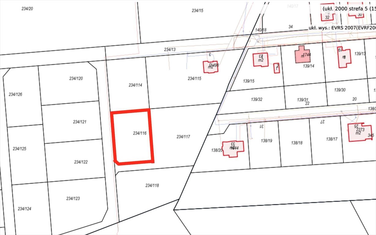
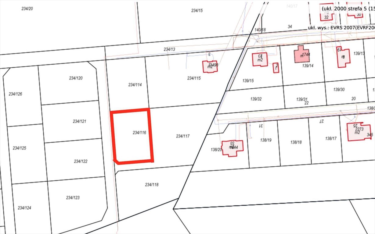
Działka rolna 1562 m² w Dźwirzynie, blisko morza Dźwirzyno, Tęczowa - 1562,0m2
POWIERZCHNIA
1 562 m2
RODZAJ DZIAŁKI
rolna
DROGA DOJAZDOWA
polna
Szczegóły oferty 23903
- Kategoria Działki i grunty na sprzedaż
- Lokalizacja zachodniopomorskie, Dźwirzyno, Tęczowa
-
Powierzchnia
całkowita 1 562 m2
Sprawdź MPZP
-
Cena
234 300 zł
- Cena za m2 150 zł/m2
- Rodzaj działki rolna
- Forma własności własność
- Mediaprąd, woda
- Droga dojazdowapolna
- Ogrodzenie działkibrak
Lokalizacja
Opis oferty
Dżwirzyno ul. Tęczowa na sprzedaż działka gruntu o pow. 1.562 m2 przeznaczona w aktualnym planie zagospodarowania przestrzennego gminy pod tereny rolne.
Teren oddalony od morza ok. 2,5 km
Media:
W terenie przy działce jest instalacja energetyczna
w głównej ul. Tęczowej jest woda, kanalizacja i gaz.
Ustalenia w aktualnym planie zagospodarowania przestrzennego dla terenu o symbolu 14 RZ - o powierzchni 66,700 ha.
1. Przeznaczenie terenu:
- tereny rolnicze - łąki i pastwiska,
2. kształtowanie zabudowy i zagospodarowanie terenu:
a) zakaz wszelkiej zabudowy z wyjątkiem określonym w pkt 2b,
b) zakaz nie dotyczy zabudowy zagrodowej związanej z gospodarstwem rolnym na gruntach właścicieli w rozumieniu Kodeksu Cywilnego, posiadających gospodarstwo rolne o powierzchni min. 6,0 ha na terenie objętym planem, powierzchnia działki na której ma być realizowana zabudowa zagrodowa min. 1,0 ha.
c) warunki realizacji zabudowy dopuszczonej na zasadach jak wyżej, wg 4 ust. 2
3)zasady podziału terenu:
- w dostosowaniu do potrzeb racjonalnej gospodarki rolnej;
4. ustalenia w zakresie ochrony środowiska:
a) teren położony w specjalnym obszarze ochrony siedlisk Natura 2000 Trzebiatowsko Kołobrzeski pas Nadmorski obowiązują ustalenia
wg 6 ust. 4,
b) teren położony w obszarze specjalnej ochrony ptaków Natura 2000 Wybrzeże Trzebiatowskie obowiązują ustalenia wg 6 ust. 4,
c) teren położony w granicach proponowanego zespołu przyrodniczo- krajobrazowego Pradolina i Dolina rzeki Parsęty,
d) na terenie stanowiska roślin gatunków objętych ochroną prawną - obowiązują ustalenia wg 6 ust.8,
e) na terenie stanowisko zwierząt gatunków objętych ochroną prawną - obowiązują ustalenia wg 6 ust.8.
5. obsługa komunikacyjna:
dostęp komunikacyjny do terenu z istniejącej drogi 22 KDW.
6. obsługa w zakresie infrastruktury technicznej:
a) istniejące linie elektroenergetyczne 15 kV do zachowania, z możliwością modernizacji,
b) istniejąca stacja transformatorowa 15/0,4 kV do zachowania, z możliwością przebudowy,
c) istniejące sieci i przyłącza infrastruktury technicznej na potrzeby zaopatrzenia zabudowy w zakresie załącznika nr 4 do zachowania z możliwością modernizacji,
d) dopuszcza się przebieg sieci i przyłączy infrastruktury technicznej na potrzeby zaopatrzenia zabudowy w zakresie załącznika nr 4 oraz zabudowy dopuszczonej na zasadzie określonej w pkt 2b.
7. ustalenia wynikające z przepisów odrębnych:
a) teren położony na obszarze górniczym ochrony złoża wód leczniczych Kołobrzeg II obowiązują ustalenia wg 10 ust. 1,
b) teren położony na obszarze Polderu Grzybowo obowiązują ustalenia wg 10 ust. 5.
Przedstawione informacje nie stanowią oferty w rozumieniu przepisów Kodeksu Cywilnego. Dane dotyczące nieruchomości oparte są na informacjach uzyskanych od właściciela nieruchomości i mogą różnic się od stanu faktycznego. Podane ceny i czynsze mogą ulec zmianie. Zalecamy osobiste zapoznanie się ze stanem nieruchomości. Zapraszamy !
Oferta wysłana z programu IMO dla biur nieruchomości
Numer oferty: 23903
Nr licencji zawodowej: 578
Statystyki ogłoszenia:
Podobne nieruchomości