceny nabycia nieruchomości. Uczestnikom przetargu, którzy go nie wygrają, wadium zostanie zwrócone niezwłocznie po zamknięciu lub odwołaniu przetargu, jednak nie później niż przed upływem 3 dni od dnia, odpowiednio: odwołania przetargu, zamknięcia przetargu, unieważnienia lub zakończenia przetargu wynikiem negatywnym.
Nabywca nieruchomości zostanie zawiadomiony o terminie i miejscu zawarcia umowy sprzedaży w ciągu 21 dni od dnia rozstrzygnięcia przetargu. Jeżeli osoba ustalona jako nabywca nieruchomości nie przystąpi bez usprawiedliwienia do zawarcia umowy w miejscu i terminie podanym w zawiadomieniu, organizator przetargu może odstąpić od zawarcia umowy, a wpłacone wadium nie podlega zwrotowi.
Zastrzega się prawo odwołania przetargu z uzasadnionej przyczyny.
Przetarg przeprowadzony zostanie w oparciu o przepisy rozporządzenia Rady Ministrów z dnia 14 września 2004r. w sprawie sposobu i trybu przeprowadzania przetargów oraz rokowań na zbycie nieruchomości (j.t. Dz.U. z 2021 r., poz. 2213). Termin przeprowadzenia pierwszego przetargu: 20.01.2026 r. Dodatkowe informacje sprawie procedury przetargowej można uzyskać w Referacie Gospodarki Gruntami Komunalnymi Urzędu (pok.32, tel. 897pokaż telefon).
Kontakt: Urząd Miasta Biskupiec tel: 89 7pokaż telefon ratuszskontaktuj się
Numer oferty: 44320/3186/OGS
Statystyki ogłoszenia:
Podobne nieruchomości