To ogłoszenie jest już nieaktualne

To ogłoszenie jest już nieaktualne.

Ogłoszenia archiwalne prezentujemy w celu budowania wartościowej bazy średnich cen nieruchomości.

Zobacz aktualne ogłoszenia z lokalizacji: Biskupiec, olsztyński, warmińsko-mazurskie

Działka na sprzedaż Biskupiec, Bolesława Chrobrego

1667 m2
158 000 PLN 95 zł/m2
Opis

Wyciąg z ogłoszenia Burmistrza Biskupca (siedziba: 11-300 Biskupiec, ul. Aleja Niepodległości 2) o pierwszym przetargu ustnym nieograniczonym na zbycie niezabudowanej nieruchomości gruntowej, stanowiącej własność Gminy Biskupiec.


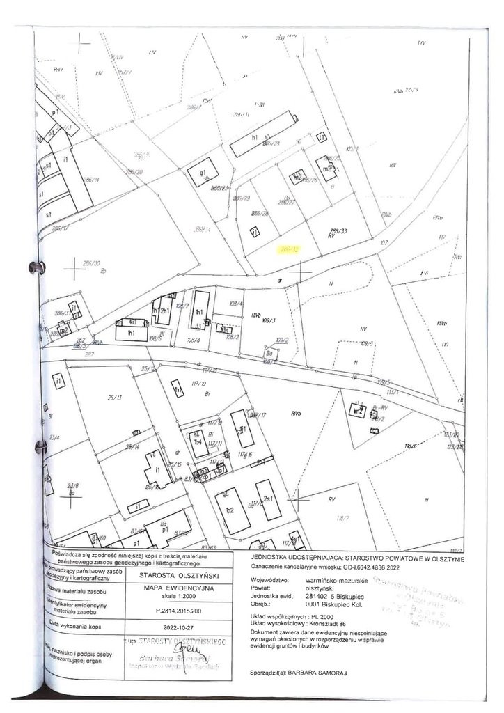
1. Oznaczenie nieruchomości wg księgi wieczystej i katastru nieruchomości, powierzchnia nieruchomości.

Nieruchomość położona w Biskupcu przy ul. Bolesława Chrobrego (obręb miasto Biskupiec 5), dla której prowadzona jest księga wieczysta nr OL1B/00012374/9, oznaczona numerem działki 286/32 o powierzchni  0,1667 ha


2. Forma zbycia.

Sprzedaż


3. Przeznaczenie w miejscowym planie zagospodarowania przestrzennego.

Nieruchomość położona jest w terenie oznaczonym na rysunku miejscowego planu zagospodarowania przestrzennego  symbolem
RM-2 i przeznaczonym na tereny zabudowy zagrodowej w gospodarstwach rolnych, hodowlanych i ogrodniczych, dla których dopuszcza się również zagospodarowanie zgodne z ustaleniami dla terenów oznaczonych symbolem MNU-2 (tereny zabudowy mieszkaniowej jednorodzinnej z usługami nieuciążliwymi w wydzielonych częściach budynku lub w obiektach wolnostojących)


3. Cena wywoławcza.

158 000 zł (słownie: sto pięćdziesiąt osiem tysięcy złotych). Cena zawiera podatek VAT w wysokości 23%.


4. Termin i miejsce przetargów.

19 marca 2026 roku, godz. 10:00, siedziba Urzędu Miejskiego w Biskupcu; adres: ul.Aleja Niepodległości 2, 11-300 Biskupiec, pokój nr 16 (I piętro, sala konferencyjna)


5. Wysokość wadium.

31 000 zł (słownie: trzydzieści jeden tysięcy złotych).


