To ogłoszenie jest już nieaktualne

To ogłoszenie jest już nieaktualne.

Ogłoszenia archiwalne prezentujemy w celu budowania wartościowej bazy średnich cen nieruchomości.

Zobacz aktualne ogłoszenia z lokalizacji: Teleśnica Oszwarowa, podkarpackie

Działka na sprzedaż Teleśnica Oszwarowa,

6782 m2
62 000 PLN 9 zł/m2
Opis

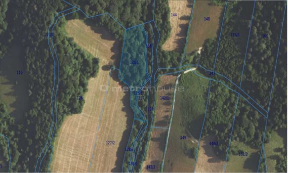
Oferuję na sprzedaż działkę leśną o powierzchni 6782 m², położoną w malowniczej miejscowości Teleśnica Oszwarowa, w powiecie bieszczadzkim, w gminie Ustrzyki Dolne. Działka jest w całości porośnięta lasem, VI klasy bonitacji, co czyni ją idealnym miejscem dla miłośników przyrody i ciszy. Teren jest lekko nachylony o nieregularnym kształcie.


W ofercie posiadam również sąsiadującą działkę o powierzchni 1281 m².

Serdecznie zapraszam do kontaktu telefonicznego w celu umówienia się na prezentację


Czy wiesz, że możemy przygotować dla Ciebie prezentację on-line nieruchomości? Skontaktuj się z naszym Agentem i zapytaj o szczegóły.

Pomimo, iż Doradcy Metrohouse przykładają szczególną staranność do rzetelnego prezentowania informacji o nieruchomości, nie zawsze jest możliwa weryfikacja wszystkich danych przekazanych od osób trzecich. Niniejsza prezentacja oferty nie jest ofertą w rozumieniu Kodeksu Cywilnego i ma charakter wyłącznie informacyjny.


Więcej
Działka:
na sprzedaż
Powierzchnia całkowita:
6 782 m2
Lokalizacja:
województwo: podkarpackie powiat: bieszczadzki gmina: Ustrzyki Dolne miejscowość: Teleśnica Oszwarowa

Podobne oferty w tej lokalizacji