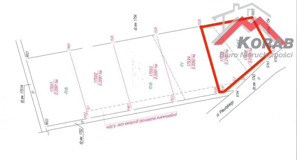
Działka budowlana na sprzedaż Nasielsk - 2192,0m2
POWIERZCHNIA
2 192 m2
RODZAJ DZIAŁKI
budowlana
DROGA DOJAZDOWA
asfaltowa
Szczegóły oferty 5954/47/OGS Data dodania: 20 dni temu
- Kategoria Działki i grunty na sprzedaż
- Lokalizacja mazowieckie, Nasielsk
-
Powierzchnia
całkowita 2 192 m2
Sprawdź MPZP
- Powierzchnia działki2 192 m2
-
Cena
263 040 zł
- Cena za m2 120 zł/m2
- Dostępne od7.11.2025r.
- Rodzaj działki budowlana
- Forma własności własność
- Kształt działki nieregularny
- Droga dojazdowaasfaltowa
- Ogrodzenie działkiinne
Lokalizacja
Opis oferty
Do sprzedaży działka budowlano-inwestycyjna o powierzchni 2 192 m², położona w Nasielsku, w powiecie nowodworskim, woj. mazowieckie z bezpośrednim dojazdem od ul. Marszałka J. Piłsudskiego.
Dla terenu obowiązuje Miejscowy Plan Zagospodarowania Przestrzennego, który przeznacza działkę pod przemysł, magazyny, składy, usługi gospodarcze, rzemiosło, obsługę komunikacji, handel hurtowy i inne zbliżone funkcje.
W granicach terenu dopuszcza się również funkcję mieszkaniową dla właściciela obiektu w postaci mieszkania wydzielonego z obiektu lub wolnostojącego budynku mieszkalnego.
Nieruchomość idealna pod budowę zakładu produkcyjnego, magazynu, warsztatu czy obiektu usługowego, z jednoczesną możliwością stworzenia wygodnego zaplecza mieszkalnego dla właściciela. Dzięki dopuszczeniu funkcji mieszkaniowej na terenie objętym MPZP, inwestor może połączyć prowadzenie działalności gospodarczej z codziennym komfortem życia. Rozwiązanie takie jest szczególnie korzystne dla osób prowadzących działalność wymagającą stałego nadzoru lub preferujących pracę w pobliżu miejsca zamieszkania.
Istnieje możliwość dokupienia sąsiednich działek znajdujących się w kompleksie, co pozwala na powiększenie terenu inwestycyjnego.
Nieruchomość położona jest w bardzo dobrej lokalizacji — szybki dostęp do dróg wojewódzkich zapewnia sprawną komunikację, a dogodne połączenie z Warszawą (ok. 60 km) umożliwia łatwy dojazd do stolicy. Bezpośredni wjazd od ul. Marszałka J. Piłsudskiego dodatkowo zwiększa wygodę i dostępność terenu.
Atrakcyjna oferta - teren z szerokim zakresem przeznaczenia.
Zapraszam do kontaktu po więcej szczegółowych informacji.
Marcin Modzelewski
tel. 501pokaż telefon
Wszelkie informacje o nieruchomości oferowane przez Biuro Korab są aktualne i sprawdzone pod względem merytorycznym oraz prawnym przez jej Agentów działających w Systemie Wymiany Ofert.
Oferta wysłana z programu dla biur nieruchomości ASARI CRM (asaricrm.com)
Numer oferty: 5954/47/OGS
Nr licencji zawodowej: 3986
Statystyki ogłoszenia:
Podobne nieruchomości