6. Miejsce wywieszenia i publikacji ogłoszenia o przetargu.

Tablica ogłoszeń w siedzibie Urzędu Miejskiego w Biskupcu, strona internetowa Urzędu www.biskupiec.pl, Biuletyn Informacji Publicznej www.bip.biskupiec.pl oraz serwis www.monitorurzedowy.pl


7. Dane teleadresowe, pod którymi można uzyskać szczegółowe informacje dotyczące przetargu.

Referat Gospodarki Gruntami Komunalnymi Urzędu:  tel.89 715 01 44

Pełny tekst ogłoszenia o przetargu


Burmistrz Biskupca

ogłasza

pierwszy przetarg ustny nieograniczony

na sprzedaż niezabudowanej nieruchomości gruntowej, stanowiącej własność Gminy Biskupiec, dla której Sąd Rejonowy w Biskupcu prowadzi księgę wieczystą nr OL1B/00012374/9, położonej w Biskupcu (obręb miasto Biskupiec 5), przy ulicy Bolesława Chrobrego, oznaczonej numerem działki 286/32 o powierzchni 0,1667 ha (oznaczenie wg użytków i klasy gruntu: RV).

Cena wywoławcza 158 000  zł

(słownie: sto pięćdziesiąt osiem tysięcy złotych)

Cena wywoławcza nieruchomości zawiera podatek VAT w wysokości 23%. Cena nieruchomości, uzyskana w przetargu, podlega zapłacie przed zawarciem umowy notarialnej (przenoszącej własność nieruchomości). Osoba ustalona na nabywcę nieruchomości ponosi ponadto koszty notarialne i sądowe. Ewentualne wznowienie granic nieruchomości na zlecenie i koszt nabywcy.


Nieruchomość nie jest przedmiotem obciążeń i zobowiązań na rzecz osób trzecich. Zagospodarowanie nieruchomości – zgodnie z planem zagospodarowania przestrzennego.


W miejscowym planie zagospodarowania przestrzennego miasta Biskupiec zatwierdzonym Uchwałą Nr XXX/211/05 Rady Miejskiej w Biskupcu z dnia 15 czerwca 2005 roku (Dz.Urz. Woj.War.-Maz. Nr 104 z dnia 11.08.2005r., poz.1404) nieruchomość położona jest w terenie oznaczonym na rysunku planu symbolem RM-2 i przeznaczonym na tereny zabudowy zagrodowej w gospodarstwach rolnych, hodowlanych i ogrodniczych, dla których dopuszcza się również zagospodarowanie zgodne z ustaleniami dla terenów oznaczonych symbolem MNU-2 (tereny zabudowy mieszkaniowej jednorodzinnej z usługami nieuciążliwymi w wydzielonych częściach budynku lub w obiektach wolnostojących). Szczegółowe informacje dotyczące zapisów planu zagospodarowania przestrzennego oraz obiektów znajdujących się w gminnej ewidencji zabytków można uzyskać w Referacie Budownictwa i Spraw Lokalowych  Urzędu (pok.34), pod numerami telefonów: 897150115 i 897150138.


Sprzedaż nieruchomości następuje według danych zawartych w ewidencji gruntów i budynków oraz w aktualnym stanie zagospodarowania. W przypadku ewentualnego wznowienia granic, wykonanego na koszt i staraniem nabywcy, sprzedający nie bierze odpowiedzialności za ewentualnie wynikłe różnice. Publiczne dane z zasobu geodezyjnego i kartograficznego, obejmującego powiat olsztyński (Geoportal Powiatu Olsztyńskiego), dostępne są  pod adresem internetowym:  https://powiatolsztynski.geoportal2.pl (wg tych danych przez działkę przebiega nieczynny przewód wodociągowy).


Nabywca jest zobowiązany do udostępnienia nieruchomości osobom i jednostkom zobowiązanym do wykonania czynności związanych z eksploatacją sieci nadziemnych i podziemnych oraz urządzeń występujących na gruncie. W przypadku, gdy przebiegające sieci nadziemne i podziemne lub urządzenia występujące na terenie nieruchomości (ujawnione i nie ujawnione na mapie), kolidują z realizacją zamierzonej inwestycji, nabywca będzie zobowiązany do ich przełożenia własnym kosztem i staraniem, w uzgodnieniu z jednostkami branżowymi i właścicielem sieci. Ponadto, nabywca przejmuje obowiązek  usunięcia z nieruchomości ewentualnych użytkowników bezumownych.


