Działka komercyjna na sprzedaż Pelplin - 3003,0m2
POWIERZCHNIA
3 003 m2
RODZAJ DZIAŁKI
komercyjna
DROGA DOJAZDOWA
-
Szczegóły oferty 43649/3186/OGS Data dodania: dzisiaj
- Kategoria Działki i grunty na sprzedaż
- Lokalizacja pomorskie, Pelplin
-
Powierzchnia
całkowita 3 003 m2
Sprawdź MPZP
- Powierzchnia działki3 003 m2
-
Cena
419 590 zł
- Cena za m2 139,72 zł/m2
- Rodzaj działki komercyjna
- Ogrodzenie działkiinne
Lokalizacja
Opis oferty
Pelplin, dnia 19 grudnia 2025 r.
RPŚ.680.1.4.2025.KR
O G Ł O S Z E N I E
Na podstawie art. 30 ust. 2 pkt. 3 ustawy z dnia 8 marca 1990 r. o samorządzie gminnym (Dz. U. z 2024r. poz. 1465 ze zmianami), w związku z art. 37 ust. 1 i art. 38 ust. 1 i 2 ustawy z dnia 21 sierpnia 1997 r., o gospodarce nieruchomościami (Dz. U z 2024 poz. 1145 ze zmianami) oraz §3 ust. 1 rozporządzenia Rady Ministrów z dnia 14 września 2004 r., w sprawie sposobu i trybu przeprowadzania przetargów oraz rokowań na zbycie nieruchomości (Dz. U. 2021 poz. 2213) §8 Uchwały XVII/150/12 Rady Miejskiej w Pelplinie z dnia 29 marca 2012r., w sprawie zasad gospodarowania nieruchomościami stanowiącymi własność Gminy Pelplin (Dziennik Urzędowy Województwa Pomorskiego z dnia 27 kwietnia 2012r., poz. 1534), Burmistrz Miasta i Gminy Pelplin ogłasza drugi nieograniczony przetarg ustny na sprzedaż prawa własności niżej opisanej nieruchomości gruntowej:
- nr działki
dz. nr 605/1
- pow.
o pow. 0,3003 ha
- księga wieczysta
GD1T/00016717
- położenie
Gmina: Pelplin
obręb geodezyjny
Pelplin
opis nieruchomości
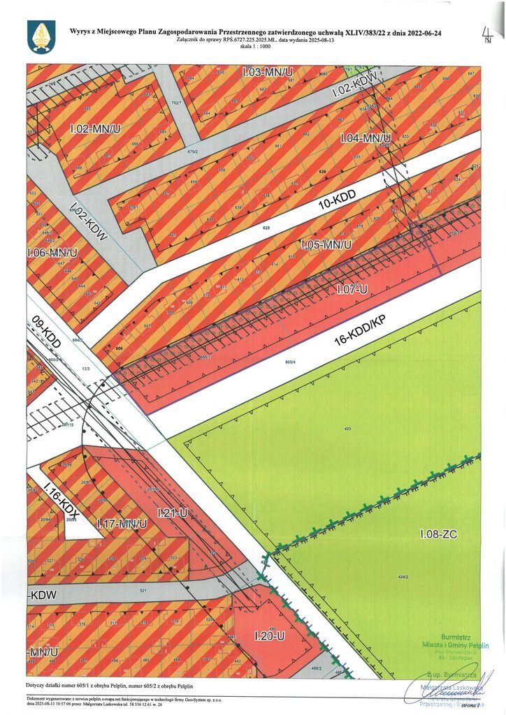
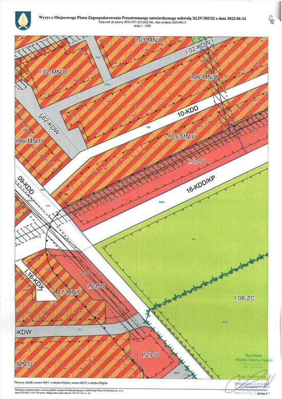
Działka położona jest w północno zachodniej części zabudowy Pelplina. Otoczenie nieruchomości od strony północnej, zachodniej i południowo – zachodniej stanowi zabudowa budynków mieszkalnych jednorodzinnych, wolnostojących i bliźniaczych. Otoczenie od strony południowej i południowo- wschodniej stanowi teren cmentarza. Wjazd na obwodnicę Pelplina znajduje się w odległości ok 250 m odległość od wjazdu na autostradę A1 w miejscowości Ropuchy wynosi ok 3,5 km. Kształt działki przypomina trapez, teren jest pofałdowany, bez większych wzniesień czy zagłębień. Działka jest użytkowana w niewielkiej części, pozostały obszar jest niezagospodarowany, niezabudowany, porośnięty trawą. Nad gruntem przebiega napowietrzna linia energetyczna oraz betonowy słup przesyłowy. Nieruchomość posiada bezpośredni dostęp do dróg