Lokal użytkowy na sprzedaż Stalowa Wola, Prymasa Stefana Wyszyńskiego - 1858,0m2
POWIERZCHNIA
1858,00 m2
PRZEZNACZENIE
handel
PIĘTRO
-
Szczegóły oferty 10371/3186/OOS Data dodania: dzisiaj
- Kategoria Lokale użytkowe na sprzedaż
- Lokalizacja podkarpackie, Stalowa Wola, Prymasa Stefana Wyszyńskiego
- Powierzchnia całkowita1 858 m2
- Powierzchnia działki6 643 m2
-
Cena
12 000 000 zł
- Cena za m2 6 458,56 zł/m2
- Przeznaczenie handel, usługi
Lokalizacja
Opis oferty
OGŁOSZENIE O PRZETARGU
MGL.6840.36.2025.EB
PREZYDENT MIASTA STALOWEJ WOLI
na podstawie:
1) art. 38 ustawy z dnia 21 sierpnia 1997 r. o gospodarce nieruchomościami ( Dz. U. z 2024 r. poz. 1145 ze zm.),
2) § 3, § 6 i § 13 rozporządzenia Rady Ministrów z dnia 14 września 2004 r. w sprawie sposobu i trybu przeprowadzania przetargów oraz rokowań na zbycie nieruchomości ( Dz. U. z 2021 poz. 2213),
3) Uchwały Rady Miejskiej w Stalowej Woli NR XVIII/236/2025 z dnia 18 czerwca 2025 r. w sprawie wyrażenia zgody na sprzedaż prawa użytkowania wieczystego nieruchomości gruntowej wraz z prawem własności posadowionych na tej działce dwóch budynków stanowiących odrębne nieruchomości i obniżenie bonifikaty od ceny sprzedaży
4) Zarządzenia Prezydenta Miasta Stalowej Woli Nr 231/2025 z dnia 04 lipca 2025 roku w sprawie ogłoszenia wykazu nieruchomości przeznaczonej do sprzedaży w drodze przetargu ustnego nieograniczonego
5) Decyzji Podkarpackiego Wojewódzkiego Konserwatora Zabytków Nr 210/25 z dnia 12 czerwca 2025 r. zezwalającej Gminie Stalowa Wola na zbycie w trybie przetargu nieograniczonego prawa użytkowania wieczystego nieruchomości gruntowej oraz prawa własności posadowionego na tej działce budynku Domu Gościnnego Dyrekcji Zakładów Przemysłowych (hotel i restauracja „Hutnik”), który wpisany jest do rejestru zabytków województwa podkarpackiego pod poz. A -199.