Dla przedmiotowej nieruchomości nie przeprowadzono badań geotechnicznych podłoża gruntowego. Sprzedający nie ponosi odpowiedzialności za złożone warunki geotechniczne gruntu.

Przetarg odbędzie się w dniu 19 marca 2026 roku o godz. 10:00 w Urzędzie Miejskim w Biskupcu przy ul. Aleja Niepodległości 2 (sala konferencyjna, I piętro, pok.16).

W przetargu mogą brać udział osoby, które w terminie do dnia 13 marca 2026 roku, wpłacą na rachunek bankowy Urzędu Miejskiego w Biskupcu Nr 45 1020 3541 00005902 0260 8230 PKO Bank Polski S.A. wymagane wadium (w pieniądzu)  w wysokości 31 000 zł (słownie: trzydzieści jeden tysięcy złotych). Wadium powinno być wniesione z takim wyprzedzeniem, aby środki pieniężne znalazły się na rachunku bankowym Urzędu Miejskiego w Biskupcu najpóźniej w dniu 13 marca 2026 roku – pod rygorem uznania, że warunek wpłaty wadium nie został spełniony.


        Uczestnicy przetargu są zobowiązani przedstawić, na żądanie komisji przetargowej:

-        aktualny dokument potwierdzający tożsamość,

-        aktualny odpis z właściwego rejestru, jeżeli uczestnikiem jest osoba prawna,

-        oryginał potwierdzenia wniesienia wadium.


Pełnomocnicy uczestników przetargu winni okazać komisji przetargowej stosowne pełnomocnictwo, z podpisem mocodawcy poświadczonym notarialnie.


O wysokości postąpienia decydują uczestnicy przetargu, z tym, że postąpienie nie może wynosić mniej niż 1% ceny wywoławczej z zaokrągleniem w górę do pełnych dziesiątek złotych. Jeżeli żaden z uczestników przetargu nie zaoferuje postąpienia ponad cenę wywoławczą, wówczas przetarg zakończy się wynikiem negatywnym.


Uczestnikowi przetargu, który przetarg wygra, wpłacone wadium zostanie zaliczone na poczet ceny nabycia nieruchomości. Uczestnikom przetargu, którzy go nie wygrają, wadium zostanie zwrócone niezwłocznie po zamknięciu lub odwołaniu przetargu, jednak nie później niż przed upływem 3 dni od dnia, odpowiednio: odwołania przetargu, zamknięcia przetargu, unieważnienia lub zakończenia przetargu wynikiem negatywnym.


Nabywca nieruchomości zostanie zawiadomiony o terminie i miejscu zawarcia umowy sprzedaży w ciągu 21 dni od dnia rozstrzygnięcia przetargu. Jeżeli osoba ustalona jako nabywca nieruchomości nie przystąpi bez usprawiedliwienia do zawarcia umowy w miejscu i terminie podanym w zawiadomieniu, organizator przetargu może odstąpić od zawarcia umowy, a wpłacone wadium nie podlega zwrotowi.


Zastrzega się prawo odwołania przetargu z uzasadnionej przyczyny.


Przetarg przeprowadzony zostanie w oparciu o przepisy rozporządzenia Rady Ministrów z dnia 14 września 2004r. w sprawie sposobu i trybu przeprowadzania przetargów oraz rokowań na zbycie nieruchomości (j.t. Dz.U. z 2021 r., poz. 2213). Dodatkowe informacje w sprawie procedury przetargowej można uzyskać w Referacie Gospodarki Gruntami Komunalnymi Urzędu (pok.32, tel. 897150144).

Kontakt:
Urząd Miasta Biskupiec
tel: 89 715 01 44
ratusz@biskupiec.pl


Więcej
Działka:
na sprzedaż
Powierzchnia całkowita:
1 667 m2
Lokalizacja:
województwo: warmińsko-mazurskie powiat: Olsztyński gmina: Biskupiec miejscowość: Biskupiec ulica: Bolesława Chrobrego

Podobne oferty w tej lokalizacji