gminnych, nie posiada urządzonego wjazdu. Obszar, na którym położona jest działka nr 605/1 o. Pelplin, jest objęta miejscowym planem zagospodarowania przestrzennego dla obszaru położonego w północno – zachodniej części miasta Pelplin przyjętym Uchwałą Rady Miejskiej w Pelplin nr XLIV/383/22 z dnia 24 czerwca 2022 r. Obszar działki nr 605/1 oznaczony jest na rysunku planu symbolem I.07-U (tereny zabudowy usługowej).
cena nieruchomości
Cena wywoławcza nieruchomości:
419 590,00 zł
do ceny wylicytowanej doliczony zostanie podatek VAT w wysokości 23%
wadium w wysokości 20 % ceny wywoławczej netto:
83 918,00 zł
minimalne postąpienie:
4 195,90 zł
1. TERMIN PRZETARGU: PRZETARG ODBĘDZIE SIĘ DNIA 20 lutego 2026 r., godz. 8:30 w budynku Urzędu Miasta i Gminy w Pelplinie, Pl. Grunwaldzki 4 (I piętro, sala ślubów).
1) TERMIN PIERWSZEGO PRZTARGU: 17.10.2025 R
2. Brak zobowiązań wieczystoksięgowych dla nieruchomości gruntowych objętych niniejszym przetargiem.
3. Obciążenia:
W granicach nieruchomości objętej przetargiem przebiega napowietrzna linia energetyczna oraz zlokalizowany jest betonowy słup przesyłowy.
4. Zobowiązania Nabywcy:
1) niezbędną dla realizowanej inwestycji infrastrukturę, Nabywca wykona we własnym zakresie i na własny koszt;
2) nabywca zobowiązany będzie do usunięcia ewentualnych bezumownych użytkowników nieruchomości objętej przetargiem .
5. Rodzaj zbycia: sprzedaż prawa własności w drodze przetargu ustnego nieograniczonego.
6. Wadium należy wpłacić w terminie do dnia 13 lutego 2026 r. na konto Urzędu Miasta i Gminy Pelplin BS Skórcz 0/Pelplin 62 8342 00pokaż telefon – dowodem wpłaty wadium jest potwierdzenie z banku lub z poczty.
1) Dowód wniesienia wadium podlega przedłożeniu komisji przetargowej przed otwarciem przetargu.
2) Wadium wpłacone przez uczestnika, który przetarg wygrał, zaliczone zostanie na poczet ceny nabycia gruntu.
3) Wadium ulega przepadkowi w razie uchylenia się uczestnika, który przetarg wygrał od zawarcia umowy.
4) Terminem wpłaty wadium jest uznanie na rachunku bankowym Gminy Pelplin.
5) Osobom, które nie wygrały przetargu, wadium zostanie wypłacone w terminie 3 dni od zakończenia przetargu na konto podane przez uczestnika przetargu.
6) Dowód wpłaty wadium, jest równoznaczny z zapoznaniem się przez wpłacającego z warunkami i przedmiotem przetargu i przyjęciu ich bez zastrzeżeń. Przystępując do przetargu oferent akceptuje wszystkie jego warunki.
