To ogłoszenie jest już nieaktualne

To ogłoszenie jest już nieaktualne.

Ogłoszenia archiwalne prezentujemy w celu budowania wartościowej bazy średnich cen nieruchomości.

Zobacz aktualne ogłoszenia z lokalizacji: Kozłów, radomski, mazowieckie

Działka na sprzedaż Kozłów, Kozłów

2700 m2
283 500 PLN 105 zł/m2
Opis
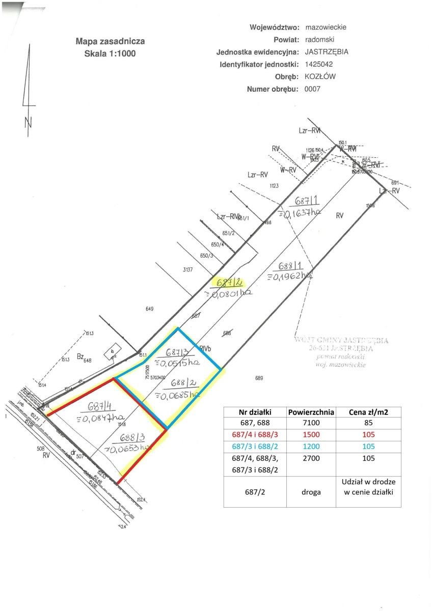
DO SPRZEDANIA TEREN POD ZABUDOWĘ - Kozłów, gm. Jastrzębia Na sprzedaż atrakcyjna nieruchomość gruntowa położona w spokojnej i zielonej miejscowości Kozłów, w gminie Jastrzębia, z bardzo dobrym dojazdem do Radomia i głównych tras komunikacyjnych.  Dla działek zostały:
  • wydane Warunki Zabudowy na budowę dwóch budynków mieszkalnych jednorodzinnych wolnostojących,
  • wydane postanowienie o podziale działek 687 i 688 na mniejsze
Aktualne możliwości zakupu:
  • całość - 2 działki o łącznej powierzchni 7 100 m² za cenę 85 zł/m2,
  • po podziale:
    • 4 działki o łącznej powierzchni 2 700 m² za cenę 105 zł/m2,
    • 2 działki o powierzchni ok. 1 500 m² (dz. nr 687/4 i 688/3) za cenę 105 zł/m2,
    • 2 działki o powierzchni ok. 1 200 m² (dz. nr 687/3 i 688/2) za cenę 105 zł/m2
Idealna propozycja zarówno dla inwestora, jak i osób prywatnych planujących budowę domu Lokalizacja
  • ok. 6 km od ronda Kozienickiego w Radomiu,
  • szybki dojazd w kierunku Zwolenia, Krakowa, Lublina i Kozienic,
  • zalew w Siczkach - ok. 15 minut,
  • przystanek autobusowy - ok. 1,5 km
Nieruchomość
  • dojazd drogą publiczną asfaltową,
  • spokojna okolica z zabudową jednorodzinną,
  • wymiary działek dostępne na mapie poglądowej
Media
  • woda - przy działce (ok. 10 m od frontu),
  • prąd - na działce,
  • kanalizacja - w drodze po drugiej stronie asfaltu (ok. 5 m),
  • telekomunikacja - sieć przy froncie działki, w miejscowości dostępny światłowód
Atuty oferty
  • możliwość zakupu całości lub mniejszych działek,
  • wydane Warunki Zabudowy,
  • pełne uzbrojenie w media,
  • cicha i zielona okolica,
  • bliskość Radomia i świetna komunikacja,
  • idealne miejsce pod zabudowę jednorodzinną
Zapraszamy do kontaktu w celu uzyskania szczegółowych informacji oraz umówienia prezentacji nieruchomości Kupujący nie płaci prowizji! Ogłoszenie ma charakter informacyjny i nie stanowi oferty handlowej w rozumieniu art. 66 §1 Kodeksu Cywilnego
Więcej
Działka:
na sprzedaż
Powierzchnia całkowita:
2 700 m2
Lokalizacja:
województwo: mazowieckie powiat: radomski gmina: Jastrzębia miejscowość: Kozłów ulica: Kozłów

Podobne oferty w tej lokalizacji