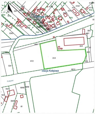
Działka budowlana z mediami i planem zagospodarowania Kraśnik - 3100,0m2
Oferta na wyłączność
350 000 zł 112,90 zł/m2POWIERZCHNIA
3 100 m2
RODZAJ DZIAŁKI
budowlana
DROGA DOJAZDOWA
-
Szczegóły oferty 789566
- Kategoria Działki i grunty na sprzedaż
- Lokalizacja lubelskie, Kraśnik
-
Powierzchnia
całkowita 3 100 m2
Sprawdź MPZP
-
Cena
350 000 zł
- Cena za m2 112,90 zł/m2
- Rodzaj działki budowlana
- Ogrodzenie działkibrak
Lokalizacja
Opis oferty
NA SPRZEDAŻ
Działka budowlana przy ul. Oboźnej w Kraśniku
Nieruchomość znajduje się na terenie, na którym obecnie Urząd Miasta Kraśnik opracowuje miejscowy plan. Działka w części, w nowym miejscowym planie zagospodarowania przestrzennego zostanie wpisana jako budowlana MM (zabudowa mieszana):
- zabudowa jednorodzinna
- zabudowa wielorodzinna
- apartamenty
- sklepy spożywcze, apteki, lokale gastronomiczne - wszelkie usługi służące mieszkańcom
Powierzchnia objęta tym zapisem to 320 m2. Reszta działki to tereny zielone.
W ulicy Oboźnej znajdziemy wszystkie media: kanalizację, prąd, wodę, gaz i Internet
Numer oferty: 789566
Działka budowlana przy ul. Oboźnej w Kraśniku
Nieruchomość znajduje się na terenie, na którym obecnie Urząd Miasta Kraśnik opracowuje miejscowy plan. Działka w części, w nowym miejscowym planie zagospodarowania przestrzennego zostanie wpisana jako budowlana MM (zabudowa mieszana):
- zabudowa jednorodzinna
- zabudowa wielorodzinna
- apartamenty
- sklepy spożywcze, apteki, lokale gastronomiczne - wszelkie usługi służące mieszkańcom
Powierzchnia objęta tym zapisem to 320 m2. Reszta działki to tereny zielone.
W ulicy Oboźnej znajdziemy wszystkie media: kanalizację, prąd, wodę, gaz i Internet
Zapraszam do kontaktu po więcej szczegółów
Kamila Śliwa
533pokaż telefon
Jako profesjonalny agent nieruchomości dokładam wszelkich starań aby transakcja przebiegła sprawnie, bezpiecznie, bez zbędnego stresu. Pomagam przy formalnościach, kredycie, inspekcjach budowlanych. Współpracuję z rzetelnymi, kompetentnymi notariuszami. Zapewniam pełną opiekę przez cały okres przebiegu transakcji aż do przekazania nieruchomości w ręce nowego właściciela.
Treść niniejszego ogłoszenia nie stanowi oferty handlowej w rozumieniu Kodeksu Cywilnego. Treść ma charakter informacyjny i zalecamy ich osobistą weryfikację.
Kamila Śliwa
533pokaż telefon
Jako profesjonalny agent nieruchomości dokładam wszelkich starań aby transakcja przebiegła sprawnie, bezpiecznie, bez zbędnego stresu. Pomagam przy formalnościach, kredycie, inspekcjach budowlanych. Współpracuję z rzetelnymi, kompetentnymi notariuszami. Zapewniam pełną opiekę przez cały okres przebiegu transakcji aż do przekazania nieruchomości w ręce nowego właściciela.
Treść niniejszego ogłoszenia nie stanowi oferty handlowej w rozumieniu Kodeksu Cywilnego. Treść ma charakter informacyjny i zalecamy ich osobistą weryfikację.
Numer oferty: 789566
Statystyki ogłoszenia:
Podobne nieruchomości