Działka komercyjna na sprzedaż Kwidzyn, Długa - 3865,0m2
1 500 000
zł
388,10 zł/m2
POWIERZCHNIA
3 865 m2
RODZAJ DZIAŁKI
komercyjna
DROGA DOJAZDOWA
-
Szczegóły oferty 43368/3186/OGS Data dodania: 26 dni temu
- Kategoria Działki i grunty na sprzedaż
- Lokalizacja pomorskie, Kwidzyn, Długa
-
Powierzchnia
całkowita 3 865 m2
Sprawdź MPZP
- Powierzchnia działki3 865 m2
-
Cena
1 500 000 zł
- Cena za m2 388,10 zł/m2
- Rodzaj działki komercyjna
- Ogrodzenie działkiinne
Lokalizacja
Opis oferty
Wyciąg z ogłoszenia o przetargu
Burmistrz Miasta Kwidzyna
ogłasza drugi przetarg ustny nieograniczony na sprzedaż nieruchomości gruntowej, niezabudowanej
określonej poniżej:
Lp. 1
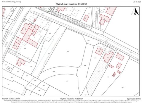
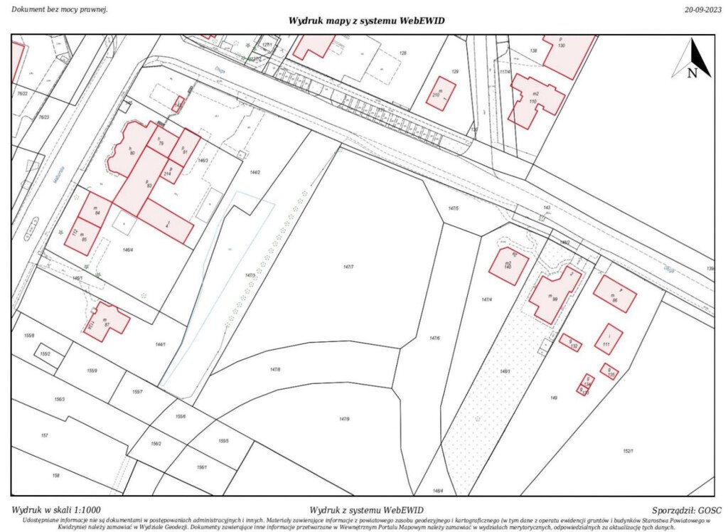
Położenie nieruchomości
Długa
Nr działki
147/7
Pow. w m2
3865
Nr księgi wieczystej
GD1I/000pokaż telefon
Przeznaczenie nieruchomości
komercyjne
Cena wywoławcza netto
1 500 000 zł
Wadium
230 000 zł
1. Termin i miejsce przetargu: 12.12.2025 r. o godz. 10:00, pok. nr 207 w siedzibie Urzędu Miejskiego w Kwidzynie przy ul. Warszawskiej 19.
2. Wadium należy wnieść do dnia 08.12.2025 r., w pieniądzu (PLN) na konto Urzędu Miejskiego w Kwidzynie w Powiślańskim Banku Spółdzielczym w Kwidzynie Nr 11 8300 00pokaż telefon. Datą wpłaty jest dzień w którym środki znajdują się wskazanym powyżej koncie.
3. Minimalna wysokość postąpienia wynosi 1%. Do ceny sprzedaży (netto) ustalonej w wyniku przetargu, zostanie doliczony podatek VAT zgodnie z obowiązującymi przepisami ustawy o podatku od towarów i usług
4. Informacja o miejscu wywieszenia i publikacji ogłoszenia o przetargów: tablica ogłoszeń w siedzibie Urzędu Miejskiego w Kwidzynie przy ul. Warszawskiej 19 oraz Internet – strona www.bip.kwidzyn.pl, www.kwidzyn.pl.
5. Dane teleadresowe, pod którymi można uzyskać informacje: Zespół ds. Mienia Komunalnego i Geodezji Urzędu Miejskiego w Kwidzynie, tel. 55 6pokaż telefon, 55 6pokaż telefon.
Kwidzyn, dnia 09.10.2025 r.
Kontakt:
Urząd Miejski w Kwidzynie
tel: 55 6pokaż telefon
info@skontaktuj się
Numer oferty: 43368/3186/OGS
Numer oferty: 43368/3186/OGS
Statystyki ogłoszenia:
Podobne nieruchomości