ogłasza drugi przetarg ustny nieograniczony na sprzedaż prawa użytkowania wieczystego nieruchomości gruntowej wraz z prawem własności budynków stanowiących odrębne nieruchomości
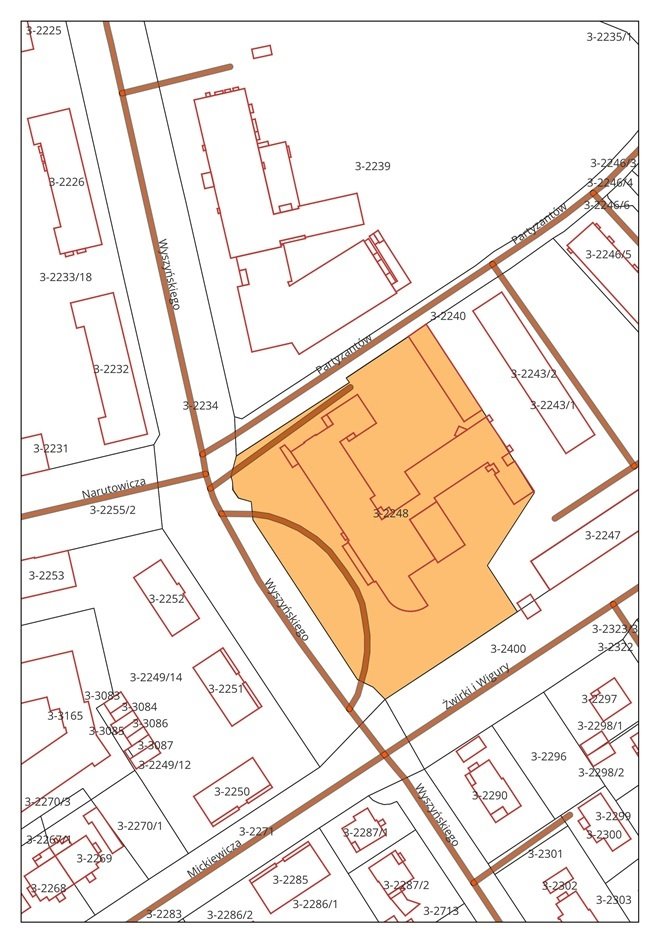
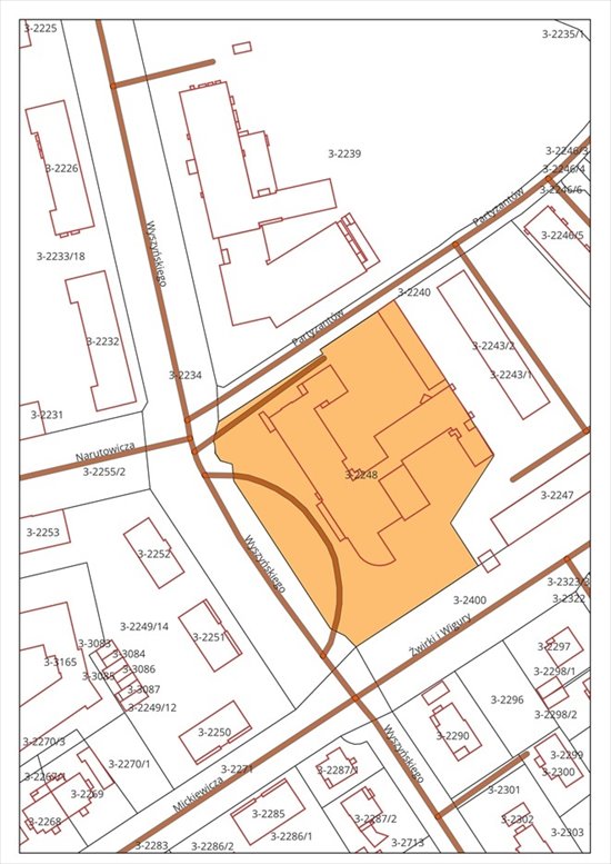
Nieruchomość zabudowana, położona w Stalowej Woli przy ul. Prymasa Wyszyńskiego 12, w obrębie 0003 Centrum oznaczona w ewidencji gruntów jako działka nr 2248 o pow. 0,6643 ha, dla której Sąd Rejonowy w Stalowej Woli prowadzi księgę wieczystą o numerze TB1S/000pokaż telefon.
Nieruchomość jest własnością Skarbu Państwa, a użytkownikiem wieczystym Gmina Stalowa Wola. Prawo użytkowania wieczystego dla przedmiotowej nieruchomości ustanowiono do dnia 18 listopada 2090 r.
Nieruchomość zabudowana jest:
1) 3-kondygnacyjnym budynkiem hotelu (dawny hotel i restauracja „Hutnik”) o pow. zabudowy 1635 m2, wpisany do rejestru zabytków województwa podkarpackiego pod numerem rejestru A -199
2) jednokondygnacyjnym budynkiem garaży w zabudowie szeregowej o pow. zabudowy 223 m2.
W dziale III księgi wieczystej TB1S/000pokaż telefon znajduje się wpis ograniczonego prawa rzeczowego; „Uwidacznia się, iż budynek ujawniony na działce nr ewid. 2248, tj. Dom Gościnny Dyrekcji Zakładów Przemysłowych, obecnie hotel i restauracja Hutnik w Stalowej Woli przy ul. Prymasa Stefana Wyszyńskiego 12, na mocy decyzji w sprawie wpisania dobra kultury do rejestru zabytków nr UOZ-4-41pokaż telefon z dnia 2007-03-23 wpisany został do rejestru zabytków nieruchomych województwa podkarpackiego pod numer rejestru A -199”.
