To ogłoszenie jest już nieaktualne

To ogłoszenie jest już nieaktualne.

Ogłoszenia archiwalne prezentujemy w celu budowania wartościowej bazy średnich cen nieruchomości.

Zobacz aktualne ogłoszenia z lokalizacji: kujawsko-pomorskie

Lokal użytkowy na sprzedaż ,

6393 m2
1 990 000 PLN 311 zł/m2
Opis


    WYCIĄG Z OGŁOSZENIA O TRZECIM PRZETARGU USTNYM NIEOGRANICZONYM   

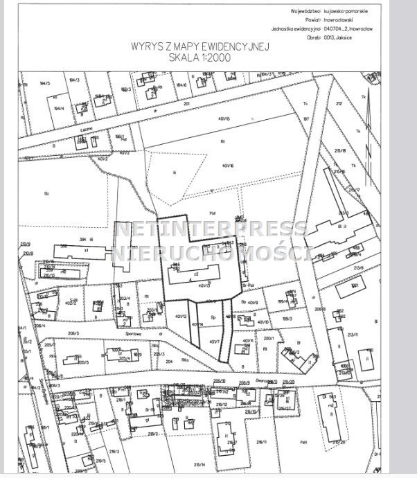
  Zarząd Powiatu Inowrocławskiego ogłasza trzeci przetarg ustny nieograniczony na sprzedaż  nieruchomości położonych w Jaksicach, gmina Inowrocław, oznaczonych geodezyjnie jako działki: 

  - nr 401/13 o pow. 0,6393 ha (nieruchomość zabudowana budynkiem byłego ośrodka wychowawczo-opiekuńczego oraz budynkiem gospodarczym), zapisana w księdze wieczystej nr BY1I/00000891/6, 

  - nr 401/14 o pow. 0,0432 ha (dojście do działki nr 401/13), zapisana w księdze wieczystej nr BY1I/00000891/6, 

  - udział 3/8 części w działce nr 401/8 o pow. 0,0683 ha (droga dojazdowa), zapisana w księdze wieczystej nr BY1I/00078948/8. 

  Nieruchomości te były przedmiotem przetargów ustnych nieograniczonych przeprowadzonych 17 kwietnia 2025 r. oraz 30 września 2025 r., które zakończyły się wynikiem negatywnym.   

  W budynku znajduje się lokal mieszkalny zajmowany przez osobę fizyczną na podstawie umowy najmu zawartej na czas nieokreślony z Powiatem Inowrocławskim.   

  W dziale I księgi wieczystej nr BY1I/00000891/6 oraz księgi wieczystej nr BY1I/00078948/8 wpisane jest uprawnienie wynikające z prawa ujawnionego w dziale III innej księgi wieczystej o treści: ,,każdoczesnemu właścicielowi nieruchomości zapisanej w niniejszej księdze wieczystej przysługuje nieodpłatna i na czas nieoznaczony - do czasu pobudowania kanalizacji wiejskiej - służebność gruntowa polegająca na prawie odprowadzania przez działkę 401/3 zapisaną w księdze wieczystej BY1I/00074282/3 oczyszczonych ścieków z działki nr 401/4’’. 

  Dla nieruchomości położonych w Jaksicach, oznaczonych geodezyjnie jako działki o numerach: 401/13, 401/14 i 401/8 brak jest miejscowego planu zagospodarowania przestrzennego. Zgodnie ze Studium uwarunkowań i kierunków zagospodarowania przestrzennego gminy Inowrocław przyjętego uchwałą nr XVI/143/2016 Rady Gminy Inowrocław z dnia 6 maja 2016 r. przedmiotowe działki znajdują się w obszarze o dużej intensywności zabudowy, w strefie ,,B’’ ochrony konserwatorskiej oraz w strefie ,,W’’ ochrony archeologicznej. W ewidencji gruntów i budynków działka nr 401/13 oznaczona jest jako ,,Bi’’ inne tereny zabudowane, działka nr 401/14 oznaczona jest jako ,,Bp’’ - zurbanizowane tereny niezabudowane lub w trakcie zabudowy, natomiast działka nr 401/8 oznaczona jest jako ,,dr” - droga. 

  Cena wywoławcza nieruchomości określona została na kwotę 1 990 000,00 zł brutto (słownie: jeden milion dziewięćset dziewięćdziesiąt tysięcy złotych 00/100); wadium zaś wynosi 199 000,00 zł (słownie: sto dziewięćdziesiąt dziewięć tysięcy złotych 00/100). Sprzedaż działki nr 401/13 jest zwolniona od podatku od towarów i usług na podstawie art. 43 ust. 1 pkt 10 ustawy z dnia 11 marca 2004 r. o podatku od towarów i usług (Dz. U. z 2024 r. poz. 361, ze zm.). Natomiast w stosunku do działek o numerach: 401/14 i 401/8 sprzedaż jest zwolniona od podatku od towarów i usług na podstawie art. 43 ust. 1 pkt 9 ustawy z dnia 11 marca 2004 r. o podatku od towarów i usług.   

  Przetarg odbędzie się 20 lutego 2026 r. o godz.          9    00      w Starostwie Powiatowym w Inowrocławiu przy alei Ratuszowej 38 w sali nr 117. Wadium w wysokości 199 000,00 zł należy wpłacić do 13 lutego 2026 r. na konto Starostwa Powiatowego w Inowrocławiu prowadzone przez Bank Spółdzielczy w Inowrocławiu nr 72 8149 0000 0022 6022 2000 0004. Za datę wpłaty wadium uznaje się datę wpływu na konto. 

  Pełna treść ogłoszenia o trzecim przetargu ustnym nieograniczonym została wywieszona na tablicy ogłoszeń Starostwa Powiatowego w Inowrocławiu przy alei Ratuszowej 38 oraz przy ulicy Mątewskiej 17 a także zamieszczona na stronie internetowej Powiatu Inowrocławskiego (    www.inowroclaw.powiat.pl    ) i w Biuletynie Informacji Publicznej Powiatu Inowrocławskiego (    www.bip.inowroclaw.powiat.pl    ). Szczegółowe informacje dotyczące trzeciego przetargu ustnego nieograniczonego na sprzedaż  nieruchomości można uzyskać telefonicznie pod numerem: 52 35 92 132 lub osobiście w Wydziale Geodezji, Kartografii, Katastru i Gospodarki Nieruchomościami Starostwa Powiatowego w Inowrocławiu przy alei Ratuszowej 38 w pokoju nr 117A. 


Oferta wysłana z systemu Galactica Virgo


Więcej
Lokal użytkowy:
na sprzedaż
Powierzchnia całkowita:
6 393 m2
Lokalizacja:
województwo: kujawsko-pomorskie powiat: inowrocławski gmina: Inowrocław miejscowość: Jaksice

Podobne oferty w tej lokalizacji