7) Dowód wpłaty wadium, jest równoznaczny z zapoznaniem się przez wpłacającego z zapisami miejscowego planu zagospodarowania przestronnego stanowiącego załącznik nr 1 do ogłoszenia o przetargu.
7. Minimalne postąpienie: O wysokości postąpienia decydują uczestnicy przetargu, z tym, że postąpienie nie może wynosić mniej niż 1% ceny wywoławczej z zaokrągleniem w górę do pełnych dziesiątek złotych.
8. Uczestnicy przetargu zobowiązani są posiadać dokumenty:
1) Dowód tożsamości, a w przypadku osób prawnych i jednostek organizacyjnych nieposiadających osobowości prawnej, a podlegających wpisom do rejestrów – aktualny wypis z właściwego rejestru, stosowne pełnomocnictwo (ewentualnie zgoda organów statutowych na nabycie przedmiotowej nieruchomości), dowód tożsamości osoby reprezentującej podmiot.
2) Do dokonywania czynności przetargowych konieczna jest obecność obojga małżonków lub jednego z nich z pełnomocnictwem małżonka zawierającym zgodę na odpłatne nabycie nieruchomości;
z wyjątkiem małżeństw posiadających rozdzielność majątkową.
3) Uczestnicy biorą udział w przetargu osobiście lub przez pełnomocnika. Pełnomocnictwo wymaga formy pisemnej.
4) Cudzoziemcy (w rozumieniu ustawy z dnia 24 marca 1920r. o nabywaniu nieruchomości przez cudzoziemców) w przypadku wygrania przetargu, zobowiązani są przed zawarciem umowy notarialnej, uzyskać zgodę Ministra Spraw Wewnętrznych i Administracji na nabycie nieruchomości w przypadku, gdy zgoda jest wymagana.
9. Cena sprzedaży nieruchomości brutto, płatna jest w całości przed zawarciem umowy w formie aktu notarialnego. Za datę dokonania wpłaty całej kwoty przyjmuje się datę uznania rachunku bankowego Gminy Pelplin.
10. O terminie zawarcia umowy wygrywający przetarg zawiadamiany jest pisemnie lub telefonicznie.
11. Koszty notarialne oraz ujawnienie nabywcy w księdze wieczystej ponosi nabywca.
12. Nabywca przyjmuje nieruchomość w stanie istniejącym. W przypadku konieczności wznowienia punktów granicznych zbywanej działki, przyszły nabywca wykona je we własnym zakresie i na własny koszt.
13. Sprzedawca nie ponosi odpowiedzialności za wady ukryte nieruchomości.
14. Zastrzega się prawo odwołania przetargu lub jego unieważnienia w przypadku zaistnienia uzasadnionych powodów.
15. Dodatkowych informacji o nieruchomościach udzielają pracownicy Referatu Gospodarki Przestrzennej i Środowiska Urzędu Miasta i Gminy w Pelplinie Pl. Grunwaldzki 4, pokój 30B lub pod nr tel. 58 5pokaż telefon wew. 12.
16. Niniejsze ogłoszenie podlega wywieszeniu na tablicy ogłoszeń w siedzibie Urzędu Miasta i Gminy na okres od dnia 19 grudnia 2025 r. do dnia 20 lutego 2026 r. Ogłoszenie zostanie także opublikowane w Monitorze Urzędowym oraz Biuletynie Informacji Publicznej.
Burmistrza Miasta i Gminy Pelplin
Mirosław Chyła
Załącznik do ogłoszenia:
Wypis i wyrys z miejscowego planu zagospodarowania przestrzennego z dnia 13.08.2025 r.
Kontakt:
Urząd Miasta i Gminy Pelplin
tel: 58 5pokaż telefon wew. 12
krog@skontaktuj się
Numer oferty: 43649/3186/OGS
Statystyki ogłoszenia:
Podobne nieruchomości