Dział IV księgi wieczystej TB1S/000pokaż telefon jest wolny od wpisów.
Zgodnie z obowiązującym miejscowym planem zagospodarowania przestrzennego osiedla Śródmieście w Stalowej Woli zatw. Uchwałą Nr VII/72/07 z dnia 30.03.2007 ze zm. (Dz. Urz. Woj. Podkarpackiego nr 41 poz. 1105 z dnia 23 maja 2007 r.) przedmiotowa działka położona jest w obszarze oznaczonym symbolem 5U(c) – teren zabudowy usługowej – usług komercyjnych i w niewielkiej części w obszarze oznaczonym symbolem KD(L) – tereny dróg publicznych - lokalnych.
Zgodnie z § 8 ww. planu miejscowego przedmiotowy budynek ze względu na charakter tradycyjnej zabudowy objęty jest ochroną w zakresie krajobrazu kulturowego, dziedzictwa kulturowego i zabytków oraz dóbr kultury współczesnej.
Nieruchomość - działka nr 2248 obr. 0003 Centrum zlokalizowana jest bezpośrednio przy skrzyżowaniu ulic Prymasa Stefana Wyszyńskiego, Partyzantów oraz Żwirki i Wigury, w terenie intensywnej zabudowy mieszkaniowej oraz obiektów użyteczności publicznej – szkoła podstawowa, szpital powiatowy, obiekty handlowo-usługowe.
Działka jest częściowo ogrodzona i wyłożona trylinką. Posiada bezpośredni dostęp do pełnej sieci infrastruktury technicznej: energetycznej, telekomunikacyjnej, gazowej, kanalizacyjnej, wodociągowej i ciepłowniczej. Budynki znajdujące się na działce posiadają niezbędne instalacje.
Nieruchomość gruntowa zabudowana budynkiem hotelu „Hutnik” jest przedmiotem dzierżawy przez Stalowowolską Agencją Rozwoju Regionalnego Sp. z o.o. Umowa została zawarta na czas określony do dnia 30 maja 2026 r. (umowa dzierżawy do wglądu w Wydziale Mienia Gminnego i Gospodarki Lokalami Urzędu Miasta).
Budynek hotelu wymaga generalnego remontu. Nabywca nieruchomości winien dostosować go do prowadzonej działalności gospodarczej. Gmina Stalowa Wola posiada wiedzę o wydanych decyzjach Państwowego Powiatowego Inspektora Sanitarnego w Stalowej Woli i Komendanta Powiatowego Państwowej Straży Pożarnej w Stalowej Woli dotyczących wykonania remontów (treść decyzji do wglądu w Wydziale Mienia Gminnego i Gospodarki Lokalami Urzędu Miasta).
Cena wywoławcza nieruchomości: 12 000 000,00 zł (słownie: dwanaście milionów złotych)
w tym:
cena prawa użytkowania wieczystego działki wynosi 2 386 350,00 zł,
cena budynku hotelu wpisanego do rejestru zabytków wynosi 9 360 440,00 zł,
cena budynku garaży wynosi 253 210,00 zł
Kwota osiągnięta w przetargu zostanie powiększona o podatek VAT w wysokości 23%.
Cena sprzedaży nieruchomości wpisanej do rejestru zabytków może być obniżona na wniosek Nabywcy o 1%, zgodnie z ww. Uchwałą Rady Miejskiej.
Wadium 1 200 000,00 zł (słownie: jeden milion dwieście tysięcy złotych).
Minimalna wysokość postąpienia: 120 000,00 zł (słownie: sto dwadzieścia tysięcy złotych).
Wysokość stawki procentowej opłaty z tytułu wieczystego użytkowania dla przedmiotowej nieruchomości wynosi 3%.
Wysokość opłaty rocznej z tytułu wieczystego użytkowania działki 2248 wynosi 29 913,43 zł i została ustalona przez Starostę Stalowowolskiego w dniu 11 grudnia 2014 r.
Opłata płatna jest z góry, bez odrębnego wezwania do dnia 31 marca każdego roku na konto Starostwa Powiatowego w Stalowej Woli.
Aktualizację opłat z tytułu użytkowania wieczystego przeprowadza się na zasadzie przepisów art. 77 do art. 81 ustawy z dnia 21 sierpnia 1997 r. o gospodarce nieruchomościami (Dz. U. z 2024 r. poz. 1145 ze zm.)
Sposób zagospodarowania ww. nieruchomości określa miejscowy plan zagospodarowania przestrzennego osiedla Śródmieście w Stalowej Woli. Wersja elektroniczna ww. planu dostępna jest na stronie internetowej Urzędu Miasta Stalowej Woli: https://bip.stalowawola.pl zakładka „Zagospodarowanie przestrzenne”.
Zgodnie z Uchwałą Nr LXV/845/2023 Rady Miejskiej w Stalowej Woli dnia 12 maja 2023 roku w sprawie wyznaczenia obszaru zdegradowanego i obszaru rewitalizacji Miasta Stalowej Woli (Dz. U. Woj. Podkarpackiego z 2023 r. poz. 2865) działka ewidencyjna nr 2248 obr. 0003 Centrum znajduje się na obszarze rewitalizacji –Podobszar I-Lasowiaków, Śródmieście oraz Fabryczne.
W przedmiotowej uchwale nie ustanowiono na rzecz Gminy Stalowa Wola prawa pierwokupu nieruchomości położonej na obszarze rewitalizacji.
Na terenie miasta Stalowej Woli nie została wyznaczona Specjalna Strefa Rewitalizacji.
Przetarg na sprzedaż nieruchomości odbędzie się w siedzibie Urzędu Miasta w Stalowej Woli ul. Wolności 7, sala nr 17, dnia 23 lutego 2026 roku o godz. 11:00
Warunkiem udziału w przetargu jest wniesienie wadium zgodnie z treścią niniejszego ogłoszenia.
Uczestnicy przetargu zobowiązani są posiadać:
- dokument tożsamości,
- aktualny wydruk z Krajowego Rejestru Sądowego lub zaświadczenie z innego właściwego rejestru, nie starsze niż 3 miesiące, numer NIP; w przypadku wspólników spółek cywilnych także umowę spółki cywilnej (ewentualnie odpowiednią uchwałę, pozwalającą na nabycie nieruchomości, z której wynika reprezentacja spółki),
- odpis z właściwego rejestru przetłumaczony przez tłumacza przysięgłego, w przypadku cudzoziemców - osób prawnych (w rozumieniu ustawy z 24 marca 1920 r. o nabywaniu nieruchomości przez cudzoziemców – Dz. U. z 2017 r. poz. 2278),
- stosowne pełnomocnictwo notarialne w przypadku reprezentowania uczestnika przetargu przez pełnomocnika,
- ewentualnie inne dokumenty potwierdzające formę prowadzenia działalności i sposób reprezentacji uczestnika przetargu,
- w przypadku osób fizycznych pozostających w związku małżeńskim posiadających ustawową wspólność majątkową, do udziału w przetargu wymagana jest obecność obojga małżonków lub jednego z nich z pełnomocnictwem notarialnym drugiego małżonka upoważniającym do odpłatnego nabycia nieruchomości lub złożoną w formie pisemnej z podpisem notarialnie poświadczonym zgodą współmałżonka nie biorącego udziału w przetargu na przystąpienie małżonka do przetargu i odpłatne nabycie nieruchomości za cenę ustaloną w przetargu. W przypadku posiadania rozdzielności majątkowej, należy przed przystąpieniem do przetargu przedłożyć komisji przetargowej dokument potwierdzający rozdzielność majątkową,
- uczestnik przetargu zobowiązany jest przed przetargiem złożyć pisemne oświadczenie o zapoznaniu się z treścią ogłoszenia o przetargu, jego warunkami i przyjęciu ich bez zastrzeżeń, a także oświadczenie o zapoznaniu się ze stanem prawnym i technicznym przedmiotu sprzedaży oraz o przyjęciu go bez zastrzeżeń.
Wszystkie dokumenty powinny mieć formę pisemną (papierową).
Wadium w wysokości określonej w niniejszym ogłoszeniu uczestnicy przetargu wnoszą w pieniądzu do dnia 16 lutego 2026 r. na rachunek Urzędu Miasta Stalowej Woli nr 04 1020 49pokaż telefon prowadzony w Banku PKO BP, z podaniem uczestnika przetargu, który zamierza nabyć nieruchomość.
Za datę wniesienia wadium uważa się datę wpływu środków pieniężnych na rachunek Urzędu Miasta Stalowa Wola.
O wysokości postąpienia decydują uczestnicy przetargu, z tym że postąpienie nie może wynosić mniej niż 1% ceny wywoławczej, z zaokrągleniem w górę do pełnych dziesiątek złotych.
Wadium wpłacone przez uczestnika, który wygrał przetarg zalicza się na poczet ceny nabycia nieruchomości.
Osobom, które nie wygrały przetargu wadium zostanie zwrócone po zakończeniu przetargu zgodnie z obowiązującymi przepisami.
Gmina Stalowa Wola najpóźniej w ciągu 21 dni od dnia rozstrzygnięcia przetargu zawiadomi osobę ustaloną jako Nabywca nieruchomości o miejscu i terminie zawarcia umowy sprzedaży.
W przypadku nieprzystąpienia Nabywcy do zawarcia umowy sprzedaży tj. niestawienie się w miejscu i terminie podanym w zawiadomieniu, Prezydent Miasta Stalowej Woli może odstąpić od zawarcia umowy, a wpłacone wadium nie podlega zwrotowi.
W dniu podpisania umowy notarialnej przenoszącej prawo własności nieruchomości środki finansowe obejmujące cenę nabycia nieruchomości pomniejszoną o wpłacone wadium winny znajdować się na rachunku bankowym Gminy Stalowa Wola.
Wszelkie koszty sporządzenia umów notarialnych a także wynikających z nich podatków i opłat sądowych oraz wypisów ponosi Nabywca.
Sprzedaż nieruchomości objęta jest 23% stawką podatku VAT na podstawie ustawy z dnia 11 marca 2004 r. o podatku od towarów i usług (Dz. U. z 2025 r. poz. 775 ze zm.)
Nabywca przejmuje nieruchomość w stanie istniejącym.
Sprzedający nie odpowiada za wady ukryte zbywanej nieruchomości, w tym także za nieujawniony w Powiatowym Ośrodku Dokumentacji Geodezyjnej i Kartograficznej w Stalowej Woli przebieg podziemnych mediów.
Termin złożenia wniosku przez osoby, którym przysługuje pierwszeństwo w nabyciu nieruchomości na podstawie art. 34 ust. 1 pkt.1 i 2 ustawy z dnia 21 sierpnia 1997 r. o gospodarce nieruchomościami upłynął w dniu 18 sierpnia 2025 r. Pierwszy przetarg na sprzedaż prawa użytkowania wieczystego ww. nieruchomości odbył się w dniu 17 listopada 2025 r.
Cudzoziemcy (w rozumieniu ustawy z dnia 24 marca 1920 r. o nabywaniu nieruchomości przez cudzoziemców Dz. U. z 2017 r. poz. 2278) w przypadku wygrania przetargu zobowiązani są przed zawarciem umowy notarialnej uzyskać zgodę Ministra Spraw Wewnętrznych i Administracji na nabycie nieruchomości w przypadku, gdy zgoda ta jest wymagana.
Prezydent Miasta Stalowej Woli ma prawo odwołania przetargu z uzasadnionych przyczyn.
Ogłoszenie o przetargu zostało wywieszone na tablicy ogłoszeń Urzędu Miasta Stalowej Woli, ul. Wolności 7, opublikowane na stronie BIP https://bip.stalowawola.pl i w Monitorze Urzędowym.
Informacje o nieruchomości i warunkach przetargu można uzyskać w Wydziale Mienia Gminnego i Gospodarki Lokalami Urzędu Miasta Stalowej Woli w pok. 37 i 39 ul. Wolności 9 tel. 15 pokaż telefon i 15 pokaż telefon.
ZAŁĄCZNIK DO PRZETARGU
Kontakt:
Urząd Miasta Stalowa Wola
tel: 15 6pokaż telefon
um@stskontaktuj się
Numer oferty: 10371/3186/OOS
Statystyki ogłoszenia:
Podobne nieruchomości